Level: Resort nearby
This spot has been added by
20 spots added - 633 photos shared
Last updated on June 23, 2024
Abu Dabbab, near Marsa Alam, is one of the most renowned snorkeling spots in the southern Red Sea. Facing a beautiful sandy beach, the bay hosts extensive seagrass beds and healthy coral reefs. Snorkelers will be able to easily spot green sea turtles, stingrays, hundreds of colorful reef fish and the occasional dugongs.
Abu Dabbab Bay is located about 18 miles north of Marsa Alam. Several hotels are located around the bay, including the Malikia Resort Abu Dabbab, Abu Dabbab Lodge and Hilton Marsa Alam Nubian Resort. If you stay in one of these resorts, you’ll be just steps from the snorkeling spot.
Many local companies offer day tours to Abu Dabbab and depart from the main hotels of the Riviera. These tours usually include beach entrance fee, lunch and snorkeling gear. The price will vary depending on the departure point and what’s included, but are around $40 per person. It is also possible to go to Abu Dabbab by car or taxi, and then just pay the entrance fee to the beach, which is about $10 for the day.
You can enter the water at any point on the beach, either in the central part, if you want to start by snorkeling the seagrass meadows, or at either end (snorkel entries 1 and 2 on the map above), to get directly to the coral reef areas.
Guests of the Malikia Resort Abu Dabbab can access the Abu Dabbab Garden (snorkel entry 4) or the very sheltered Lagoon (snorkel entry 3) via the resort’s jetty.
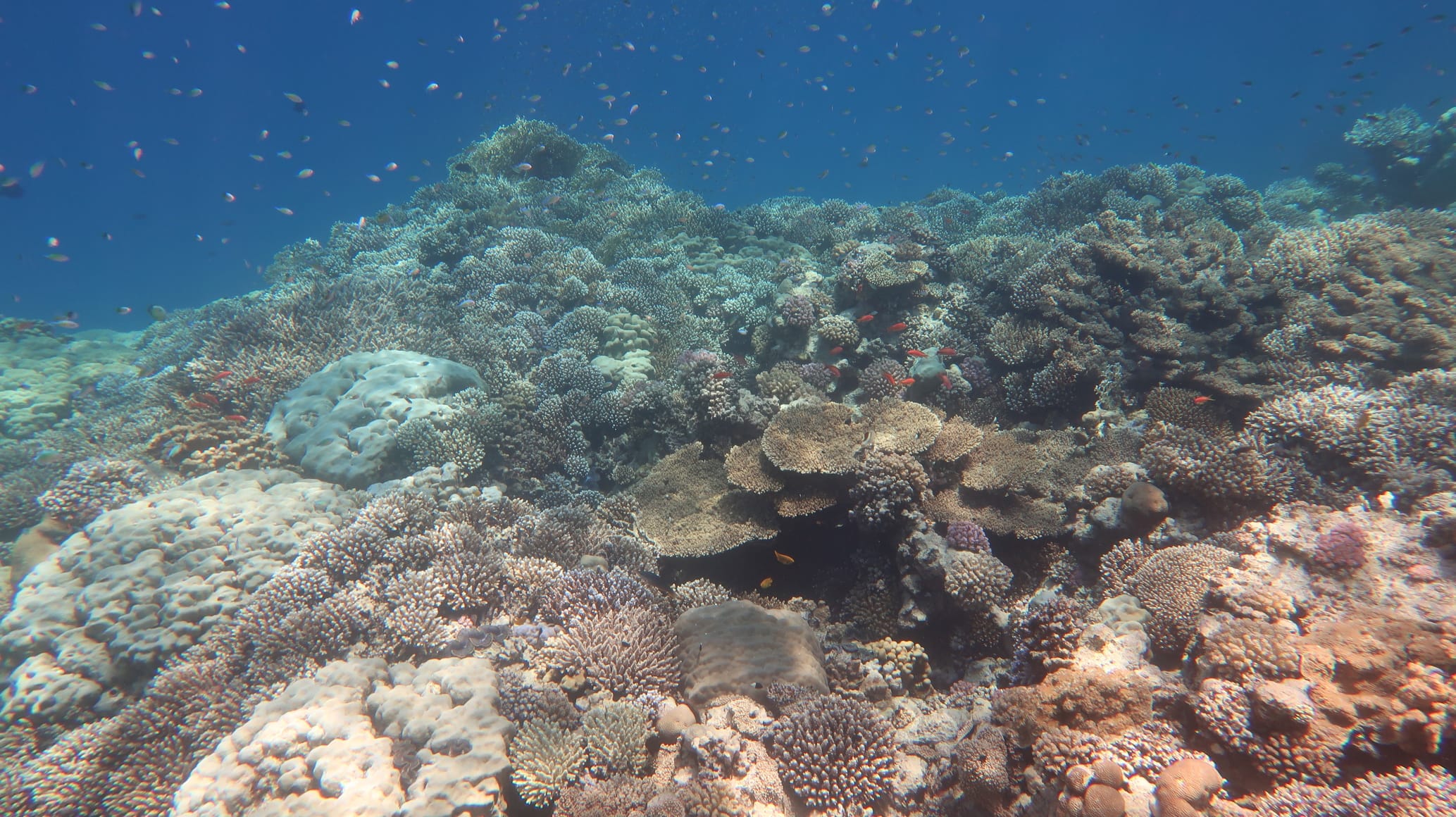
The snorkeling area covers the entire bay, which has seagrass beds in its central part, and is bordered at its both ends by coral reefs (House Reef North and House Reef South).
Abu Dabbab is famous for its green sea turtles which come to feed and rest in the bay. It is in the seagrass meadows facing the beach (see map) that you’ll have the best chances to encounter them, peacefully grazing on the seabed (↕6-12ft/2-4m).
This spot is also known to be occasionally visited by dugongs, an impressive herbivorous marine mammal, which are attracted by the bay’s extensive seagrass meadows. Dugong sightings remain rare, however, and you’ll have to be very lucky to encounter them.
After exploring the seagrass meadows, you can visit the coral reefs fringing both sides of the bay. On the drop-offs, the reefs are very healthy in some places. In the areas where giant clams abound, you’ll encounter schools of hundreds of sergeant major and green chromis, bluecheek butterflyfish, Sohal surgeonfish, masked pufferfish and dozens of other colorful reef fish species.
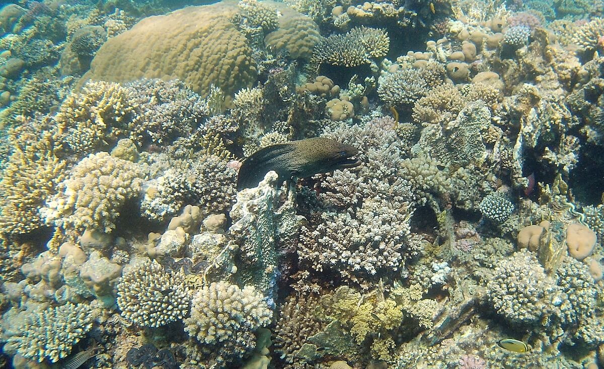
Moray eels and lionfish are also common on the reef. If you’re lucky, you may also encounter a tentacled flathead, a torpedo ray or a bluespotted ribbontail ray, often seen on sandy bottoms.
Three hotels, the Malikia Resort Abu Dabbab, the Abu Dabbab Lodge and the Hilton Marsa Alam Nubian Resort are located around the beach. There are also several restaurants and shops on the beach.
These snorkeling spots are accessible to beginners and kids. You will enter the water gradually from a beach, or in a less than 3ft. deep area. The sea is generally calm, shallow, with almost no waves or currents. These spots are usually located in marked and/or monitored swimming areas. It is not necessary to swim long distances to discover the sea life. This level only apply when the spot experiences optimal sea and/or weather conditions. It is not applicable if the sea and/or weather conditions deteriorate, in particular in the presence of rough sea, rain, strong wind, unusual current, large tides, waves and/or swell. You can find more details about the definition of our snorkeling levels on our snorkeling safety page.
You must be logged in to post a comment.
Snorkeling spots are part of a wild environment and their aspect can be significantly altered by weather, seasons, sea conditions, human impact and climate events (storms, hurricanes, seawater-warming episodes…). The consequences can be an alteration of the seabed (coral bleaching, coral destruction, and invasive seagrass), a poor underwater visibility, or a decrease of the sea life present in the area. Snorkeling Report makes every effort to ensure that all the information displayed on this website is accurate and up-to-date, but no guarantee is given that the underwater visibility and seabed aspect will be exactly as described on this page the day you will snorkel the spot. If you recently snorkeled this area and noticed some changes compared to the information contained on this page, please contact us.
The data contained in this website is for general information purposes only, and is not legal advice. It is intended to provide snorkelers with the information that will enable them to engage in safe and enjoyable snorkeling, and it is not meant as a substitute for swim level, physical condition, experience, or local knowledge. Remember that all marine activities, including snorkeling, are potentially dangerous, and that you enter the water at your own risk. You must take an individual weather, sea conditions and hazards assessment before entering the water. If snorkeling conditions are degraded, postpone your snorkeling or select an alternate site. Know and obey local laws and regulations, including regulated areas, protected species, wildlife interaction and dive flag laws.
LAST SPACES AVAILABLE