Level: Free shore access This spot have a free shore access: you can go snorkeling there freely and without having to book a tour or pay an entrance fee. Resort nearby
This spot has been added by
10 spots added - 178 photos shared
Last updated on November 7, 2022
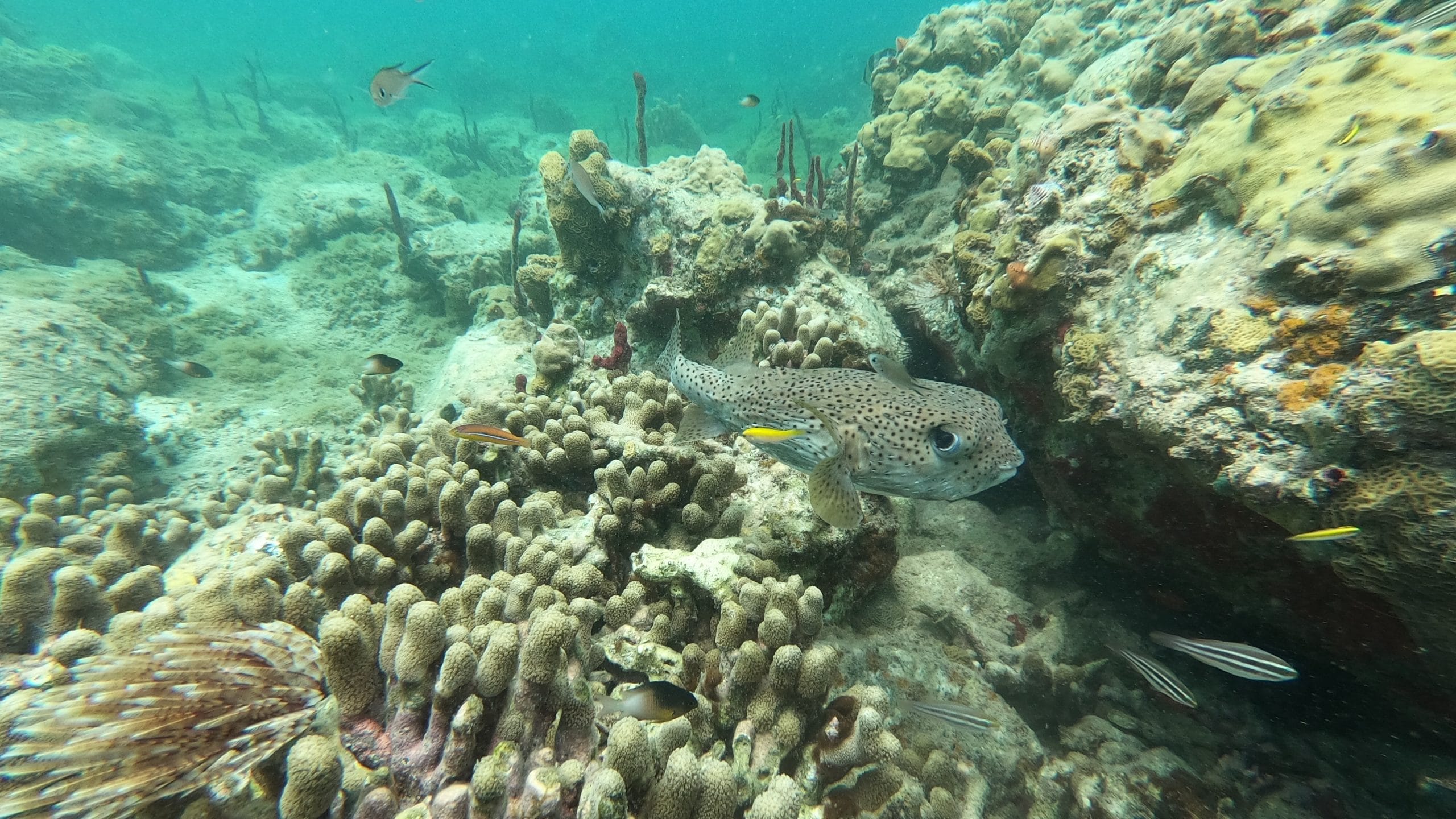
Chatham Bay is one of the wildest and most pristine places of Union Island, complete with turquoise waters and a white sand beach surrounded by green hills. The coastline located north of the bay is also perfect for a snorkeling session. Many species can be observed in its shallow waters: Moray eels, porcupinefish, angelfish and even lobsters, which seem to appreciate the bay’s rocky seabed.
Chatham Bay is a rather isolated place located on Union Island’s west coast. As no roads lead there, you can consider arriving by boat: taxi boats leave from Clifton (located at the island’s other side, 30 to 35 euros). If you’re on a Grenadines cruise, your catamaran will probably take you there.
It is also possible to walk to the beach from the paved road crossing the north-western part of the island. Locate the start of the path (see on Google Maps here), then walk down to the bay. It is a 15-to-20-minute walk down a steep path. The way back up to the road is at least 10 minutes longer, and it can be exhausting, especially when the sun is shining.
Entering the water at the beach’s northern extremity, just in front of Sunset Cove restaurant, is the best option to get as close as possible to the snorkeling area. If you’re mooring in the bay, you can of course enter the water next to the spot, directly from your boat.
The exploration area extends along the bay’s northern coastline. You are free to come and go as you like along the shore, however, try not to swim away from it as many boats circulate in the bay.
The seabed is mostly made of screes and sand (↕3-12ft/1-4m), alternating with sparse, quite degraded coral flats where coral and sponges can be seen. While not spectacular, it displays a decent overview of Caribbean underwater life.
Moray eels and snake-eels are commonplace in the rocky areas, just like lobsters, which hide in the shadows (look for antennas sticking out of their lairs). Surgeonfish and butterflyfish are easy to observe in the whole area, and you might even meet juvenile French angelfish. Nice cushion sea stars boasting different colors (red, yellow, orange or brown) can sometimes be seen on sandy areas.
Tenuta Chatham Bay (next to the beach, south of the bay) is the only hotel close to the spot. Several food options can be found on the beach, notably Sunset Cove and Paradise View Beach Bar.
These snorkeling spots are accessible to beginners and kids. You will enter the water gradually from a beach, or in a less than 3ft. deep area. The sea is generally calm, shallow, with almost no waves or currents. These spots are usually located in marked and/or monitored swimming areas. It is not necessary to swim long distances to discover the sea life. This level only apply when the spot experiences optimal sea and/or weather conditions. It is not applicable if the sea and/or weather conditions deteriorate, in particular in the presence of rough sea, rain, strong wind, unusual current, large tides, waves and/or swell. You can find more details about the definition of our snorkeling levels on our snorkeling safety page.
The snorkeling on the east side of Chatham Bay was great. There were squid, octopus, a couple eels, and some flounder (watch out for the moon jellies!). Another spot I thought was just as fantastic was just off the beach. Closer to the beach, there’s a tiny overhang that stretches parallel to the beach in about four feet of water, that had so many fish! There was green, and purplemouth morays, along with plenty of damselfish, and cardinalfish. That’s also where we spotted a wicked-looking eel buried in the sand. Turns out, it was a Stippled Spoon-nose Eel (a mouthful, right?). A little further out was a huge school of scad, and even a flying gurnard. Another spot, though not as good as the beach or the East side, was the anchorage. It mostly just had starfish, but I did see a tiny sailfin blenny, a maculated flounder, and some grouper.
You must be logged in to post a comment.
Snorkeling spots are part of a wild environment and their aspect can be significantly altered by weather, seasons, sea conditions, human impact and climate events (storms, hurricanes, seawater-warming episodes…). The consequences can be an alteration of the seabed (coral bleaching, coral destruction, and invasive seagrass), a poor underwater visibility, or a decrease of the sea life present in the area. Snorkeling Report makes every effort to ensure that all the information displayed on this website is accurate and up-to-date, but no guarantee is given that the underwater visibility and seabed aspect will be exactly as described on this page the day you will snorkel the spot. If you recently snorkeled this area and noticed some changes compared to the information contained on this page, please contact us.
The data contained in this website is for general information purposes only, and is not legal advice. It is intended to provide snorkelers with the information that will enable them to engage in safe and enjoyable snorkeling, and it is not meant as a substitute for swim level, physical condition, experience, or local knowledge. Remember that all marine activities, including snorkeling, are potentially dangerous, and that you enter the water at your own risk. You must take an individual weather, sea conditions and hazards assessment before entering the water. If snorkeling conditions are degraded, postpone your snorkeling or select an alternate site. Know and obey local laws and regulations, including regulated areas, protected species, wildlife interaction and dive flag laws.