Level: Free shore access This spot have a free shore access: you can go snorkeling there freely and without having to book a tour or pay an entrance fee.
This spot has been added by
Last updated on June 21, 2024
Due to its close position to the town centre, Saint-Leu beach is often crowded, especially during weekends. A coral reef partly closing the bay and the neighboring small marina help make swimming quite safe. Underwater, a fine coral garden sheltering numerous fishes and invertebrates offers a lot to explore.
The beach is central to Saint-Leu town and close to its small marina. You can park along the street fringed with casuarina that follows the shore. Local buses also stop at the beach (“Saint-Leu Plage” stop).
You can get into the water wherever you want from the beach, depending on the area you want to explore. Do not go further than the two lifeguard stations (risk of being drifted outside the lagoon by the current) and do not enter the wilderness area, marked with yellow beacons (see map).
As often when snorkeling Reunion Island lagoons, you will explore the area located between the beach and the reef (easy to spot from the line of breaking waves it generates). Here the distance between beach and reef does not exceed 150 meters and the water depth remains under 8ft/2.5 meters.
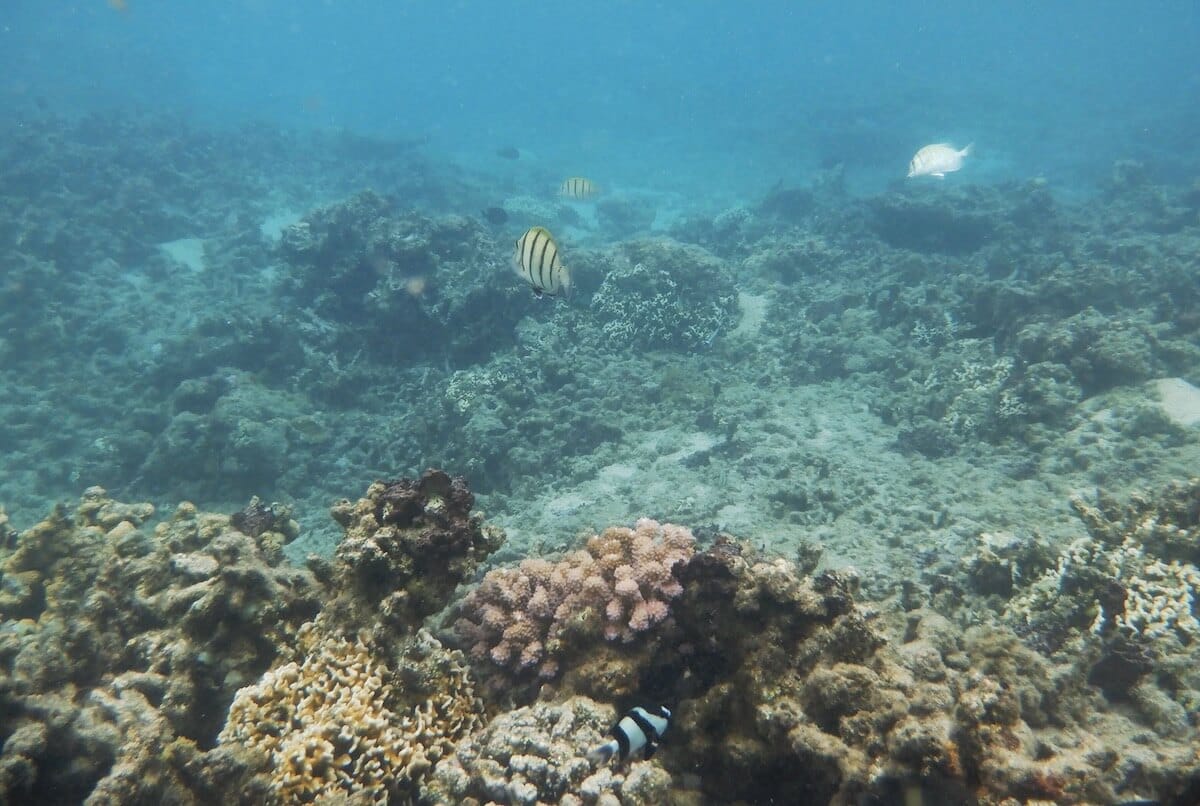
North to the wilderness area (zone 1), you’ll find many corals scattered in the lagoon, attracting lagoon triggerfish, butterflyfish, and surgeonfish. Look for small moray eels and juvenile lionfish hiding in the crevices and underneath tabular corals.
You might also spot various sized giant clams rooted in coral: look for them especially on the upper part of the biggest coral formations. Moving closer to the reef, you will love observing the arc-eye hawkfish waiting for prey on top of their lair. Depending on your luck, you might spot dozens of other species there.
To the south of the integral reserve (zone 2 on the map), you’ll snorkel in shallower areas, again punctuated by corals in more or less good condition. Whitespotted boxfish, surgeonfish, and clown coris are some of the most common species in this area. You may also spot a snowflake moray eel busy hunting on the reef flat.
On both sides of the lagoon, do not pass the lifeguards. The currents are strong there and could lead you towards the open sea. This spot, although located in the lagoon, is a little more exposed to waves than those at Hermitage or La Saline, for example.
You will find a wide range of eating options around the beach, from classic food trucks to higher-end restaurants. Several accommodation options are also to be found nearby.
These spots are accessible to anyone with basic snorkeling skills, and feeling comfortable in the water and with his snorkeling gear. You will enter the water from the shore (beach, pontoon, ladder, rocks) or from a boat. The water height in the sea entrance area is reasonable, but you will not necessarily be within your depth. Moderate currents can occur in the area, even when the sea conditions are good. The distance to swim to reach the most interesting snorkeling areas of the spot does not exceed 200 meters. This level only apply when the spot experiences optimal sea and/or weather conditions. It is not applicable if the sea and/or weather conditions deteriorate, in particular in the presence of rough sea, rain, strong wind, unusual current, large tides, waves and/or swell. You can find more details about the definition of our snorkeling levels on our snorkeling safety page.
You must be logged in to post a comment.
Snorkeling spots are part of a wild environment and their aspect can be significantly altered by weather, seasons, sea conditions, human impact and climate events (storms, hurricanes, seawater-warming episodes…). The consequences can be an alteration of the seabed (coral bleaching, coral destruction, and invasive seagrass), a poor underwater visibility, or a decrease of the sea life present in the area. Snorkeling Report makes every effort to ensure that all the information displayed on this website is accurate and up-to-date, but no guarantee is given that the underwater visibility and seabed aspect will be exactly as described on this page the day you will snorkel the spot. If you recently snorkeled this area and noticed some changes compared to the information contained on this page, please contact us.
The data contained in this website is for general information purposes only, and is not legal advice. It is intended to provide snorkelers with the information that will enable them to engage in safe and enjoyable snorkeling, and it is not meant as a substitute for swim level, physical condition, experience, or local knowledge. Remember that all marine activities, including snorkeling, are potentially dangerous, and that you enter the water at your own risk. You must take an individual weather, sea conditions and hazards assessment before entering the water. If snorkeling conditions are degraded, postpone your snorkeling or select an alternate site. Know and obey local laws and regulations, including regulated areas, protected species, wildlife interaction and dive flag laws.