Level:
This spot has been added by
2 spots added - 51 photos shared
Last updated on July 1, 2023
A dozen miles off the coast of Pemuteran, only accessible by sea on guided tours, Menjangan Island features a nice coral reef in an idyllic setting. On the reef drop-off you will spot angelfish, clownfish and large shoals of chromis swimming above pretty healthy corals. This area offers some of the best snorkeling in Bali.
Pulau Menjangan is a small, unspoiled island accessible only by boat. It is part of the Bali Barat National Park. The easiest option for visiting this spot is to book a full-day tour with one of the many local operators.
Most tours leave from Pemuteran, to the north of the island. From that point, it takes an hour by boat to reach Pulau Menjangan. The price is about $80 per person for a day tour, including several snorkeling sessions and a lunch break.
Water entrance is either from the beach or from your boat.
The location described on the map, which is along the northern shore of Menjangan, is the most popular on the island, but tours may take you to a different location nearby, with more or less the same aspect.
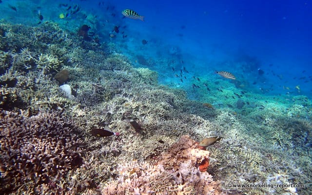
The northern snorkeling area covers a wide area between the beach and the reef drop-off, about 150 to 200 yards apart. From the beach, you will cross a few dozen yards of sandy sea bed and rock (↕3-6ft/1-2 m), then a seabed covered with soft coral (↕3-10ft/1-3 m) as far as the reef drop-off.
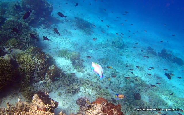
Although there are interesting things to see on the reef flat including batfish, giant clams and blue sea stars, the best snorkeling is found when you get closer to the reef drop-off.
Here, the seabed is spectacular: shoals of green chromis and sergeant majors swim around the coral bommies, while parrotfish, butterflyfish and spinefoot with spectacular colors, come and go on the reef drop-off.
This spot is particularly rich in soft coral, especially the leather coral. Several species of angelfish, including the sixbar angelfish and the regal angelfish are easy to see. Try to find a sea anemone between the rocks: you are likely to see the ocellaris clownfish, better known to kids as “Nemo”.
In the deep blue of the reef drop-off, you may also have the chance to see a green sea turtle or hawksbill sea turtle, although they can be very shy.
Pulau Menjangan, like all Bali coral reefs, tends to be damaged in places. The reef drop-off, which was exceptionally well preserved a few years ago, has now broken or dead coral in some areas.
This area is one of the most popular spots near Bali. A large number of boats and guided tours stop here. Watch out for other people when you are in the water and for boats, too.
Pulau Menjangan is a natural site. There are no hotels or restaurants, but most tours include lunch.
These spots are accessible to anyone with basic snorkeling skills, and feeling comfortable in the water and with his snorkeling gear. You will enter the water from the shore (beach, pontoon, ladder, rocks) or from a boat. The water height in the sea entrance area is reasonable, but you will not necessarily be within your depth. Moderate currents can occur in the area, even when the sea conditions are good. The distance to swim to reach the most interesting snorkeling areas of the spot does not exceed 200 meters. This level only apply when the spot experiences optimal sea and/or weather conditions. It is not applicable if the sea and/or weather conditions deteriorate, in particular in the presence of rough sea, rain, strong wind, unusual current, large tides, waves and/or swell. You can find more details about the definition of our snorkeling levels on our snorkeling safety page.
You must be logged in to post a comment.
Snorkeling spots are part of a wild environment and their aspect can be significantly altered by weather, seasons, sea conditions, human impact and climate events (storms, hurricanes, seawater-warming episodes…). The consequences can be an alteration of the seabed (coral bleaching, coral destruction, and invasive seagrass), a poor underwater visibility, or a decrease of the sea life present in the area. Snorkeling Report makes every effort to ensure that all the information displayed on this website is accurate and up-to-date, but no guarantee is given that the underwater visibility and seabed aspect will be exactly as described on this page the day you will snorkel the spot. If you recently snorkeled this area and noticed some changes compared to the information contained on this page, please contact us.
The data contained in this website is for general information purposes only, and is not legal advice. It is intended to provide snorkelers with the information that will enable them to engage in safe and enjoyable snorkeling, and it is not meant as a substitute for swim level, physical condition, experience, or local knowledge. Remember that all marine activities, including snorkeling, are potentially dangerous, and that you enter the water at your own risk. You must take an individual weather, sea conditions and hazards assessment before entering the water. If snorkeling conditions are degraded, postpone your snorkeling or select an alternate site. Know and obey local laws and regulations, including regulated areas, protected species, wildlife interaction and dive flag laws.