This spot has been added by

AN-BADLOLA
AN-BADLOLA

1 spot added - 5 photos shared

Other contributors You can help us keep this page up-to-date by uploading your pictures to the photo gallery, or by sending us your comments via the contact form
Accommodation nearby

Last updated on

The Pigeon Islands (often called “Réserve Cousteau”) are two tiny islets laying less than a mile from Bouillante and Malendure beach, on the west side of Guadeloupe. While accessible only by sea, this protected area, part of the Guadeloupe National Park since 2009, provides a unique concentration of marine life. The islets are famous for the magnificent elkhorn and staghorn corals covering the seabed.  Here, snorkelers can spot a large number of colorful reef fish species (angelfish, parrotfish, butterflyfish), as well as sea turtles.

A small beach in the Pigeon Islands.
The Pigeon Island’s tiny beach.

How to get to the Pigeon Islands for snorkeling

A large number of local tour operators organize guided tours to the Reserve, that will include from 1 to 3 snorkeling stops. The main departure points for tours are the village of Bouillante, Malendure beach, Plage Caraibes (Pointe-Noire) or the village of Deshaies. Prices range from $20 to $30 per person for a standard tour (1 and a half to 2 hours long), and includes snorkeling gear.

If you prefer to reach the Pigeon Islands by yourself, you can rent a kayak on Malendure beach (from $25  for 3 hours). The distance between the beach and the islets is less than a mile. Keep in mind that paddling to the islands, sometimes with a headwind, can be exhausting. If you choose this option, leave your kayak on the tiny white-sand beach marked on the map below.

Pigeon Islands snorkeling map, Guadeloupe

Water entrance for snorkeling the Pigeon Islands

The water entrance depends on the option you choose. If you reach the islands by kayak, you can enter the water from the tiny sand beaches to snorkel the Coral Garden (the best spot in the islets) and the Pool.

To snorkel the Aquarium, walk on the small path to reach the northern side of the islet (5 minutes). If you are participating in a snorkeling tour, you’ll generally enter the water from your boat mooring near the reef.

Pigeon Islands snorkeling tips

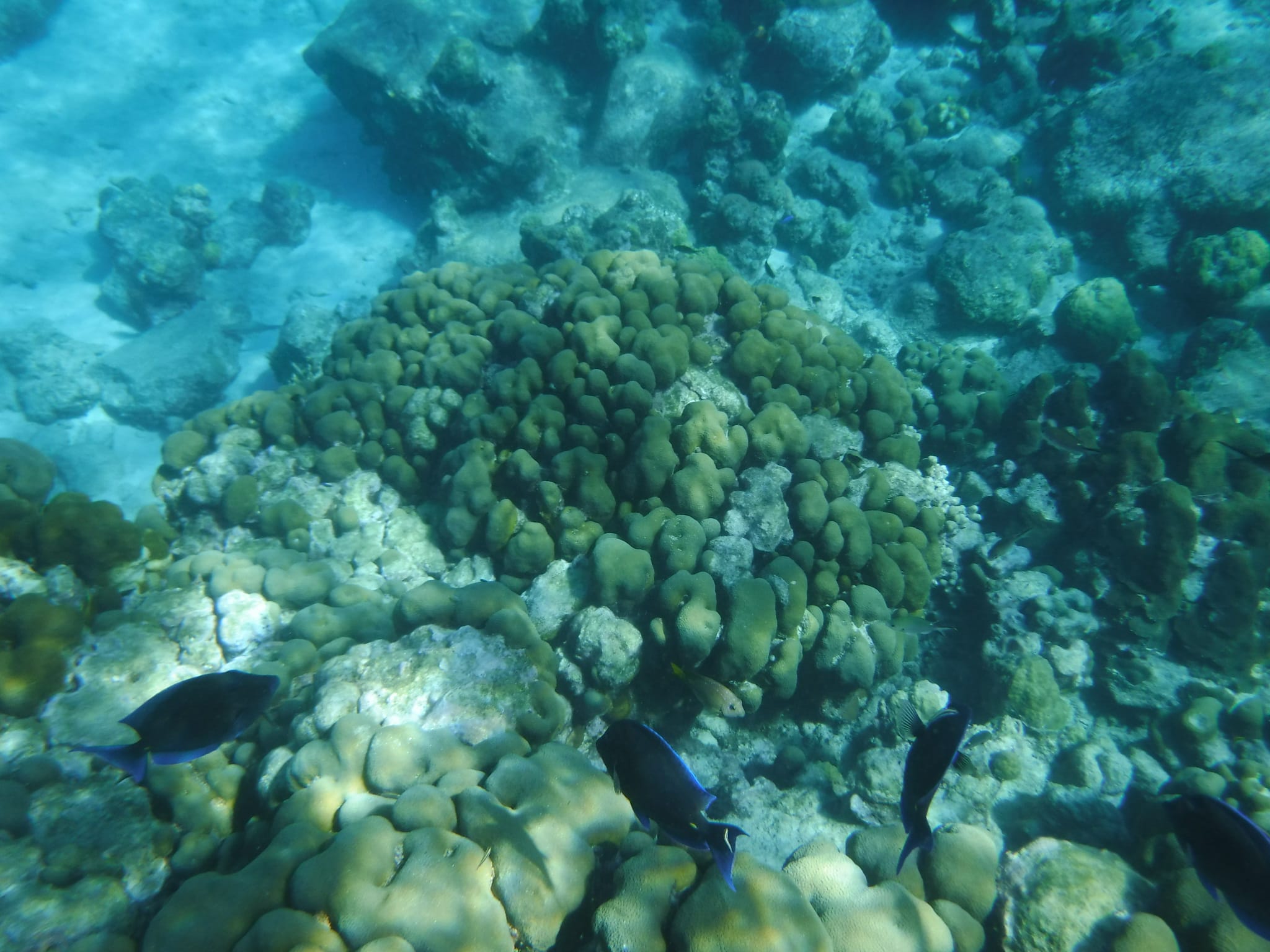
The best snorkeling area in the Pigeon Islands is the Coral Garden, which covers the coral reef fringing the eastern side of the islets.

The northern part of the Coral Garden is probably the more spectacular. Sheltered from the swell, the seabed is covered with healthy and good-sized staghorn corals and elkhorn corals. These reef-building corals are vital to life in the Caribbean reefs. However, the coral is fragile and can be broken by a passing swim fin, so do not touch it and be sure to snorkel carefully.

A beautiful example of elkhorn coral in the Coral Garden
A beautiful example of elkhorn coral in the Coral Garden.

The central part of the little bay is shallow, with a rocky seabed. About ten yards from the beach, the first coral clusters appear and grow denser as you move away from the shore and reach the deepest areas. The outcrops are the most abundant in fish, such as parrotfish and surgeonfish.

On the southern part of the spot, swim along Petit Ilet to explore the rocky drop-off. If you leave the drop-off to the west, you’ll find (approximately 30 yards from the shore) the bronze bust of Captain Jacques-Yves Cousteau, which has been immersed since 1998 on a sandy area (↕40ft/12m).

The whitespotted filefish is a pretty common sight in the Pigeon Islands.
The whitespotted filefish is a pretty common sight in the Pigeon Islands.

The Coral Garden is the best area for snorkeling in the Pigeon Islands, but two more areas can be explored:

  • The Pool, which is located between the two islets. Here the water is shallow and sheltered, perfect for beginners and kids. The seabed is mostly rocky, with few corals, but you can still see and approach many fish species.
  • The Aquarium, which designates the northern side of Grand Ilet. The seabed is in great condition here, with many corals, especially around the rocky point. This area is more exposed to waves and currents, so don’t enter the water if the sea is too rough.
A school of blue tang encountered at shallow depth.
A school of blue tang encountered at shallow depth.

In all of Guadeloupe, the Pigeon Islands has the most variety of fish in the sea beds due to the currents: several species of forage fish, snappers, and damselfish. You’ll find in the area large parrotfish, almost impossible to spot outside of protected areas. You’ll also see most of the Caribbean reef fish species; butterflyfish, trumpetfish, trunkfish, and angelfish.

Don’t forget that you are in a National Park. Remember not touch to anything and don’t put your feet on the seabed.

Restaurants & accommodation nearby

There are no restaurants and no water supply on the islets. The excursion organizers may provide you with snacks and drinks.

 

  • Level of difficulty Intermediate
  • Protected areaGuadeloupe National Park
  • Maximum depth12m/40ft
  • Water entranceFrom a boat or a sandy beach
  • Potential DangersMany dive boats sailing in the area
  • LifeguardNo
  • Visitor numbersMedium to high
  • Access costsExcursion price or kayak rental
  • Restaurants nearbyNo
  • Public toilets & showersNo

MAP Spot

These spots are accessible to anyone with basic snorkeling skills, and feeling comfortable in the water and with his snorkeling gear. You will enter the water from the shore (beach, pontoon, ladder, rocks) or from a boat. The water height in the sea entrance area is reasonable, but you will not necessarily be within your depth. Moderate currents can occur in the area, even when the sea conditions are good. The distance to swim to reach the most interesting snorkeling areas of the spot does not exceed 200 meters.

This level only apply when the spot experiences optimal sea and/or weather conditions. It is not applicable if the sea and/or weather conditions deteriorate, in particular in the presence of rough sea, rain, strong wind, unusual current, large tides, waves and/or swell. You can find more details about the definition of our snorkeling levels on our snorkeling safety page.