This spot has been added by

snorkeling team
Snorkeling Report's team
Other contributors You can help us keep this page up-to-date by uploading your pictures to the photo gallery, or by sending us your comments via the contact form
Accommodation nearby

Last updated on

Bordered by takamakas and a shallow coral reef, Anse Sévère white-sanded beach is one of the most popular in La Digue. Located less than one kilometer north of the village of La Passe and the pier, it gives access to a famous snorkeling spot. Once on the outer side of the reef, you can see, over the sandbanks and corals, spotted rays, hawksbill sea turtles, and a myriad of tropical fish.

Snorkeling at Anse Sévère, La Digue
Anse Sévère beach on a cloudy day.

How to get to Anse Sévère snorkeling spot?

Anse Sévère is located on the northern tip of La Digue, about 1 kilometer north of the pier, between the Domaine de l’Orangeraie and the Patatran Village Hotel. The bike is, as often in La Digue, the easiest and most pleasant way to reach the beach (10min.), but the distance can also be easily walked.

The coastal road, which runs alongside turquoise lagoons and breathtaking views of Praslin, is an attraction on its own.

Anse Severe snorkeling map

Water entrance for snorkeling Anse Sévère

You can enter the water anywhere along the beach, then swim to the reef. Be careful as at low tide, the reef flat can be too shallow to safely enter the water. In this case, you can use the passage at the southern edge of the beach (see map above).

Anse Sévère snorkeling tips

The recommended snorkeling area includes the shallow flats extending in front of the beach, but also the outer reef, beyond the line where the waves break. Keep in mind, however, that although it is relatively easy to reach the outer reef, it is not advisable to do so if the sea conditions are not perfect.

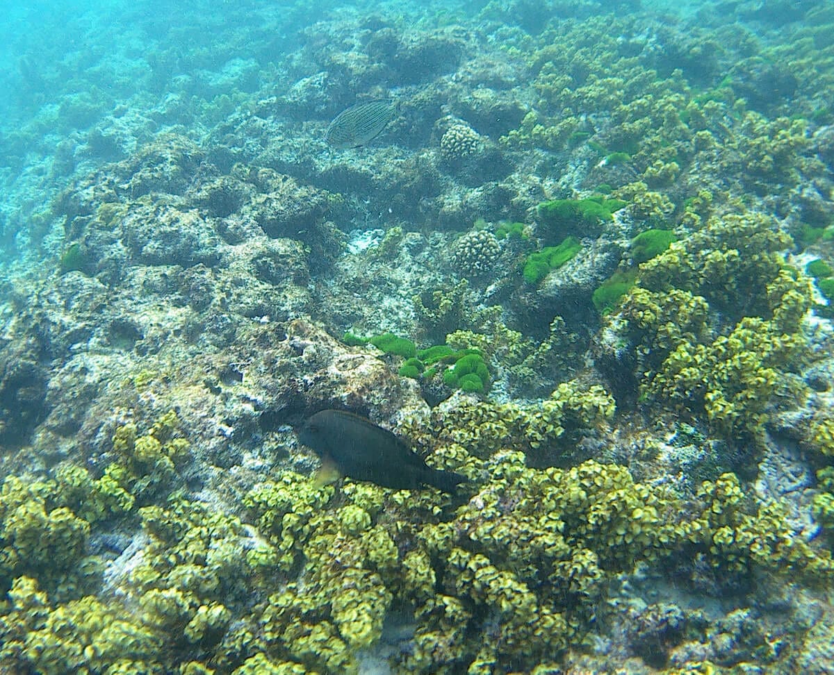
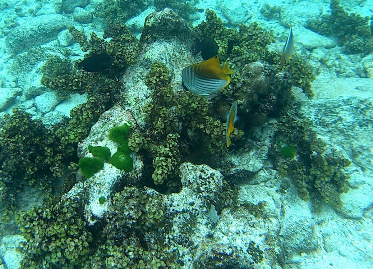
Snorkeling at Anse Sévère, Seychelles
A snorkeler enjoying Anse Sévère reef.

Near the beach, the seabed is sandy (↕2ft/0.5m), and gets gradually covered with corals as you swim away from the shore. It is at the reef edge, about 50 meters from shore that the seabed is the most vibrant (↕2-4ft/0.5-1 m). The hard coral areas, in particular, are a popular habitat for lined surgeons, powder-blue tangs and schools of scissortail sergeants.

If sea conditions allow you to explore the outer side of the reef, you will discover the deep sandy area (↕6-12ft/2-4m) extending behind the reef edge. In this area, the seabed is not spectacular, but you will have good chances to encounter spotted eagle rays. Many of them use to shelter at the foot of the reef, especially at the end of the day.

Snorkeling with spotted eagle ray at Anse Sévère, Seychelles
Spotted eagle rays are a very regular visitor to Anse Sévère.

Hawksbill sea turtles are sometimes seen at Anse Severe, but randomly. If you want to be sure to see turtles on the coasts of La Digue, head to Anse Patate (250m north of Anse Sévère) or Anse Caïman (4km east of Anse Sévère). Alternatively, book a snorkeling tour to Coco Island, which is one of the most popular snorkeling spots in Seychelles.

Restaurants and accommodation at Anse Sévère

Two guesthouses and a snack (sometimes also a fruit stand) are located just behind the beach. However, the spot is very easily accessible from the village of La Passe, where you will find a large choice of accommodations, restaurants and souvenirs shops.

 

  • Level required Intermediate
  • Maximum depth4ft/1m on the reef flat, 20ft/6m on the drop-off
  • Water entranceEasy, from a sandy beach
  • LifeguardNo
  • Visitor numbersMedium
  • Access costsFree
  • Restaurants nearbyYes
  • Public toilets & showersNo

MAP Spot

These spots are accessible to anyone with basic snorkeling skills, and feeling comfortable in the water and with his snorkeling gear. You will enter the water from the shore (beach, pontoon, ladder, rocks) or from a boat. The water height in the sea entrance area is reasonable, but you will not necessarily be within your depth. Moderate currents can occur in the area, even when the sea conditions are good. The distance to swim to reach the most interesting snorkeling areas of the spot does not exceed 200 meters.

This level only apply when the spot experiences optimal sea and/or weather conditions. It is not applicable if the sea and/or weather conditions deteriorate, in particular in the presence of rough sea, rain, strong wind, unusual current, large tides, waves and/or swell. You can find more details about the definition of our snorkeling levels on our snorkeling safety page.