Level: Free shore access This spot have a free shore access: you can go snorkeling there freely and without having to book a tour or pay an entrance fee.
This spot has been added by
Last updated on April 23, 2022
In the heart of Cap Lardier and its hills plunging into the Mediterranean, Plage de Jovat and Crocodile Island snorkeling spot reveals the biodiversity of the shallow waters of the Mediterranean. The site includes seagrass beds, sandy beds, rocky drop-offs and a wreck, and is home to a wide variety of fish, including small groupers. A snorkel trail, which was installed in the cove in 2017, allows discovering these different ecosystems in a fun way. It is undoubtedly one of the most beautiful (if not the most beautiful) snorkeling spots on the Saint-Tropez peninsula.
Plage de Jovat (Jovat Beach) is located on Cap Lardier, a protected forest of nearly 300 hectares located in La Croix-Valmer. The spot can be reached in about 20 minutes walk from Gigaro Beach, by following the coastal path that leaves from the end of the beach (location of the path starting point here, but it is well signposted). Wear good shoes, as the path is rough.
Gigaro Beach, the starting point of the trail, is just a 25 minutes drive from Saint Tropez, 20 minutes from Ramatuelle and less than 15 minutes from Cavalaire-sur-Mer.
You can get into the water directly from Jovat Beach. Its gently sloping sand offers ideal conditions to get into the water.
This spot gathers in a small area several points of interest. To be sure not to miss any of them, you can follow the snorkel trail, marked by 6 buoys and an underwater panel. The buoys allow discovering rocky seabed, posidonia meadows, sandy beds, drop-offs, and even a wreck.
You are of course free to follow the buoys or not, but in any case, two sites are not to be missed:
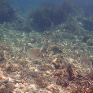
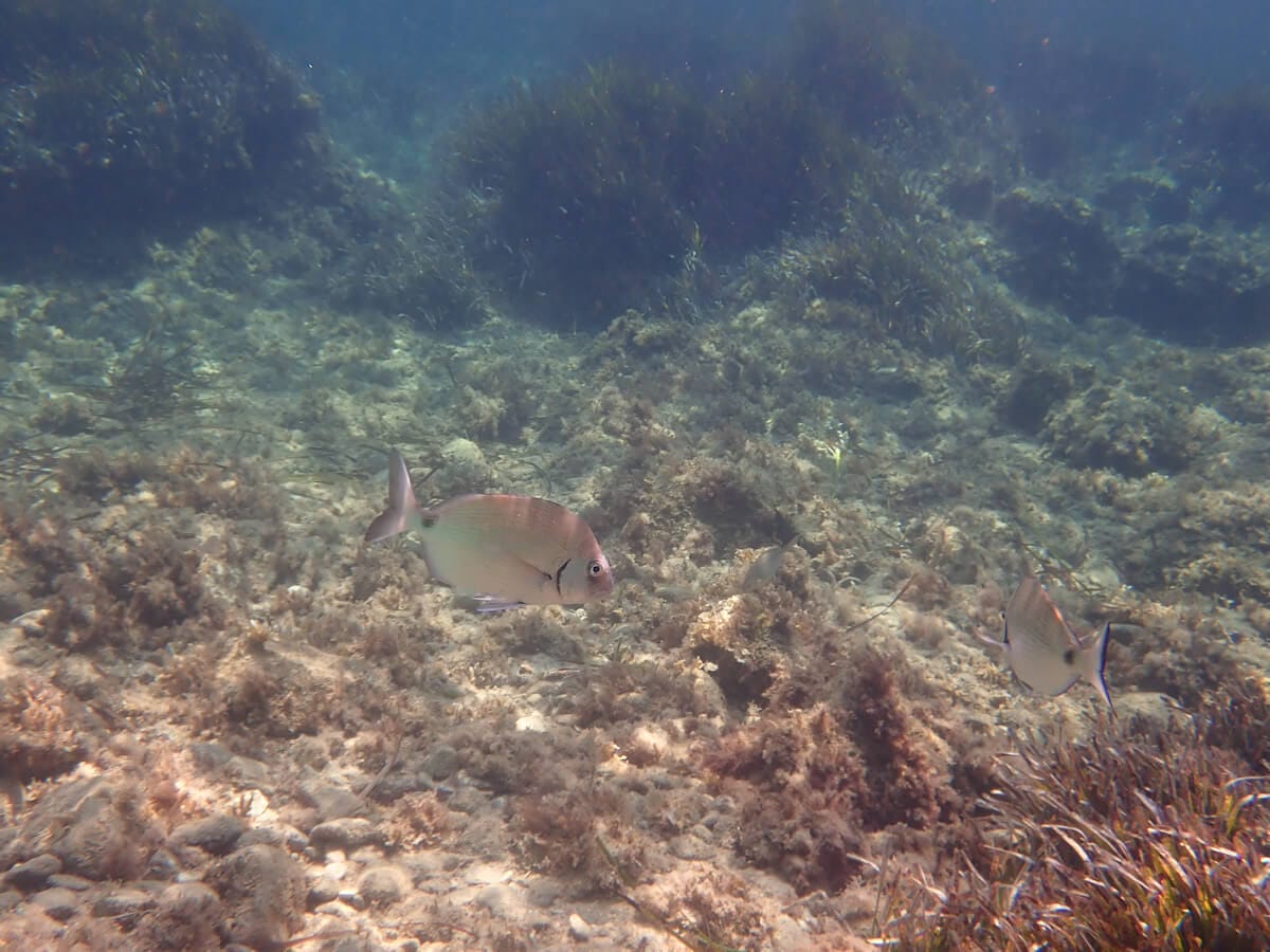
1/ Crocodile Island, which emerges on the right side of the beach. It offers a variety of depths and underwater landscapes, between seagrass beds, drop offs and rocky ridges. Numerous fishes, such as ornate wrasse, two-banded seabream, damselfish and East-Atlantic peacock wrasse call the islet home.
In the posidonia meadows at the foot of the “crocodile”, salema and annular seabream abound. The anemone garden is rather disappointing, as sea anemones seem to have disappeared from the indicated place.
2/ The wreck of the cement ship, indicated by a purple buoy on the left side of the beach. If this wreck is not spectacular (it is covered with cement bags), it has however created a unique underwater environment.
Small dusky groupers have settled near the small caves offered by the wreck, as well as cardinalfish, painted combers and some red sea stars.
The shallows in front of the beach, visited by sargo and gilt-head bream, are also interesting.
Jovat Beach is a natural site, without any facilities. At least take some water with you. Along Gigaro Beach you will find several snack bars and restaurants.
These snorkeling spots are accessible to beginners and kids. You will enter the water gradually from a beach, or in a less than 3ft. deep area. The sea is generally calm, shallow, with almost no waves or currents. These spots are usually located in marked and/or monitored swimming areas. It is not necessary to swim long distances to discover the sea life. This level only apply when the spot experiences optimal sea and/or weather conditions. It is not applicable if the sea and/or weather conditions deteriorate, in particular in the presence of rough sea, rain, strong wind, unusual current, large tides, waves and/or swell. You can find more details about the definition of our snorkeling levels on our snorkeling safety page.
You must be logged in to post a comment.
Snorkeling spots are part of a wild environment and their aspect can be significantly altered by weather, seasons, sea conditions, human impact and climate events (storms, hurricanes, seawater-warming episodes…). The consequences can be an alteration of the seabed (coral bleaching, coral destruction, and invasive seagrass), a poor underwater visibility, or a decrease of the sea life present in the area. Snorkeling Report makes every effort to ensure that all the information displayed on this website is accurate and up-to-date, but no guarantee is given that the underwater visibility and seabed aspect will be exactly as described on this page the day you will snorkel the spot. If you recently snorkeled this area and noticed some changes compared to the information contained on this page, please contact us.
The data contained in this website is for general information purposes only, and is not legal advice. It is intended to provide snorkelers with the information that will enable them to engage in safe and enjoyable snorkeling, and it is not meant as a substitute for swim level, physical condition, experience, or local knowledge. Remember that all marine activities, including snorkeling, are potentially dangerous, and that you enter the water at your own risk. You must take an individual weather, sea conditions and hazards assessment before entering the water. If snorkeling conditions are degraded, postpone your snorkeling or select an alternate site. Know and obey local laws and regulations, including regulated areas, protected species, wildlife interaction and dive flag laws.