Level: Free shore access This spot have a free shore access: you can go snorkeling there freely and without having to book a tour or pay an entrance fee.
This spot has been added by
Last updated on May 2, 2021
Cala Tí Ximo is a pretty rocky cove with translucent water, hidden in the steep coastline of eastern Benidorm. There, you can snorkel rugged rocky beds (where Mediterranean cardinalfish and sometimes small groupers hide), a few Posidonia patches, and even a small flooded cave where colorful crabs abound.
Cala Tí Ximo (or Tío Ximo) is located at the eastern end of the city of Benidorm. To get there by car, follow the coastal road from Playa de Levante, and try to find a parking space at the cove or the nearby viewpoint. If you park at the viewpoint, walk down to the cove by following the road (10 minutes).
A little before arriving at Cala Tí Ximo, you will see on your right Cala Almadabra, another excellent snorkeling spot in Benidorm (about 700m on foot between the two coves by the shortest path).
Get in the water wherever you want from the small pebble beach.
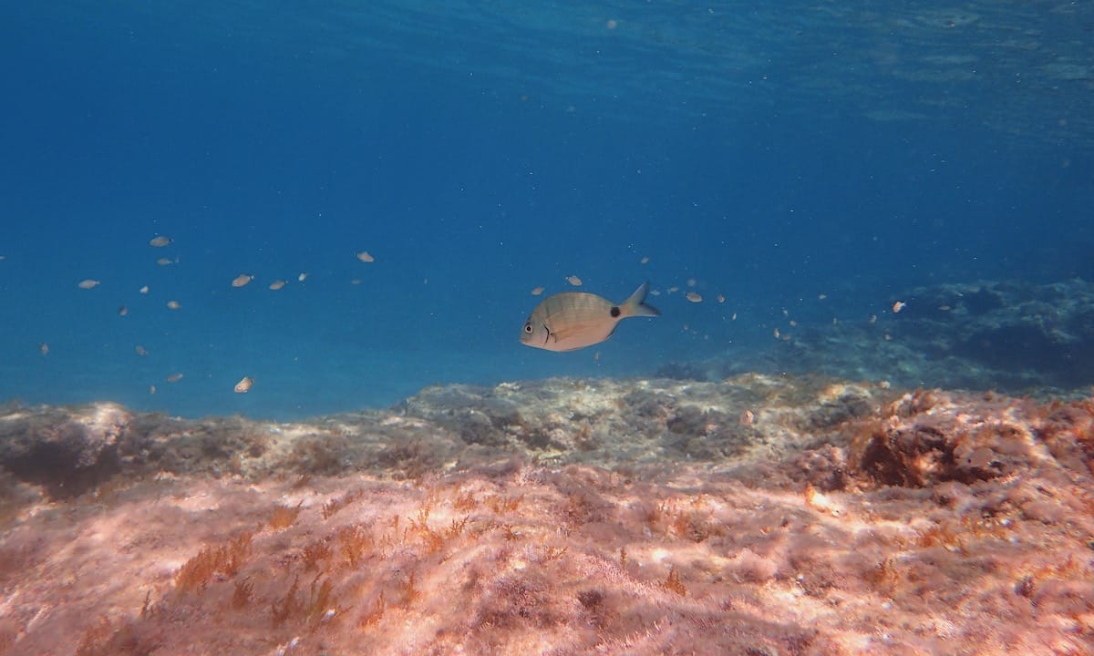
You can snorkel throughout the cove, bordered by rocks on both sides. A few Posidonia patches have grown in sheltered areas. On the left of the beach, behind the rocky point, there is a second small cove, where you can snorkel a small cave (see map).
The tumultuous rocky bottoms attract many fish (↕3-12ft/1-4m). Sargo, salema, mullet, ornate wrasse and rainbow wrasse are some of the most common sightings in the area.
If you skindive, take a look into the small caves and under the rock overhangs: you’ll spot Mediterranean cardinalfish there, and with a little luck, you may also encounter a small dusky grouper.
The small cave is also worth a visit. It is covered with huge pebbles (↕1-3ft/0.5-1m) where painted combers like to hide. Sally lightfoot, a shy, flat crab, is also abundant in the shadow of the cave.
There is no bar or restaurant in the cala. You will find a wide choice of restaurants, shops and accommodation in town.
These snorkeling spots are accessible to beginners and kids. You will enter the water gradually from a beach, or in a less than 3ft. deep area. The sea is generally calm, shallow, with almost no waves or currents. These spots are usually located in marked and/or monitored swimming areas. It is not necessary to swim long distances to discover the sea life. This level only apply when the spot experiences optimal sea and/or weather conditions. It is not applicable if the sea and/or weather conditions deteriorate, in particular in the presence of rough sea, rain, strong wind, unusual current, large tides, waves and/or swell. You can find more details about the definition of our snorkeling levels on our snorkeling safety page.
You must be logged in to post a comment.
Snorkeling spots are part of a wild environment and their aspect can be significantly altered by weather, seasons, sea conditions, human impact and climate events (storms, hurricanes, seawater-warming episodes…). The consequences can be an alteration of the seabed (coral bleaching, coral destruction, and invasive seagrass), a poor underwater visibility, or a decrease of the sea life present in the area. Snorkeling Report makes every effort to ensure that all the information displayed on this website is accurate and up-to-date, but no guarantee is given that the underwater visibility and seabed aspect will be exactly as described on this page the day you will snorkel the spot. If you recently snorkeled this area and noticed some changes compared to the information contained on this page, please contact us.
The data contained in this website is for general information purposes only, and is not legal advice. It is intended to provide snorkelers with the information that will enable them to engage in safe and enjoyable snorkeling, and it is not meant as a substitute for swim level, physical condition, experience, or local knowledge. Remember that all marine activities, including snorkeling, are potentially dangerous, and that you enter the water at your own risk. You must take an individual weather, sea conditions and hazards assessment before entering the water. If snorkeling conditions are degraded, postpone your snorkeling or select an alternate site. Know and obey local laws and regulations, including regulated areas, protected species, wildlife interaction and dive flag laws.
LAST SPACES AVAILABLE