Level:
This spot has been added by
Last updated on January 30, 2024
Also called Yong Gasem Bay, Monkey Beach is a small piece of seashore located on Ko Phi Phi Don Island, north-west of Loh Dalam Bay. Each day, hundreds of visitors come ashore from boats looking for an encounter with the colony of crab-eating monkeys living on the beach and in the neighboring jungle. But Monkey Beach is not all about monkeys; it is also a place for snorkeling lovers. The bay’s underwater life includes giant clams, schools of parrotfish, yellow damselfish and clownfish in sea anemones.
Monkey Beach is located a few hundred meters northwest of Loh Dalam Bay. Several options are available to reach the spot:
Enter the water from the sandy beach, avoiding the area where the boats moor.
Monkey Beach is fringed by an about 50 meters wide coral reef. We recommend exploring the eastern part (on your right when facing the sea): coral is far denser there than it is on the western side. Tour companies know it: boats stop on this same side.
Don’t hesitate to swim away from the beach towards the rocky shore; the best-preserved corals are found there.
This spot profile is a reef flat gently sloping (↕3-9ft/1-3m) as you swim away from the shore. It ends up with a drop-off leading to deeper areas (↕9-18ft/3-6m). This spot is busy with swimmers and snorkelers and the corals are badly damaged. However, you will still spot a wide variety of fish species here.
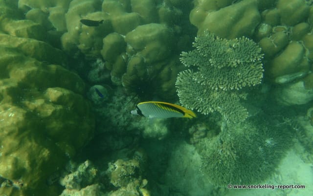
Colorful giant clams are fixed on the reef. Bright yellow damselfish swim over tabular corals, their color flashing against the deep blue. Cute anemonefish are also found in the huge sea anemones scattered on the seabed (↕6-9ft/2-3m). Most of them are pink skunk clownfish, recognizable with their distinctive single thin vertical white line.
The main danger while in the water comes from boat traffic. Stay away from the areas where they moor and don’t swim further than the drop off. On the beach, monkeys are used to being fed and can be aggressive.
Monkey Beach is a natural site. You won’t find any snack or restaurant, but “street” vendors sometimes can be here. Bring your own water and snacks.
These snorkeling spots are accessible to beginners and kids. You will enter the water gradually from a beach, or in a less than 3ft. deep area. The sea is generally calm, shallow, with almost no waves or currents. These spots are usually located in marked and/or monitored swimming areas. It is not necessary to swim long distances to discover the sea life. This level only apply when the spot experiences optimal sea and/or weather conditions. It is not applicable if the sea and/or weather conditions deteriorate, in particular in the presence of rough sea, rain, strong wind, unusual current, large tides, waves and/or swell. You can find more details about the definition of our snorkeling levels on our snorkeling safety page.
You must be logged in to post a comment.
Snorkeling spots are part of a wild environment and their aspect can be significantly altered by weather, seasons, sea conditions, human impact and climate events (storms, hurricanes, seawater-warming episodes…). The consequences can be an alteration of the seabed (coral bleaching, coral destruction, and invasive seagrass), a poor underwater visibility, or a decrease of the sea life present in the area. Snorkeling Report makes every effort to ensure that all the information displayed on this website is accurate and up-to-date, but no guarantee is given that the underwater visibility and seabed aspect will be exactly as described on this page the day you will snorkel the spot. If you recently snorkeled this area and noticed some changes compared to the information contained on this page, please contact us.
The data contained in this website is for general information purposes only, and is not legal advice. It is intended to provide snorkelers with the information that will enable them to engage in safe and enjoyable snorkeling, and it is not meant as a substitute for swim level, physical condition, experience, or local knowledge. Remember that all marine activities, including snorkeling, are potentially dangerous, and that you enter the water at your own risk. You must take an individual weather, sea conditions and hazards assessment before entering the water. If snorkeling conditions are degraded, postpone your snorkeling or select an alternate site. Know and obey local laws and regulations, including regulated areas, protected species, wildlife interaction and dive flag laws.