Level:
This spot has been added by
Last updated on February 2, 2023
Anse Source d’Argent is a legendary beach in Seychelles. White sand, palm trees, turquoise water and huge granite boulders – a scenery that’s famous all over the world. The beach is ideal for snorkeling beginners: unlike most of the other Seychelles spots, it is sheltered by a coral reef. Although the lagoon is shallow and there is little coral, you can still see many fish. Only the more experienced snorkelers can adventure out on the other side of the reef when the sea conditions allow.
It takes around 20 minutes by bike to reach the beach from La Passe jetty. Follow the main road south (towards the right when you get off the boat), and the “Anse Source d’Argent” signs.
After paying the entrance fee, you will cross a large estate with vanilla plantations and a tortoises reserve, before reaching the beach near the Lanbousir restaurant.
Leave your bike there and continue on foot, following the path along the coast. Anse Source d’Argent is a series of 11 beaches and creeks. Don’t stop when you get to the first ones (the busiest), but walk to the last beach, where the lagoon is best preserved.
You can enter the water anywhere along the sandy beach. At low tide, the lagoon can be too shallow to be snorkeled.
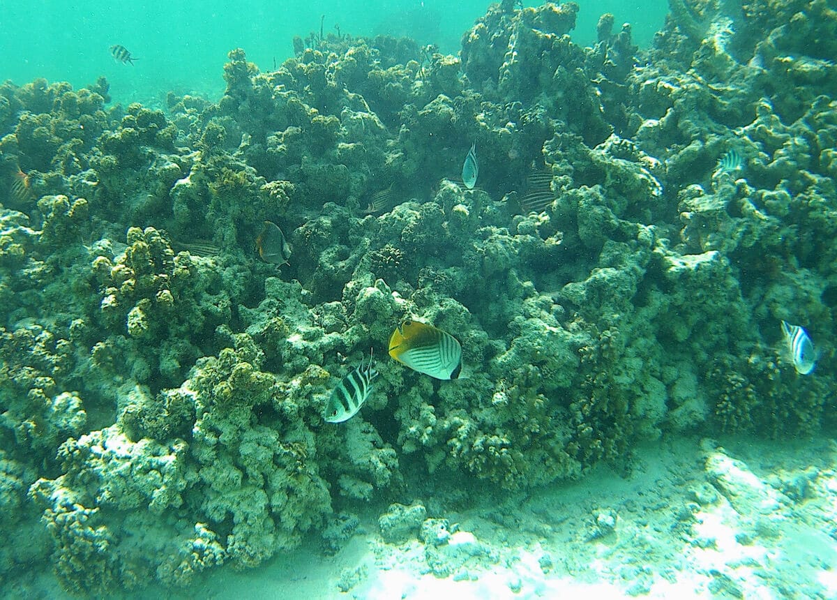
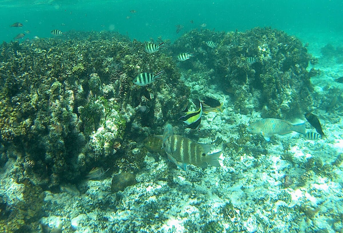
The recommended snorkeling area extends between the beach and the coral reef, which is located some 250 to 300 meters from shore at this point. On your way to the reef, you will cross sandy and seagrass areas (↕0-3ft/0-1m), which gradually give way to a rocky seabed scattered with small coral (↕3-5ft/1-1.50m).
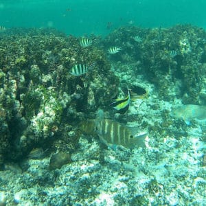
In the lagoon, you can spot several species of fish, including butterflyfish, porcupinefish, Moorish Idols, and damselfish. The water is shallow, allowing exploring the rocky crevices: small moray eels, groupers, pipefish and hermit crabs live there. Large, inquisitive orbicular batfish also live in the lagoon. Occasional visits of hawksbill sea turtles and spotted eagle rays are also reported.
If sea conditions allow, seasoned snorkelers can consider snorkeling the outer reef, making their way through one of the small passages in the reef.
When there is some surf or current in the lagoon, the visibility can be bad.
The Digue Island Lodge offers accommodation closest to the spot (Union Chalet), some ten minutes walk from the beach. Near the Lanbousir restaurant, you will find several places to have lunch, and sometimes fruit stands. In the middle of the beach, a small shop sells fresh fruit juice.
These snorkeling spots are accessible to beginners and kids. You will enter the water gradually from a beach, or in a less than 3ft. deep area. The sea is generally calm, shallow, with almost no waves or currents. These spots are usually located in marked and/or monitored swimming areas. It is not necessary to swim long distances to discover the sea life. This level only apply when the spot experiences optimal sea and/or weather conditions. It is not applicable if the sea and/or weather conditions deteriorate, in particular in the presence of rough sea, rain, strong wind, unusual current, large tides, waves and/or swell. You can find more details about the definition of our snorkeling levels on our snorkeling safety page.
You must be logged in to post a comment.
Snorkeling spots are part of a wild environment and their aspect can be significantly altered by weather, seasons, sea conditions, human impact and climate events (storms, hurricanes, seawater-warming episodes…). The consequences can be an alteration of the seabed (coral bleaching, coral destruction, and invasive seagrass), a poor underwater visibility, or a decrease of the sea life present in the area. Snorkeling Report makes every effort to ensure that all the information displayed on this website is accurate and up-to-date, but no guarantee is given that the underwater visibility and seabed aspect will be exactly as described on this page the day you will snorkel the spot. If you recently snorkeled this area and noticed some changes compared to the information contained on this page, please contact us.
The data contained in this website is for general information purposes only, and is not legal advice. It is intended to provide snorkelers with the information that will enable them to engage in safe and enjoyable snorkeling, and it is not meant as a substitute for swim level, physical condition, experience, or local knowledge. Remember that all marine activities, including snorkeling, are potentially dangerous, and that you enter the water at your own risk. You must take an individual weather, sea conditions and hazards assessment before entering the water. If snorkeling conditions are degraded, postpone your snorkeling or select an alternate site. Know and obey local laws and regulations, including regulated areas, protected species, wildlife interaction and dive flag laws.