Level:
This spot has been added by
31 spots added - 1235 photos shared
Last updated on September 13, 2023
Pulau Rawa is part of a string of small islets and reefs lying 5 kilometers northwest of the Perhentian Islands. Around this idyllic island bathed by crystal-clear waters, you will see clownfish, angelfish, stingrays and dozens of other reef fish species. If you stay on the Perhentian, don’t miss this tour, which is one of the best snorkeling experience you can expect in the area.
Rawa Island lies a few miles from the Perhentian Islands. You will need to book a half-day (or full-day) boat tour from your hotel or a dive center to reach this snorkeling site.
Tours to Rawa Island leave daily from Kecil and Besar, and generally include a second snorkeling stop on Pulau Serenggeh or Pulau Tokong Kemudi. Lunch is generally not included in day tours, but your guide will drop you at a restaurant. Check when booking.
You will generally enter the water from the boat. Follow the instructions of your guide.
The main snorkeling area encompasses the reefs located along the beach on the west side of Rawa Island (snorkeling area 1 on the map). Despite some of the coral around Rawa is now rubble, particularly in the shallow areas, clusters of branching, lettuce and porites coral can still be found in the deeper parts of the reef (↕2-5m/6-15ft). Numerous giant clams, of all sizes, are embedded in the reef.
The underwater life in this spot is rich and varied, and you will most probably spot a wide variety of fish species. Spinefoot, wrasse, damselfish and triggerfish are easy to see.
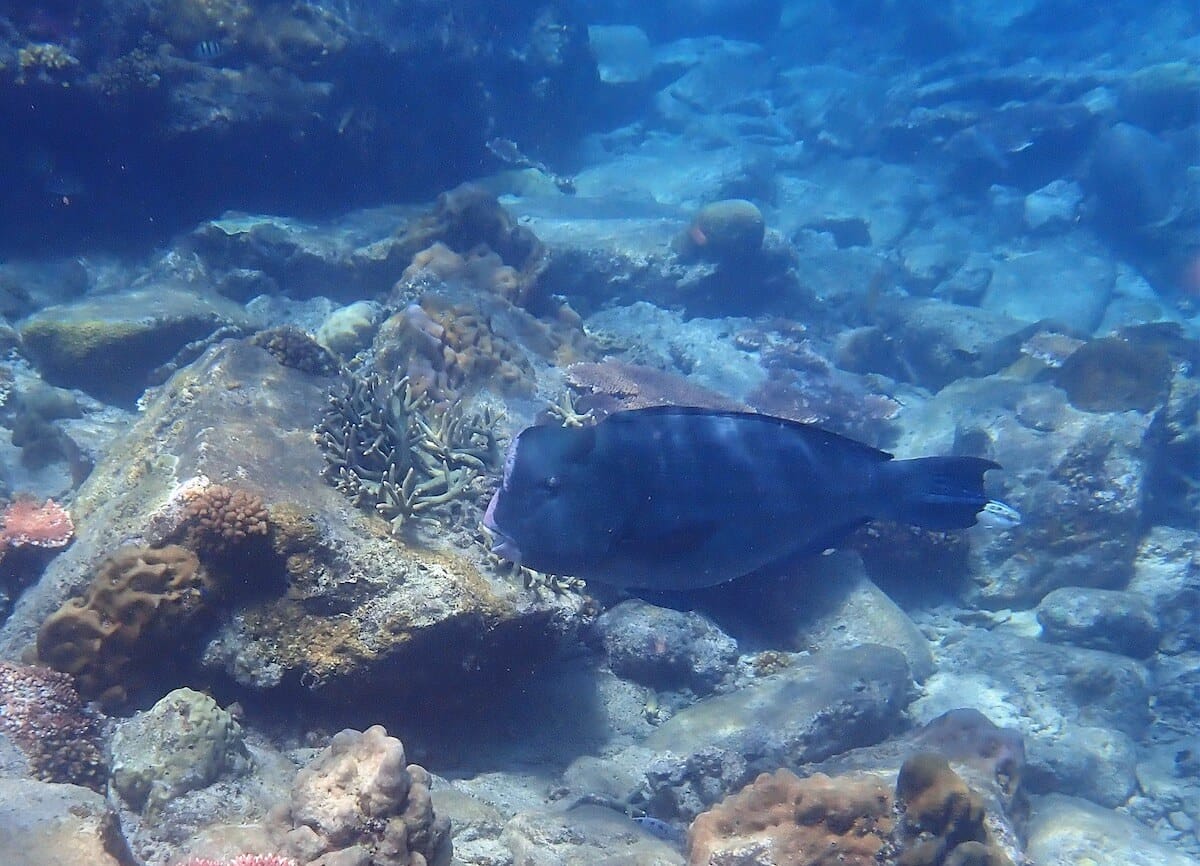
Sea anemones are living on the reef: most of them hosts ocellaris clownfish, better known by kids as “Nemo”. In the deeper areas, you may get the chance to see a shoal of green humphead parrotfish. They can grow up to 3ft/1.30 meters long, and as they are particularly impressive.
With a little luck, you will perhaps cross the road of a magnificent bluespotted stingray or a blacktip reef shark.
A second snorkeling area is found south of Pulau Tokong Kemudi, a small islet just 300 yards west of Rawa (snorkeling area 2 on the map). It has more or less the same features and sea life as Rawa Island snorkeling area.
At this spot, the water is particularly clean and clear, and the visibility is excellent. Sea conditions can vary, on the other hand. Follow your tour guide’s instructions.
Rawa Island is an unspoiled site, and there is no restaurant on the islet. Take your own water with you, at least. Lunch is generally not included in day tours, but your guide will drop you at a restaurant. Check beforehand.
These spots are accessible to anyone with basic snorkeling skills, and feeling comfortable in the water and with his snorkeling gear. You will enter the water from the shore (beach, pontoon, ladder, rocks) or from a boat. The water height in the sea entrance area is reasonable, but you will not necessarily be within your depth. Moderate currents can occur in the area, even when the sea conditions are good. The distance to swim to reach the most interesting snorkeling areas of the spot does not exceed 200 meters. This level only apply when the spot experiences optimal sea and/or weather conditions. It is not applicable if the sea and/or weather conditions deteriorate, in particular in the presence of rough sea, rain, strong wind, unusual current, large tides, waves and/or swell. You can find more details about the definition of our snorkeling levels on our snorkeling safety page.
Sadly much of the coral around Rawa is now rubble, particularly in the shallow areas. Further out it is still ok. There are still 12-15 bumpheads in the area. Serenggeh island had the best coral by a long way.
You must be logged in to post a comment.
Snorkeling spots are part of a wild environment and their aspect can be significantly altered by weather, seasons, sea conditions, human impact and climate events (storms, hurricanes, seawater-warming episodes…). The consequences can be an alteration of the seabed (coral bleaching, coral destruction, and invasive seagrass), a poor underwater visibility, or a decrease of the sea life present in the area. Snorkeling Report makes every effort to ensure that all the information displayed on this website is accurate and up-to-date, but no guarantee is given that the underwater visibility and seabed aspect will be exactly as described on this page the day you will snorkel the spot. If you recently snorkeled this area and noticed some changes compared to the information contained on this page, please contact us.
The data contained in this website is for general information purposes only, and is not legal advice. It is intended to provide snorkelers with the information that will enable them to engage in safe and enjoyable snorkeling, and it is not meant as a substitute for swim level, physical condition, experience, or local knowledge. Remember that all marine activities, including snorkeling, are potentially dangerous, and that you enter the water at your own risk. You must take an individual weather, sea conditions and hazards assessment before entering the water. If snorkeling conditions are degraded, postpone your snorkeling or select an alternate site. Know and obey local laws and regulations, including regulated areas, protected species, wildlife interaction and dive flag laws.