Level:
This spot has been added by
4 spots added - 185 photos shared
Last updated on April 24, 2021
Protected against the Atlantic Ocean by a large coral barrier, Playa Santa Lucia is one of Cuba’s main seaside resorts. In this part of the island, the reef is too far from the beach to be reached by swimming, but many excursionists can take you there by boat. When finning on the surface of the crystal clear water, you will explore a vibrant underwater world surrounded by a multitude of tropical fish.
Playa Santa Lucia is a huge residential and hotel area located a hundred kilometers northeast of Camagüey. It has more than 20km of beaches, protected by one of the longest coral reefs in the world, located on average 1800m from the coast.
To reach the reef, which offers excellent snorkeling, there is only one option: book a boat trip with one of the local tour operators or diving clubs. For a trip of around 2h30, count CUC 25/person.
You can jump into the water directly from a boat. Follow the instructions of your guide.
Santa Lucia’s barrier reef is huge, and you can snorkel in many places on the reef. On the above map, we have depicted the area where many guides take snorkelers, but your trip may also take place on a different part of the reef. The guide will get into the water with the group, while the boat will remain alongside the snorkelers.
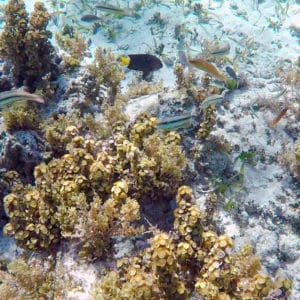
This spot is located inside the huge lagoon that has formed between the beach and the coral reef. In this area, the depth does not exceed 6ft/2m. The seabed is quite varied, from hard and soft corals, seagrass meadows and stretches of sand.
There are also beautiful sea fans, on which flamingo tongue snails are found. Do not trust the friendly appearance of these small colourful shells: they devour the polyps of the gorgonians on which they live.
A very nice variety of fish typical of the Caribbean reefs can be seen in Playa Santa Lucia, particularly yellowtail snappers, bluehead and yellowhead wrasse, schools of bigeye trevally, as well as various species of butterflyfish.
Playa Santa Lucia has many all-inclusive hotels and casas particulares scattered along the huge beach. There are many very nice little restaurants along the beach, like Dinoco.
Jump into Playa Santa Lucia underwater world in this video 👇 shot by Maima.
These spots are accessible to anyone with basic snorkeling skills, and feeling comfortable in the water and with his snorkeling gear. You will enter the water from the shore (beach, pontoon, ladder, rocks) or from a boat. The water height in the sea entrance area is reasonable, but you will not necessarily be within your depth. Moderate currents can occur in the area, even when the sea conditions are good. The distance to swim to reach the most interesting snorkeling areas of the spot does not exceed 200 meters. This level only apply when the spot experiences optimal sea and/or weather conditions. It is not applicable if the sea and/or weather conditions deteriorate, in particular in the presence of rough sea, rain, strong wind, unusual current, large tides, waves and/or swell. You can find more details about the definition of our snorkeling levels on our snorkeling safety page.
You must be logged in to post a comment.
Snorkeling spots are part of a wild environment and their aspect can be significantly altered by weather, seasons, sea conditions, human impact and climate events (storms, hurricanes, seawater-warming episodes…). The consequences can be an alteration of the seabed (coral bleaching, coral destruction, and invasive seagrass), a poor underwater visibility, or a decrease of the sea life present in the area. Snorkeling Report makes every effort to ensure that all the information displayed on this website is accurate and up-to-date, but no guarantee is given that the underwater visibility and seabed aspect will be exactly as described on this page the day you will snorkel the spot. If you recently snorkeled this area and noticed some changes compared to the information contained on this page, please contact us.
The data contained in this website is for general information purposes only, and is not legal advice. It is intended to provide snorkelers with the information that will enable them to engage in safe and enjoyable snorkeling, and it is not meant as a substitute for swim level, physical condition, experience, or local knowledge. Remember that all marine activities, including snorkeling, are potentially dangerous, and that you enter the water at your own risk. You must take an individual weather, sea conditions and hazards assessment before entering the water. If snorkeling conditions are degraded, postpone your snorkeling or select an alternate site. Know and obey local laws and regulations, including regulated areas, protected species, wildlife interaction and dive flag laws.