Level: Free shore access This spot have a free shore access: you can go snorkeling there freely and without having to book a tour or pay an entrance fee. Resort nearby
This spot has been added by
4 spots added - 185 photos shared
Last updated on April 24, 2021
Playa Rancho Luna is a beautiful beach at the mouth of Cienfuegos Bay, on the southern coast of Cuba. This snorkeling spot is relatively little frequented by tourists, but valued by locals, who come here to enjoy their day with family or friends. The beach offers access to a rather preserved coral reef where one can admire, among elkhorn corals and gorgonians, a multitude of colorful fish.
Playa Rancho Luna is about 20km south of Cienfuegos city, on the Caribbean coast of Cuba. The beach is located in one of the most beautiful bays of the island. In order to reach Rancho Luna and its beach from Cienfuegos, you can take the bus, the taxi or use your own car. There are parking lots close to restaurants.
You can get into the water from any area of the sandy beach. At low tide, the reef flat is exposed and it is advisable to put on your water shoes or fins in order to get into the water.
The recommended snorkeling area covers the reef which faces Rancho Luna beach. Swimming away from the beach, the first meters are covered with sandy, rocky and grassy seabeds (↕3-6ft/1-2 m).
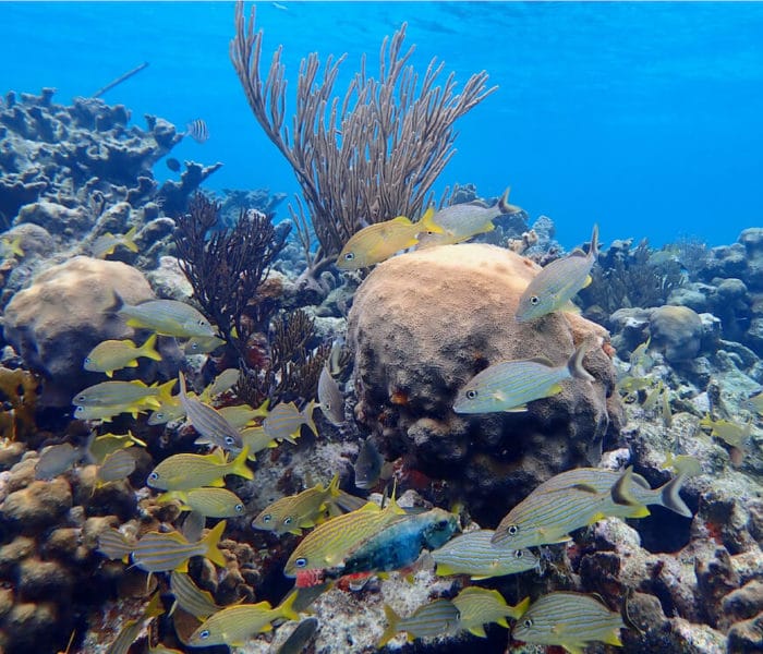
The seagrass meadows serve as hiding places for many fish, including horse-eye jack, bluehead wrasse, slippery dick and several species of damselfish. Among the rocks, pay attention to sea urchins, which are pretty numerous in the area.
You can only spot the first corals a hundred meters away from the beach, in a wide variety of shapes, sizes, and colors. You can discover one by one a field of yellow and violet sea fans, porous coral pinnacles, but also very beautiful colonies of elkhorn corals (↕12-18ft/4-6 m).
Pay attention to fire corals, which often form extended colonies. In these shallow areas, you can observe many species of fish: blue tang, boxfish, trumpetfish and, with a little luck, a rock beauty.
The bay is generally well sheltered. Nevertheless, do not go beyond the reef areas pounded by the waves, which start 200-250 m from the beach.
Behind the beach there are small restaurants and beach bars. There are also several hard-wall restaurants, one of them being close to the big parking lot. If you want to find accommodation in the bay, you can choose from several casas particulares and hotels, especially Hotel Rancho Luna (on the east side of the beach) and Hotel Faro Luna (on the west end of the bay).
These snorkeling spots are accessible to beginners and kids. You will enter the water gradually from a beach, or in a less than 3ft. deep area. The sea is generally calm, shallow, with almost no waves or currents. These spots are usually located in marked and/or monitored swimming areas. It is not necessary to swim long distances to discover the sea life. This level only apply when the spot experiences optimal sea and/or weather conditions. It is not applicable if the sea and/or weather conditions deteriorate, in particular in the presence of rough sea, rain, strong wind, unusual current, large tides, waves and/or swell. You can find more details about the definition of our snorkeling levels on our snorkeling safety page.
You must be logged in to post a comment.
Snorkeling spots are part of a wild environment and their aspect can be significantly altered by weather, seasons, sea conditions, human impact and climate events (storms, hurricanes, seawater-warming episodes…). The consequences can be an alteration of the seabed (coral bleaching, coral destruction, and invasive seagrass), a poor underwater visibility, or a decrease of the sea life present in the area. Snorkeling Report makes every effort to ensure that all the information displayed on this website is accurate and up-to-date, but no guarantee is given that the underwater visibility and seabed aspect will be exactly as described on this page the day you will snorkel the spot. If you recently snorkeled this area and noticed some changes compared to the information contained on this page, please contact us.
The data contained in this website is for general information purposes only, and is not legal advice. It is intended to provide snorkelers with the information that will enable them to engage in safe and enjoyable snorkeling, and it is not meant as a substitute for swim level, physical condition, experience, or local knowledge. Remember that all marine activities, including snorkeling, are potentially dangerous, and that you enter the water at your own risk. You must take an individual weather, sea conditions and hazards assessment before entering the water. If snorkeling conditions are degraded, postpone your snorkeling or select an alternate site. Know and obey local laws and regulations, including regulated areas, protected species, wildlife interaction and dive flag laws.
LAST SPACES AVAILABLE