Level:
This spot has been added by
Last updated on October 8, 2022
The Tiputa Pass (one of the only two passes in the atoll of Rangiroa, with the Avatoru Pass) is a mythical diving spot, world-renowned for its countless dolphins, hammerhead sharks and Manta rays. If the Tiputa pass is above all a scuba diving spot, it can also be drift-snorkeled, letting the gentle currents carry you through the pass. This activity is only possible when the sea is calm and with incoming current (from the open sea towards the inner part of the atoll). For safety reasons, this exploration must be performed with a guide.
The Tiputa pass is located between the Tiputa and Avatoru, Rangiroa’s main villages. Two viewpoints have been created on both sides of the pass, and are worth the detour when the current is outgoing: dolphins come jump and play in the waves, a few tens of meters from the shore.
To snorkel the pass, you will have the choice between several tour organizers on the atoll. The prices range from 30 to 50 euros per person for a 2-hours tour. Your hotel or your guesthouse will make the booking for you. The boats leave from Avatoru and Tiputa jetties and reach the pass in a few minutes.
Because of the current and the depth in the central part of the pass, drift snorkeling is not recommended if you are not a confident snorkeler. Do not consider snorkeling in the pass without supervision.
Once the boat will be at the entrance to the pass, your guide will tell you when you can jump in the water. The guide will remain at your side in the water throughout the drift.
Snorkeling the Tiputa Pass consists in letting yourself drift by the current, between the entrance of the pass and the inner part of the lagoon. The boat will then pick you up at the exit of the pass.
Most tours will allow you to drift 2 or 3 times in the pass, getting back on the boat between the different drifts. It is also possible, once inside the atoll, to let you drift to a nice patch reef known as The Aquarium (Motu Nui Nui), which is fringed by a vibrant coral reef.
The pass offers a high probability of encountering big sea creatures, but the sightings cannot be guaranteed.
Blacktip sharks are the most common big fish in Tiputa, but you may also spot other shark species such as the grey reef shark, the tiger shark and the hammerhead shark. Manta rays, eagle rays, Maori wrasse and green sea turtles are frequently encountered in the pass, just like the bottlenose dolphins, who visit it on a daily basis.
The luck factor is very important on this spot. A few minutes apart, two groups of snorkelers can live very different experiences (sometimes without any sight).
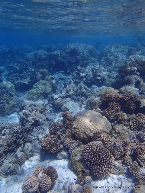
The edges of the pass are covered with hard coral, and are the home to rich reef life. You will observe schools of black triggerfish and jacks, several species of surgeonfish (including the Achilles tang), and butterflyfish.
You will find 2 or 3 snacks and restaurants in Avatoru and Tiputa, located near the piers, but the opening hours are reduced, especially at lunchtime.
These spots are only recommended to good swimmers, in good physical conditions, and with excellent snorkeling skills. These spots can experience currents, moderate waves, important depths, tight or narrow passages, or tricky water entrance, and can be located near hazardous areas (channels, boat traffic, strong currents…). The distance to swim to reach the most interesting snorkeling areas can be important - up to 500 meters. The “advanced” category includes drift snorkeling (transported by currents) and snorkeling off the coast. This level only apply when the spot experiences optimal sea and/or weather conditions. It is not applicable if the sea and/or weather conditions deteriorate, in particular in the presence of rough sea, rain, strong wind, unusual current, large tides, waves and/or swell.You can find more details about the definition of our snorkeling levels on our snorkeling safety page.
You must be logged in to post a comment.
Snorkeling spots are part of a wild environment and their aspect can be significantly altered by weather, seasons, sea conditions, human impact and climate events (storms, hurricanes, seawater-warming episodes…). The consequences can be an alteration of the seabed (coral bleaching, coral destruction, and invasive seagrass), a poor underwater visibility, or a decrease of the sea life present in the area. Snorkeling Report makes every effort to ensure that all the information displayed on this website is accurate and up-to-date, but no guarantee is given that the underwater visibility and seabed aspect will be exactly as described on this page the day you will snorkel the spot. If you recently snorkeled this area and noticed some changes compared to the information contained on this page, please contact us.
The data contained in this website is for general information purposes only, and is not legal advice. It is intended to provide snorkelers with the information that will enable them to engage in safe and enjoyable snorkeling, and it is not meant as a substitute for swim level, physical condition, experience, or local knowledge. Remember that all marine activities, including snorkeling, are potentially dangerous, and that you enter the water at your own risk. You must take an individual weather, sea conditions and hazards assessment before entering the water. If snorkeling conditions are degraded, postpone your snorkeling or select an alternate site. Know and obey local laws and regulations, including regulated areas, protected species, wildlife interaction and dive flag laws.