Level:
This spot has been added by
Last updated on February 2, 2023
Not far from La Digue, Coco Island is probably one of the most vibrant snorkeling locations in Seychelles. Around this idyllic islet bathed by crystal-clear waters, you can swim amid turtles and hundreds of fish above colorful coral. A not-to-be-missed spot if you stay on the island.
Coco Island lies a few miles from La Digue. Unless you have your own boat or you are visiting Seychelles in a catamaran, you will have to book a snorkeling tour to visit the spot.
Tours to Coco leaving from La Digue generally include a second snorkeling stop on neighboring Félicité Island. Since the spot is part of the Coco Island Marine Park, you’ll have to pay an entrance fee (usually included in the tour price).
Water entrance is from boat ladders.
The main snorkeling area edges Coco Island and the nearby rocky islets. Your guide will usually come with you in the water, and you’ll have to follow him for a tour of the best locations.
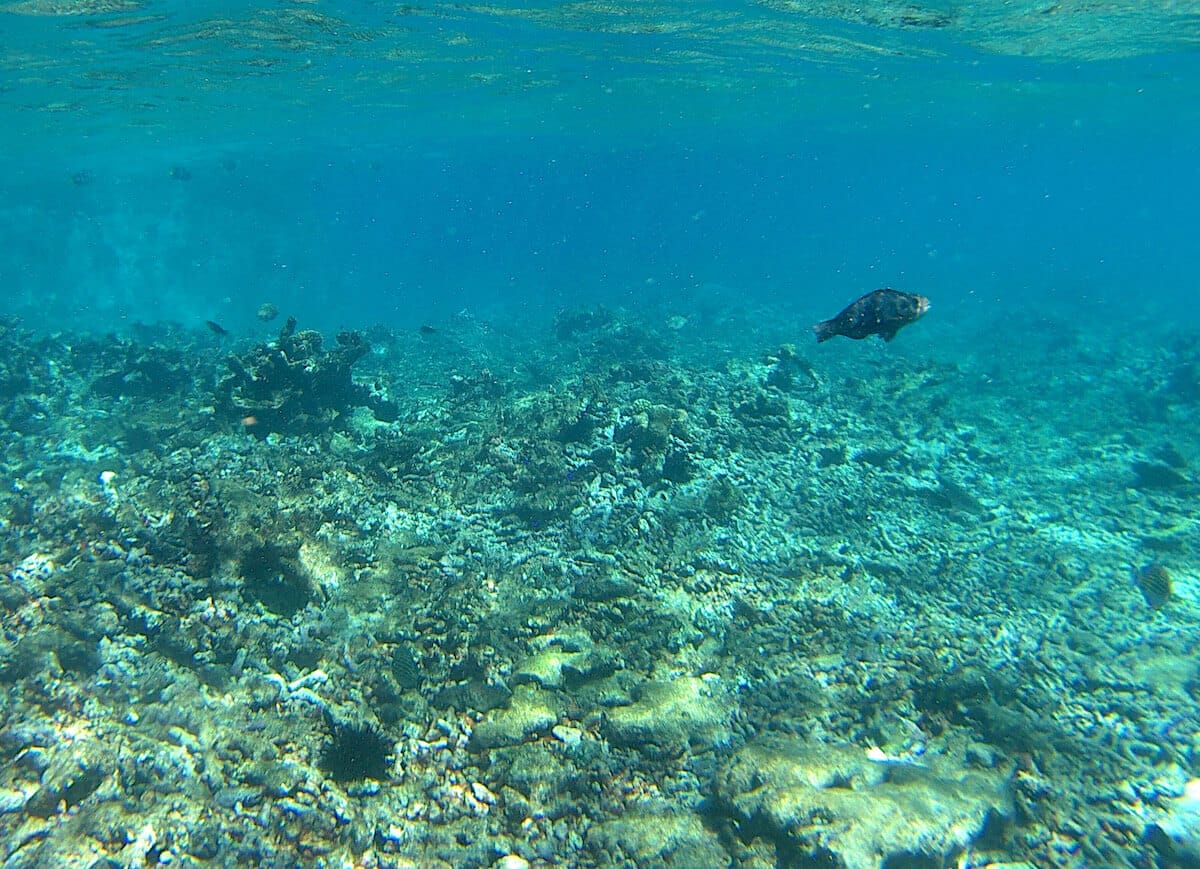
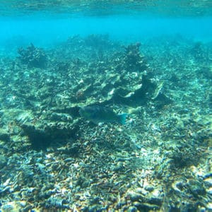
At this location, the seabed is varied. You will alternatively snorkel sandy beds, spectacular granite rocks, and healthy coral beds (↕12-24ft/4-8m). Near the beach, it gets shallower (↕3-10ft/1-3m) and the seabed is poor in coral, but there are still many fish to see.
The underwater life in this spot is impressive in density and variety and includes shoals of powder blue tangs, hawksbill sea turtles, spotted eagle rays, parrotfish, blue damselfish, and hundreds of sea goldies. The coral is in variable conditions, with some areas of healthy coral and some others covered with dead coral debris.
At this spot, the underwater visibility is usually great.
Coco Island is an unspoiled spot, and there are no restaurants. Some tours provide drinks and snacks, check before booking.
Hawksbill sea turtles are a familiar sight in La Digue and its neighboring islands, like Coco Island. In order to be a responsible snorkeler, be sure to respect the following rules when observing them:
On La Digue main island, Anse Patates and Anse Caiman (both with free shore access) are also excellent snorkeling spots to encounter hawksbill sea turtles.
These spots are accessible to anyone with basic snorkeling skills, and feeling comfortable in the water and with his snorkeling gear. You will enter the water from the shore (beach, pontoon, ladder, rocks) or from a boat. The water height in the sea entrance area is reasonable, but you will not necessarily be within your depth. Moderate currents can occur in the area, even when the sea conditions are good. The distance to swim to reach the most interesting snorkeling areas of the spot does not exceed 200 meters. This level only apply when the spot experiences optimal sea and/or weather conditions. It is not applicable if the sea and/or weather conditions deteriorate, in particular in the presence of rough sea, rain, strong wind, unusual current, large tides, waves and/or swell. You can find more details about the definition of our snorkeling levels on our snorkeling safety page.
You must be logged in to post a comment.
Snorkeling spots are part of a wild environment and their aspect can be significantly altered by weather, seasons, sea conditions, human impact and climate events (storms, hurricanes, seawater-warming episodes…). The consequences can be an alteration of the seabed (coral bleaching, coral destruction, and invasive seagrass), a poor underwater visibility, or a decrease of the sea life present in the area. Snorkeling Report makes every effort to ensure that all the information displayed on this website is accurate and up-to-date, but no guarantee is given that the underwater visibility and seabed aspect will be exactly as described on this page the day you will snorkel the spot. If you recently snorkeled this area and noticed some changes compared to the information contained on this page, please contact us.
The data contained in this website is for general information purposes only, and is not legal advice. It is intended to provide snorkelers with the information that will enable them to engage in safe and enjoyable snorkeling, and it is not meant as a substitute for swim level, physical condition, experience, or local knowledge. Remember that all marine activities, including snorkeling, are potentially dangerous, and that you enter the water at your own risk. You must take an individual weather, sea conditions and hazards assessment before entering the water. If snorkeling conditions are degraded, postpone your snorkeling or select an alternate site. Know and obey local laws and regulations, including regulated areas, protected species, wildlife interaction and dive flag laws.
LAST SPACES AVAILABLE