Level:
This spot has been added by
Last updated on October 7, 2022
Every sea life addict won’t want to miss the opportunity of snorkeling on the Great Barrier Reef, especially if they happen to visit Eastern Australia. Norman Reef is one of the most accessible spots in the Outer reef, the external part of the barrier famous for its exceptional biodiversity. Here, snorkelers swim amongst hundreds of bright-colored fish species in the deep-blue waters edging the drop-off.
The classic way to visit Norman Reef is to book a day tour from Cairns. 3 types of experiences are generally offered:
Prices vary from 240$ to about 290$ including lunch and snorkel gear. The ride from Cairns to the reef takes about 1h30. Numerous liveaboard boats cruising the Great Barrier also stop at Norman Reef, but they are generally dedicated to scuba diving and not to snorkeling.
You will enter the water either from the platform (if your tour includes time on the platform), or from your boat.
You will explore the inner side of the reef, well sheltered from the surf. If you enter the water from the platform, you will have access to the adjacent swimming area marked by buoys (see map).
If you enter the water from a boat, it will moor next to one of the buoys attached along the reef, most of them located north of the platform. In this case, however, you won’t be allowed to get too far from your boat.
The reef flat is very damaged and covered with dead coral debris (↕6-12ft/1-2m), but it gets livelier as depth increases (especially from ↕10-12ft/3-4m). The reef steps down to a sandy seabed (↕20-25ft/6-8m), featuring a chaotic relief made of plateaus, overhangs and cracks.
Corals, especially fluorescent-blue branching corals, are simply gorgeous in the most preserved areas. Giant clams are attached to the seabed, some of them more than 1 meter large.
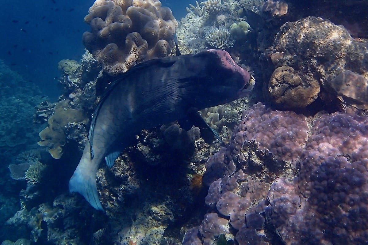
Amongst the most spectacular fish species likely to be spotted in Norman Reef, you won’t miss huge harlequin sweetlips and yellowbanded sweetlips sheltering still next to the drop-off, or humpback groupers hiding underneath coral overhangs.
Groupers, angelfish, anemonefish, bannerfish… There are so many different species dwelling here that it is almost impossible to list them all. If lucky, you might even spot a sea turtle, a reef shark or a bluespotted ribbontail ray.
Lunch is included in day tours. Snacks and drinks can be bought onboard and on the floating platform.
These spots are accessible to anyone with basic snorkeling skills, and feeling comfortable in the water and with his snorkeling gear. You will enter the water from the shore (beach, pontoon, ladder, rocks) or from a boat. The water height in the sea entrance area is reasonable, but you will not necessarily be within your depth. Moderate currents can occur in the area, even when the sea conditions are good. The distance to swim to reach the most interesting snorkeling areas of the spot does not exceed 200 meters. This level only apply when the spot experiences optimal sea and/or weather conditions. It is not applicable if the sea and/or weather conditions deteriorate, in particular in the presence of rough sea, rain, strong wind, unusual current, large tides, waves and/or swell. You can find more details about the definition of our snorkeling levels on our snorkeling safety page.
You must be logged in to post a comment.
Snorkeling spots are part of a wild environment and their aspect can be significantly altered by weather, seasons, sea conditions, human impact and climate events (storms, hurricanes, seawater-warming episodes…). The consequences can be an alteration of the seabed (coral bleaching, coral destruction, and invasive seagrass), a poor underwater visibility, or a decrease of the sea life present in the area. Snorkeling Report makes every effort to ensure that all the information displayed on this website is accurate and up-to-date, but no guarantee is given that the underwater visibility and seabed aspect will be exactly as described on this page the day you will snorkel the spot. If you recently snorkeled this area and noticed some changes compared to the information contained on this page, please contact us.
The data contained in this website is for general information purposes only, and is not legal advice. It is intended to provide snorkelers with the information that will enable them to engage in safe and enjoyable snorkeling, and it is not meant as a substitute for swim level, physical condition, experience, or local knowledge. Remember that all marine activities, including snorkeling, are potentially dangerous, and that you enter the water at your own risk. You must take an individual weather, sea conditions and hazards assessment before entering the water. If snorkeling conditions are degraded, postpone your snorkeling or select an alternate site. Know and obey local laws and regulations, including regulated areas, protected species, wildlife interaction and dive flag laws.