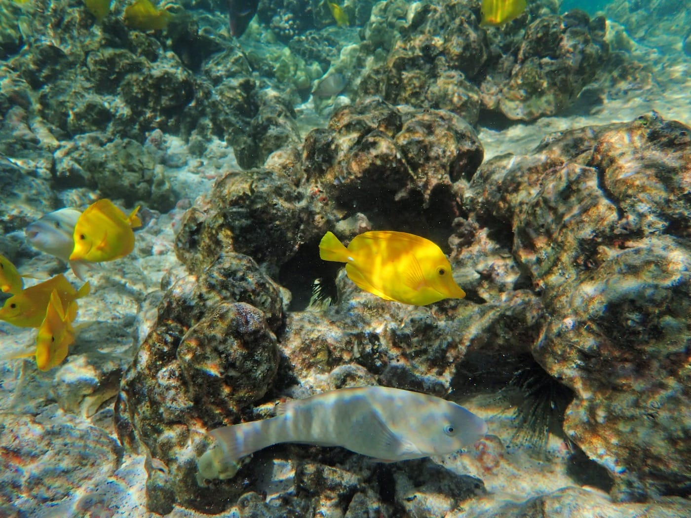
Yellow tang

Zebrasoma flavescens

Yellow tang

Distribution: Ryukyu, Mariana Islands (including Guam), Marcus, Wake and the Hawaiian Islands, where it is very common.

Spots where Zebrasoma flavescens has been spotted by snorkelers

Zebrasoma flavescens snorkeling pictures

Wanting to share some of your pics on this page? Upload your pictures on the spot page where the species has been photographed first (see here the list of all inventoried snorkeling spots). If your pics have been taken at another spot, you can add it to our map (see more here).