Niveau: Accès libre du bord Ce spot peut être exploré gratuitement depuis le bord de mer : vous pouvez y faire du palmes-masque-tuba librement, sans participer à une excursion ni payer de frais d'entrée.
Ce spot a été ajouté par
Dernière mise à jour le 25 juillet 2023
Petite plage populaire du sud-ouest de Mahé, Fairyland Beach offre un cadre paradisiaque, avec des cocotiers et blocs de granite surplombant un lagon cristallin. Du point de vue du snorkeling, les fonds ne sont pas extraordinaires, mais permettent d’observer une belle diversité de poissons colorés, et ce à faible profondeur.
Fairyland Beach est une petite plage située au bout de l’Anse Royale, une localité de la côte sud-est de Mahé. Elle est située à 30 minutes en voiture de Victoria (20km) et 20 minutes de l’aéroport (10km). La plage est également desservie par les bus.
Si vous êtes au village d’Anse Royale, vous pouvez rejoindre le spot à pied en suivant la côte sur environ 700m vers le nord (en passant par la plage, il vous faudra toutefois contourner une pointe rocheuse).
On vous conseille d’entrer dans l’eau au bout de la plage, au niveau des rochers. Il y a parfois très peu d’eau dans le lagon, dans ce cas marchez un peu vers l’Îlot Souris (voir carte) pour trouver une profondeur suffisante.
La zone recommandée pour le palmes-masque-tuba couvre les fonds situés face à la plage. On recommande surtout d’explorer les rochers de la côte et les abords de l’Îlot Souris. Ne passez pas derrière l’îlot, où il y a souvent du courant.
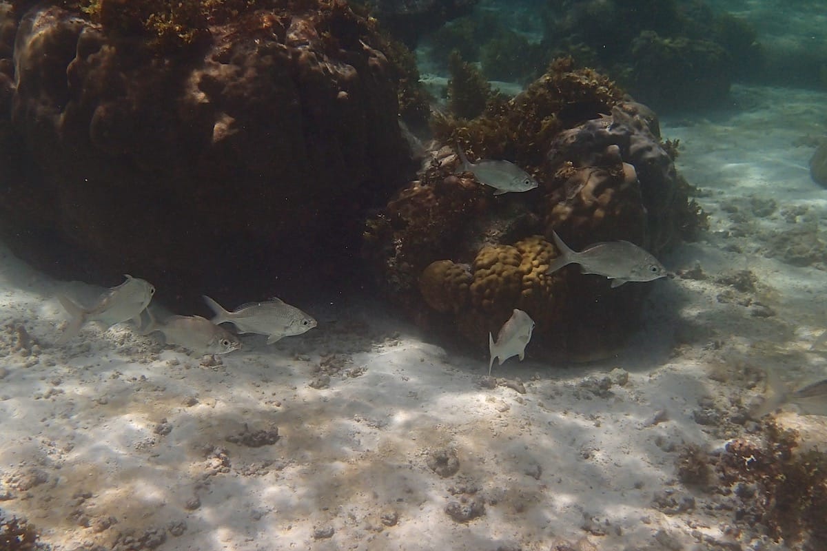
Le lagon de Fairyland Beach ne vaut pas vraiment pour ses fonds marins, assez pauvres. Il abrite surtout des blocs de granite et des étendues de sable, même si quelques jolis coraux cuir (Sarcophyton sp.) sont fixés çà et là sur les fonds.
Si l’on vient ici, c’est surtout pour rencontrer et photographier de beaux poissons colorés, faciles à approcher dans ce lagon cristallin et peu profond (↕1-2m). Près des rochers, on peut par exemple voir des poissons-anges à demi-cercles, des mérous célestes, des girelles-paon à épaules jaunes et plusieurs espèces de sergents majors.
Les canthigasters à selles, souvent vus en couple, préfèrent quant à eux les zones de sable, où passent de temps à autre de belles carangues. En rejoignant l’îlot, la profondeur augmente un peu (↕2-3m) et devient favorable aux raies léopard, qui visitent parfois le lagon.
On trouve quelques hébergements dans les collines qui surplombent la plage. Plusieurs restaurants et snacks sont installés au village d’Anse Royale.
Ces spots sont accessibles aux débutants en palmes-masque-tuba et aux enfants. La mise à l’eau se fait progressivement depuis une plage, ou depuis une zone où vous aurez pied. La mer y est généralement calme, peu profonde, avec peu ou pas de courants. Ces spots sont souvent situés dans des zones de baignade balisées et/ou surveillées. Il n’est pas nécessaire de parcourir de grandes distances pour découvrir les fonds marins.
Ce niveau s’entend lorsque le spot bénéficie de conditions optimales, par temps et mer calme. Il n'est pas applicable en cas de dégradation de ces conditions, par exemple en présence d’une mer agitée, de vent fort, d’un courant inhabituel, de grandes marées, de vagues et/ou de houle, ou encore de pluie. Vous trouverez plus de détails sur la définition de ces niveaux en consultant notre page sur la sécurité en snorkeling.
Vous devez être connecté pour commenter
Les spots de snorkeling sont situés dans des environnements naturels, et leur aspect peut varier significativement en raison de la météo, des saisons, des courants, des activités humaines ou d’évènements climatiques exceptionnels (tempêtes, cyclones, hausse de la température de l’eau…). Ces éléments peuvent entrainer une rapide altération des fonds marins (coraux blanchis ou brisés, invasions d’algues), une mauvaise visibilité sous l’eau, ou encore une diminution du nombre d’espèces présentes sur le spot. Nous faisons tout notre possible pour que les informations contenues sur cette page soient exactes et à jour, mais nous ne pouvons garantir que la visibilité ou l’aspect des fonds décrits sur cette page sera identique le jour de votre visite. Si vous avez récemment fait du snorkeling sur ce spot et que vous avez remarqué des changements, contactez-nous.
Le contenu de cette page est uniquement fourni à titre informatif. Il est destiné à apporter aux snorkeleurs des informations leur permettant de pratiquer leur activité de la meilleure façon possible, mais celles-ci ne se substituent en aucun cas à leur condition physique, à leur niveau de natation, à leur expérience du snorkeling ou à leur connaissance du terrain. Gardez à l’esprit que toutes les activités aquatiques, y-compris le snorkeling, sont potentiellement dangereuses, et que vous les pratiquez sous votre propre responsabilité. Réalisez toujours une évaluation individuelle de la météo, des conditions de mer et des dangers potentiels du spot avant d’entrer dans l’eau. En cas de doute, reportez votre session ou choisissez un autre spot. Prenez connaissance des lois et règlementations locales, y-compris celles relatives aux bouées de plongée, aux zones réglementées, aux espèces protégées et aux interactions avec la faune sauvage.