Niveau: Accès libre du bord Ce spot peut être exploré gratuitement depuis le bord de mer : vous pouvez y faire du palmes-masque-tuba librement, sans participer à une excursion ni payer de frais d'entrée.
Ce spot a été ajouté par
Dernière mise à jour le 2 mai 2021
Cala Figuera, située sur la côte rocheuse du nord de Majorque, est l’un des joyaux naturels des Baléares. Cette plage encaissée, où des chèvres se promènent parmi les touristes, abrite des eaux calmes et turquoises, idéales pour une session palmes-masque-tuba. Si les fonds de la calanque sont peu intéressants (on y trouve surtout du sable et des rochers), vous y verrez une grande diversité de poissons typiques des petits fonds méditerranéens.
Cala Figuera est située sur le Cap Formentor, qui forme l’extrémité nord-ouest de l’île de Majorque. En voiture, prenez la route du cap et garez-vous sur le parking d’où partent les sentiers pour Cala Figuera et Cala Murta (bien indiqué). Descendez ensuite à pied dans la calanque (15-20 minutes). Le sentier est rocailleux et escarpé.
Attention à ne pas confondre cette calanque avec le lieu-dit du même nom (où est située une autre calanque aussi appelée « Cala Figuera », aménagée en petit port) qui se trouve au sud de Majorque.
Vous pouvez entrer dans l’eau depuis la plage de galets, ou directement depuis les rochers qui bordent la calanque, où plusieurs « escaliers » ont été aménagés.
On peut faire du snorkeling partout dans la calanque, mais les zones rocheuses qui se trouvent de part et d’autre de la plage (↕1-3m) sont les plus intéressantes.
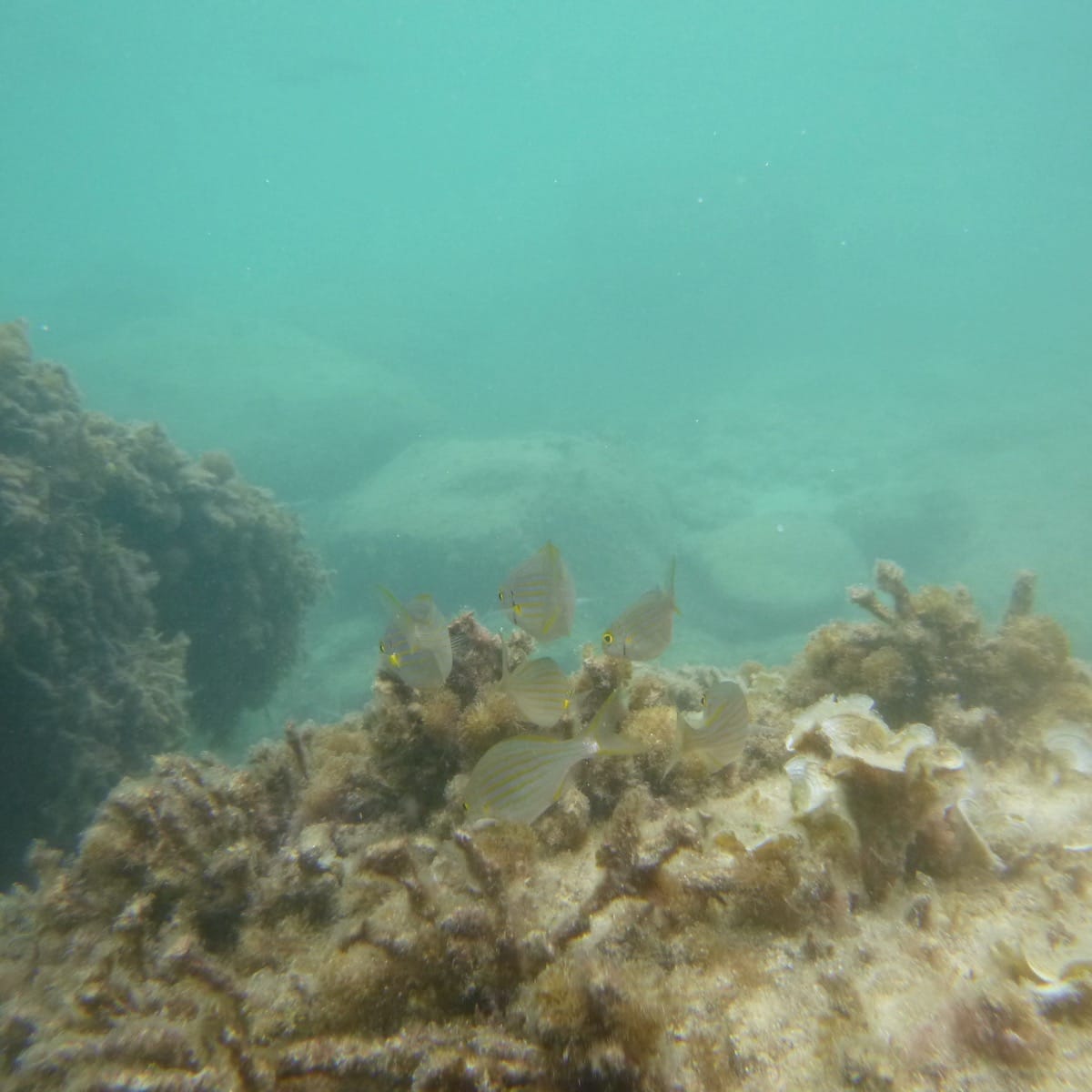
On peut observer autour des rochers de nombreux poissons méditerranéens, comme les sars (commun, à tête noire, à museau pointu…), les oblades et les girelles paon, qui sont certainement les poissons les plus colorés de la calanque.
De petits bancs de saupes vont de rocher en rocher, broutant les petites algues qui s’y trouvent. Au pied des rochers s’étendent de vastes zones sableuses, couvertes par endroits de feuilles de posidonie. C’est le milieu que préfère le rouget de roche (qui recherche vers et crustacés en fouillant dans le substrat) ou les gobies, qui l’on peut souvent voir ici.
La calanque est vaste et la profondeur augmente rapidement à mesure que l’on s’éloigne de la plage. On trouve au-delà de la petite pointe des herbiers de posidonie (↕3-5m), qui constituent aussi un milieu intéressant à explorer.
La calanque est en général bien abritée, avec une excellente visibilité sous-marine.
Il n’y a pas de buvette ni de restaurant dans la calanque. Prévoyez de l’eau car la remontée vers le parking sous le soleil peut être épuisante.
Ces spots sont accessibles aux débutants en palmes-masque-tuba et aux enfants. La mise à l’eau se fait progressivement depuis une plage, ou depuis une zone où vous aurez pied. La mer y est généralement calme, peu profonde, avec peu ou pas de courants. Ces spots sont souvent situés dans des zones de baignade balisées et/ou surveillées. Il n’est pas nécessaire de parcourir de grandes distances pour découvrir les fonds marins.
Ce niveau s’entend lorsque le spot bénéficie de conditions optimales, par temps et mer calme. Il n'est pas applicable en cas de dégradation de ces conditions, par exemple en présence d’une mer agitée, de vent fort, d’un courant inhabituel, de grandes marées, de vagues et/ou de houle, ou encore de pluie. Vous trouverez plus de détails sur la définition de ces niveaux en consultant notre page sur la sécurité en snorkeling.
Vous devez être connecté pour commenter
Les spots de snorkeling sont situés dans des environnements naturels, et leur aspect peut varier significativement en raison de la météo, des saisons, des courants, des activités humaines ou d’évènements climatiques exceptionnels (tempêtes, cyclones, hausse de la température de l’eau…). Ces éléments peuvent entrainer une rapide altération des fonds marins (coraux blanchis ou brisés, invasions d’algues), une mauvaise visibilité sous l’eau, ou encore une diminution du nombre d’espèces présentes sur le spot. Nous faisons tout notre possible pour que les informations contenues sur cette page soient exactes et à jour, mais nous ne pouvons garantir que la visibilité ou l’aspect des fonds décrits sur cette page sera identique le jour de votre visite. Si vous avez récemment fait du snorkeling sur ce spot et que vous avez remarqué des changements, contactez-nous.
Le contenu de cette page est uniquement fourni à titre informatif. Il est destiné à apporter aux snorkeleurs des informations leur permettant de pratiquer leur activité de la meilleure façon possible, mais celles-ci ne se substituent en aucun cas à leur condition physique, à leur niveau de natation, à leur expérience du snorkeling ou à leur connaissance du terrain. Gardez à l’esprit que toutes les activités aquatiques, y-compris le snorkeling, sont potentiellement dangereuses, et que vous les pratiquez sous votre propre responsabilité. Réalisez toujours une évaluation individuelle de la météo, des conditions de mer et des dangers potentiels du spot avant d’entrer dans l’eau. En cas de doute, reportez votre session ou choisissez un autre spot. Prenez connaissance des lois et règlementations locales, y-compris celles relatives aux bouées de plongée, aux zones réglementées, aux espèces protégées et aux interactions avec la faune sauvage.
DERNIERES PLACES DISPONIBLES