Niveau:
Ce spot a été ajouté par
22 spots ajoutés - 483 photos partagées
Dernière mise à jour le 6 juillet 2023
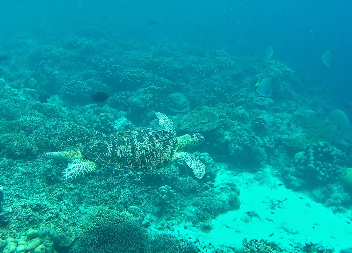
Les Hanging Gardens (Jardins Suspendus) sont une section du récif qui encercle l’île de Sipadan, dans la Mer de Célèbes. Ce spot tient son nom de son tombant vertigineux auxquels les coraux mous et durs semblent accrochés au-dessus du vide. Si ce paysage sous-marin fascinant est l’une des attractions des Hanging Gardens, ils sont aussi le meilleur spot de Sipadan pour voir des tortues, et potentiellement de petits requins.
Le spot de snorkeling des Hanging Gardens est situé sur la bordure nord-ouest du récif qui entoure l’île de Sipadan. Il se visite uniquement au cours d’excursions en bateau, qui peuvent être réservées auprès des hôtels installés sur les îles environnantes (Mabul, Kapalai, Mataking, Kulapuan, Pom Pom, Timba Timba et Pandanan) ou via les clubs de plongée de Semporna. Certains resorts réservent leur quota de places aux plongeurs uniquement, renseignez-vous avant de réserver.
L’accès à l’île est limité à un certain nombre de snorkeleurs et plongeurs par jour, et il n’est pas possible de dormir sur place. Pour vous assurer d’obtenir un permis pour visiter l’île, essayez de réserver bien à l’avance et d’éviter la haute saison.
Il peut être difficile de se faire confirmer le spot exact qui sera visité lors de votre sortie, car les guides font parfois leur choix au dernier moment en fonction des conditions de mer.
Vous entrerez dans l’eau depuis l’échelle du bateau.
Les Hanging Gardens (les Jardins Suspendus) sont considérés comme l’un des sites de plongée en apnée les plus intéressants de Sipadan. Ils offrent l’opportunité de prendre des photos d’un récif foisonnant de coraux et de poissons.
Le récif tombe à la verticale vers les profondeurs, offrant des contrastes saisissants entre les coraux suspendus et l’océan bleu en arrière-plan. En snorkeling, vous longerez le tombant récifal qui se situe entre 1,5 et 4 mètres sous la surface.
De l’autre côté, les coraux chutent vers les profondeurs en formant un mur presque vertical. Des requins de récif sont fréquemment rencontrés ici, mais ce sont les tortues vertes que vous serez presque sûr de voir en explorant ce spot.
Des bancs de poissons stationnent sur le bord du récif aux côtés de coraux durs et mous. Il est facile de se laisser hypnotiser par la beauté de ce monde sous-marin coloré et paisible, mais gardez un œil sur les bateaux qui déposent les plongeurs et des snorkeleurs sur le tombant.
Il n’est pas possible de dormir sur l’île, mais la plupart des tours comprennent le déjeuner. Renseignez-vous lorsque vous réservez.
Ces spots conviennent aux personnes à l’aise dans l’eau et avec leur équipement de snorkeling. La mise à l’eau se fait depuis le rivage (plage, ponton, échelle, rochers) ou un bateau. La hauteur d’eau reste modérée, sans nécessairement que l’on ait pied. Ces spots peuvent connaître même par mer calme des courants modérés, mais pas à même de déstabiliser un bon nageur. La distance à parcourir en palmant jusqu’aux zones les plus intéressantes n’excède pas 200m.
Ce niveau s’entend lorsque le spot bénéficie de conditions optimales, par temps et mer calme. Il n'est pas applicable en cas de dégradation de ces conditions, par exemple en présence d’une mer agitée, de vent fort, d’un courant inhabituel, de grandes marées, de vagues et/ou de houle, ou encore de pluie. Vous trouverez plus de détails sur la définition de ces niveaux en consultant notre page sur la sécurité en snorkeling.
Vous devez être connecté pour commenter
Les spots de snorkeling sont situés dans des environnements naturels, et leur aspect peut varier significativement en raison de la météo, des saisons, des courants, des activités humaines ou d’évènements climatiques exceptionnels (tempêtes, cyclones, hausse de la température de l’eau…). Ces éléments peuvent entrainer une rapide altération des fonds marins (coraux blanchis ou brisés, invasions d’algues), une mauvaise visibilité sous l’eau, ou encore une diminution du nombre d’espèces présentes sur le spot. Nous faisons tout notre possible pour que les informations contenues sur cette page soient exactes et à jour, mais nous ne pouvons garantir que la visibilité ou l’aspect des fonds décrits sur cette page sera identique le jour de votre visite. Si vous avez récemment fait du snorkeling sur ce spot et que vous avez remarqué des changements, contactez-nous.
Le contenu de cette page est uniquement fourni à titre informatif. Il est destiné à apporter aux snorkeleurs des informations leur permettant de pratiquer leur activité de la meilleure façon possible, mais celles-ci ne se substituent en aucun cas à leur condition physique, à leur niveau de natation, à leur expérience du snorkeling ou à leur connaissance du terrain. Gardez à l’esprit que toutes les activités aquatiques, y-compris le snorkeling, sont potentiellement dangereuses, et que vous les pratiquez sous votre propre responsabilité. Réalisez toujours une évaluation individuelle de la météo, des conditions de mer et des dangers potentiels du spot avant d’entrer dans l’eau. En cas de doute, reportez votre session ou choisissez un autre spot. Prenez connaissance des lois et règlementations locales, y-compris celles relatives aux bouées de plongée, aux zones réglementées, aux espèces protégées et aux interactions avec la faune sauvage.