Niveau: Accès libre du bord Ce spot peut être exploré gratuitement depuis le bord de mer : vous pouvez y faire du palmes-masque-tuba librement, sans participer à une excursion ni payer de frais d'entrée.
Ce spot a été ajouté par
12 spots ajoutés - 314 photos partagées
Dernière mise à jour le 19 avril 2021
Une session palmes-masque-tuba dans un décor de film, ça vous tente ? Direction Wallilabou Bay, où ont été tournées plusieurs séquences du premier opus de la saga « Pirates des Caraïbes » ! Au pied de la célèbre « arche des pirates » et le long des falaises qui bordent la baie, on découvre un superbe tombant rocheux. Couvert de coraux, le récif abrite une vie sous-marine très variée, entre murènes, poissons-anges, poissons-coffres et bancs de demoiselles.
Le site de Wallilabou Bay est situé sur la côte ouest de l’île de Saint-Vincent. En voiture, comptez ½ heure de route (20km) depuis Kingstown, la capitale. L’accès à la plage est gratuit. Si vous visitez Saint-Vincent et les Grenadines en bateau, vous pouvez également rejoindre la petite baie par la mer.
Nous vous conseillons de vous mettre à l’eau à la pointe nord de la plage (sur votre droite si vous êtes face à la mer). Vous serez ainsi proche de la zone recommandée pour le snorkeling.
La zone à explorer en palmes-masque-tuba couvre les fonds rocheux et récifaux qui s’étendent entre la plage et la fameuse « arche des pirates », qui a servi de décor à l’un des volets de la saga « Pirates des Caraïbes » (voir carte).
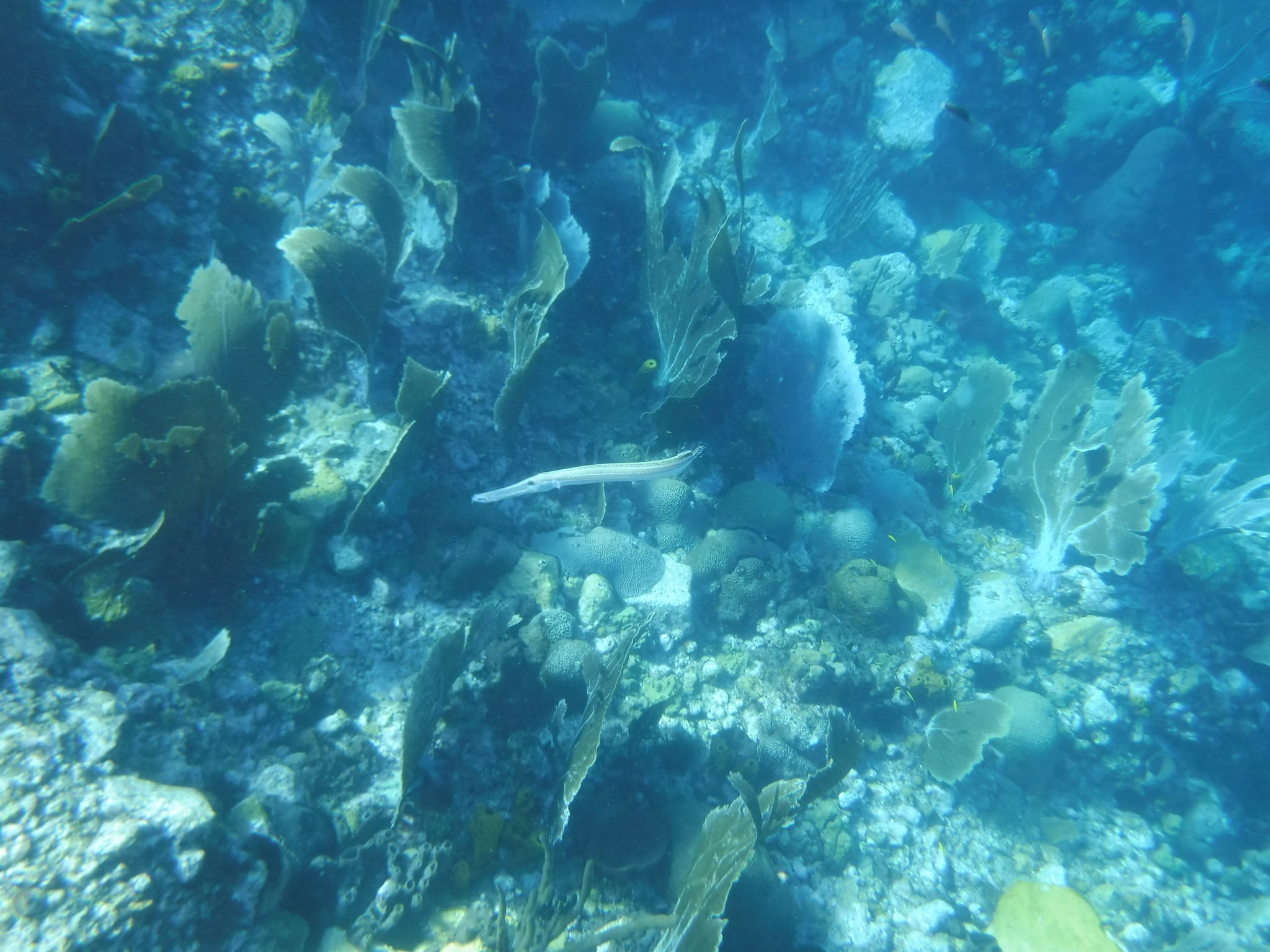
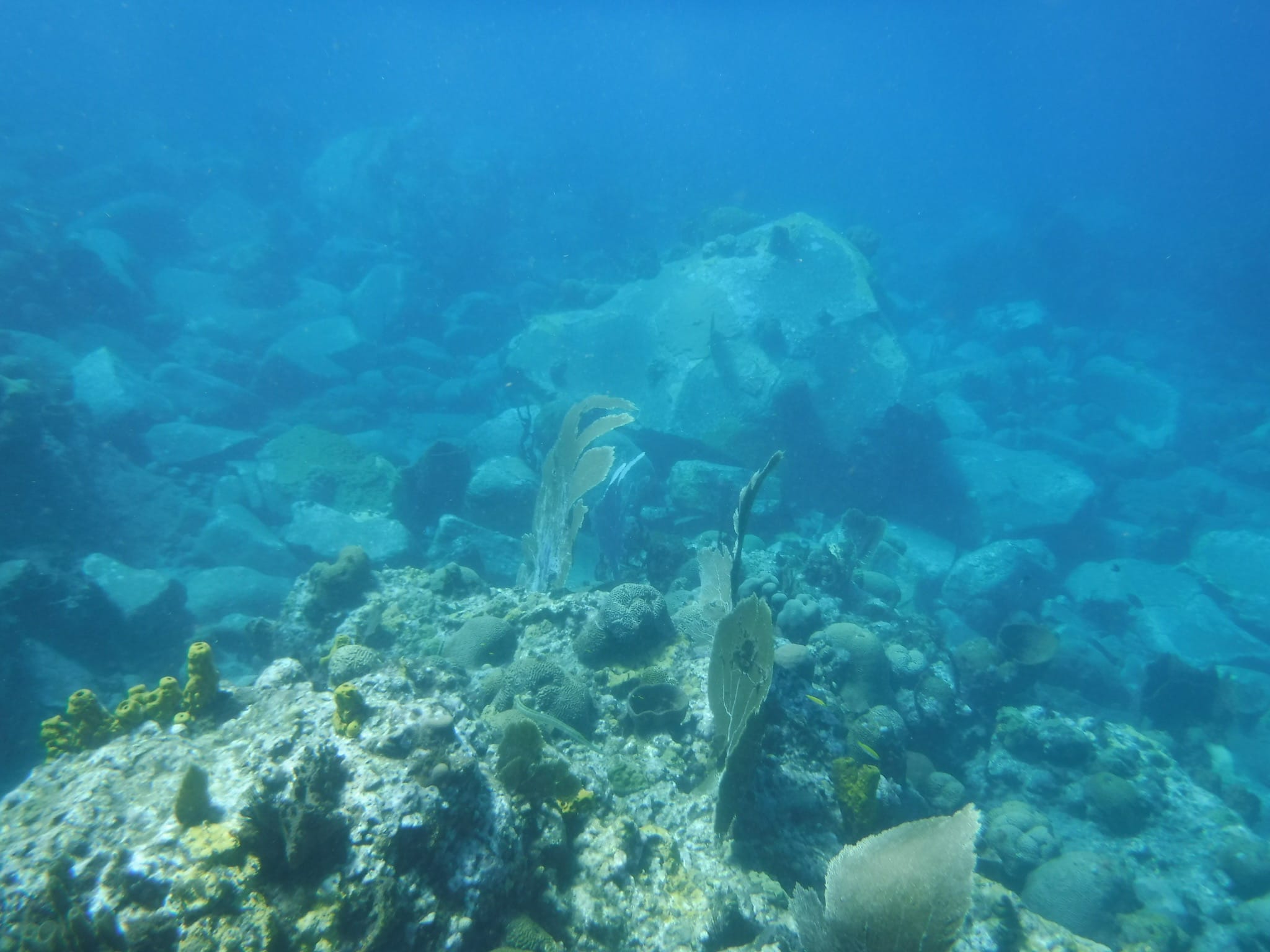
En longeant la falaise, on découvre un paysage sous-marin varié, composé d’éboulis rocheux et de tombants abrupts, entrecoupés de zones sableuses. Sur ce spot, la profondeur varie entre 1 et 8m en moyenne. Partout, les fonds sont couverts d’une grande variété de gorgones, d’éponges colorées (notamment des éponges tubulaires jaunes), et de quelques coraux durs.
Les fonds préservés de Wallilabou Bay permettent d’observer une grande variété de poissons. Des centaines de chromis bruns nagent juste sous la surface de l’eau, tandis que poissons-trompettes, sergents-majors et poissons-papillons gravitent autour du récif.
Parfois, on surprend un poisson-ange tricolore caché à l’ombre des rochers, ou une murène tachetée en train de serpenter entre les gorgones. Chirurgiens bleus, poissons-coffres et girelles à tête bleue sont également communs dans la zone.
L’eau est en général très claire sur ce spot, et la mer calme. Ne vous mettez pas à l’eau si la mer vous semble agitée. Notez qu’il faut palmer sur près de 450m pour rejoindre l’arche depuis la plage. Restez dans les limites de vos capacités physiques., surtout que le récif est déjà très beau à une centaine de mètres de la plage.
On trouve à Wallilabou Bay quelques bars et restaurants, installés le long de la plage.
Ces spots conviennent aux personnes à l’aise dans l’eau et avec leur équipement de snorkeling. La mise à l’eau se fait depuis le rivage (plage, ponton, échelle, rochers) ou un bateau. La hauteur d’eau reste modérée, sans nécessairement que l’on ait pied. Ces spots peuvent connaître même par mer calme des courants modérés, mais pas à même de déstabiliser un bon nageur. La distance à parcourir en palmant jusqu’aux zones les plus intéressantes n’excède pas 200m.
Ce niveau s’entend lorsque le spot bénéficie de conditions optimales, par temps et mer calme. Il n'est pas applicable en cas de dégradation de ces conditions, par exemple en présence d’une mer agitée, de vent fort, d’un courant inhabituel, de grandes marées, de vagues et/ou de houle, ou encore de pluie. Vous trouverez plus de détails sur la définition de ces niveaux en consultant notre page sur la sécurité en snorkeling.
Vous devez être connecté pour commenter
Les spots de snorkeling sont situés dans des environnements naturels, et leur aspect peut varier significativement en raison de la météo, des saisons, des courants, des activités humaines ou d’évènements climatiques exceptionnels (tempêtes, cyclones, hausse de la température de l’eau…). Ces éléments peuvent entrainer une rapide altération des fonds marins (coraux blanchis ou brisés, invasions d’algues), une mauvaise visibilité sous l’eau, ou encore une diminution du nombre d’espèces présentes sur le spot. Nous faisons tout notre possible pour que les informations contenues sur cette page soient exactes et à jour, mais nous ne pouvons garantir que la visibilité ou l’aspect des fonds décrits sur cette page sera identique le jour de votre visite. Si vous avez récemment fait du snorkeling sur ce spot et que vous avez remarqué des changements, contactez-nous.
Le contenu de cette page est uniquement fourni à titre informatif. Il est destiné à apporter aux snorkeleurs des informations leur permettant de pratiquer leur activité de la meilleure façon possible, mais celles-ci ne se substituent en aucun cas à leur condition physique, à leur niveau de natation, à leur expérience du snorkeling ou à leur connaissance du terrain. Gardez à l’esprit que toutes les activités aquatiques, y-compris le snorkeling, sont potentiellement dangereuses, et que vous les pratiquez sous votre propre responsabilité. Réalisez toujours une évaluation individuelle de la météo, des conditions de mer et des dangers potentiels du spot avant d’entrer dans l’eau. En cas de doute, reportez votre session ou choisissez un autre spot. Prenez connaissance des lois et règlementations locales, y-compris celles relatives aux bouées de plongée, aux zones réglementées, aux espèces protégées et aux interactions avec la faune sauvage.