Niveau:
Ce spot a été ajouté par
3 spots ajoutés - 69 photos partagées
Dernière mise à jour le 11 avril 2021
La Fausse Passe est l’un des meilleurs spots de snorkeling de l’île de Maupiti. En « descendant » la passe, porté par le léger courant entrant, vous pourrez observer des fonds coralliens habités par une grande variété de poissons tropicaux.
La Fausse Passe désigne les deux passages situés entre les motus du nord de Maupiti. Contrairement à une « vraie » passe, ces deux passages sont très peu profonds et n’entrecoupent pas le récif. Il n’est donc pas possible de les utiliser pour pénétrer dans le lagon depuis la pleine mer, d’où le nom de « fausse passe ».
Le spot de snorkeling est situé dans le plus étroit des deux passages, qui sépare le Motu Pae’ao et le Motu Tuanai (voir carte ci-dessous).
Pour faire du PMT dans la Fausse Passe, renseignez-vous auprès de votre pension qui pourra vous organiser une sortie en bateau.
La Fausse Passe est parcourue par un léger courant entrant et se découvre en snorkeling dérivant. Après vous être mis à l’eau à l’entrée de la passe (côté pleine mer, au nord), vous vous laisserez dériver par le courant en contemplant les fonds marins jusqu’à sa sortie (côté lagon, au sud). Suivez dans tous les cas les consignes de votre guide.
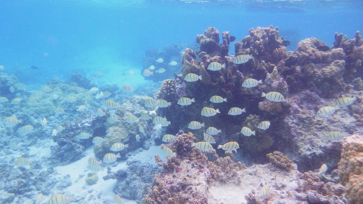
Sur ce spot, la profondeur varie entre 0,5 et 3m. C’est la hauteur d’eau idéale pour observer la vie sous-marine depuis la surface. Dans la passe, les fonds alternent entre massifs coralliens (plus ou moins en bon état) et langues de sable.
Une belle diversité de poissons vit dans la passe, notamment des poissons-anges, des balistes, de nombreux labres et des poissons-ballons. A certains endroits, vous serez rapidement encerclé par des bancs de poissons-papillons d’Ulietea, semble-t-il habitués à être nourris par certains guides.
Le Jardin de Corail de Tahaa est un autre spot réputé pour le snorkeling dérivant dans les Îles de la Société. Il a à peu près la même physionomie que la Fausse Passe de Maupiti, bien que moins large et moins profond.
Certaines excursions se déroulent à la journée et incluent un déjeuner sur un motu. Renseignez-vous auprès de votre pension.
Ces spots sont réservés aux bons nageurs, en bonne condition physique, et ayant l’habitude de pratiquer le snorkeling. Ils peuvent connaître des courants, des vagues modérées, des profondeurs importantes, des passages étroits, une mise à l’eau délicate, ou encore être à proximité de dangers potentiels (passe, zone de courants, passage de bateaux…). La distance à parcourir en palmant pour rejoindre la zone de snorkeling peut être importante (jusqu’à 500m). Cette catégorie de spots inclut les sorties en snorkeling dérivant (porté par le courant) ou en pleine mer.
Ce niveau s’entend lorsque le spot bénéficie de conditions optimales, par temps et mer calme. Il n'est pas applicables en cas de dégradation de ces conditions, par exemple en présence d’une mer agitée, de vent fort, d’un courant inhabituel, de grandes marées, de vagues et/ou de houle, ou encore de pluie. Vous trouverez plus de détails sur la définition de ces niveaux en consultant notre page sur la sécurité en snorkeling.
Vous devez être connecté pour commenter
Les spots de snorkeling sont situés dans des environnements naturels, et leur aspect peut varier significativement en raison de la météo, des saisons, des courants, des activités humaines ou d’évènements climatiques exceptionnels (tempêtes, cyclones, hausse de la température de l’eau…). Ces éléments peuvent entrainer une rapide altération des fonds marins (coraux blanchis ou brisés, invasions d’algues), une mauvaise visibilité sous l’eau, ou encore une diminution du nombre d’espèces présentes sur le spot. Nous faisons tout notre possible pour que les informations contenues sur cette page soient exactes et à jour, mais nous ne pouvons garantir que la visibilité ou l’aspect des fonds décrits sur cette page sera identique le jour de votre visite. Si vous avez récemment fait du snorkeling sur ce spot et que vous avez remarqué des changements, contactez-nous.
Le contenu de cette page est uniquement fourni à titre informatif. Il est destiné à apporter aux snorkeleurs des informations leur permettant de pratiquer leur activité de la meilleure façon possible, mais celles-ci ne se substituent en aucun cas à leur condition physique, à leur niveau de natation, à leur expérience du snorkeling ou à leur connaissance du terrain. Gardez à l’esprit que toutes les activités aquatiques, y-compris le snorkeling, sont potentiellement dangereuses, et que vous les pratiquez sous votre propre responsabilité. Réalisez toujours une évaluation individuelle de la météo, des conditions de mer et des dangers potentiels du spot avant d’entrer dans l’eau. En cas de doute, reportez votre session ou choisissez un autre spot. Prenez connaissance des lois et règlementations locales, y-compris celles relatives aux bouées de plongée, aux zones réglementées, aux espèces protégées et aux interactions avec la faune sauvage.