Niveau: Hôtel à proximité
Ce spot a été ajouté par
22 spots ajoutés - 483 photos partagées
Dernière mise à jour le 4 août 2023
Anse La Farine, encore riche en corail et avec une grande variété de poissons, cache peut-être le meilleur snorkeling de Praslin. L’absence de route pour s’y rendre, les courants, les marées et les méduses en font un spot peu accessible et exigeant, mais une fois dans l’eau tous vos efforts seront récompensés.
Aucune route ne permet de se rendre à Anse La Farine. Deux possibilités s’offrent à vous pour rejoindre le spot.
La première option est de séjourner au New Emerald Cove Hotel, situé en bord de plage, face au spot. L’hôtel organisera pour vous le transfert en bateau.
La deuxième option est de s’y rendre en bateau avec un guide local. Vous ne trouverez pas d’excursion régulière pour Anse La Farine, mais certains pêcheurs du coin accepteront de vous y emmener pour une somme raisonnable (à négocier). Un pêcheur avec un bateau blanc et rouge est notamment souvent présent à Anse La Blague.
Votre guide vous montrera où entrer dans l’eau. Suivez également ses instructions concernant les courants. Ceux-ci ne sont généralement pas dangereux à marée basse (qui est le meilleur moment pour faire du snorkeling dans l’anse), mais il se renforcent à marée haute. Ne vous mettez pas à l’eau si il y a des vagues, et restez à l’abri dans les zones protégées par le récif.
Toute la zone indiquée sur la carte peut être explorée. Celle-ci reste peu profonde, avec une hauteur d’eau moyenne de 1 à 2m. En s’approchant du tombant récifal, la profondeur atteint 3m à certains endroits.
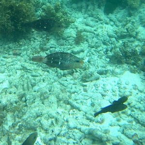
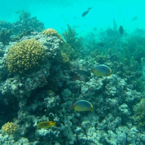
Les fonds marins sont superbes et, à l’inverse de la majorité des spots de snorkeling de Praslin, les coraux durs sont ici en assez bon état. Les oursins trouvent refuge entre les coraux, les éponges et les rochers tandis qu’une myriade de poissons vous entoure.
Les formations récifales alternent avec des zones de sable et des zones d’algues, rendant le paysage sous-marin varié et atypique. Frayez-vous un chemin entre les patates de corail qui affleurent sous la surface. Parmi les coraux durs identifiés sur ce spot figurent les Pocillopora, les Acropora, du corail favia, du corail cerveau et occasionnellement des Echinopora.
Vous ne verrez pas ici d’énormes bancs contrairement à d’autres endroits aux Seychelles, mais la variété de poissons est incroyable. Les poissons-anges à demi-cercle et les poissons-anges empereurs sont fréquemment observés sur le récif. Vous aurez également la chance d’apercevoir poissons-papillons côtelés, raton-laveur et cocher, ainsi que des Idoles des Maures.
Parmi les autres espèces régulièrement observées sur ce spot figurent le chirurgien bagnard, le chirurgien clown, le poisson-perroquet brûlé, ainsi que le mérou gâteau de cire, entre autres.
Des tortues imbriquées sont parfois aperçues à Anse La Farine, mais vous aurez plus de chances d’en voir sur d’autres spots, notamment autour de La Digue. Attention aux oursins et aux méduses, parfois nombreux sur ce spot.
Il n’y a pas de restaurant à Anse La Blague. Le New Emerald Cove Hotel est situé face au spot.
Ces spots conviennent aux personnes à l’aise dans l’eau et avec leur équipement de snorkeling. La mise à l’eau se fait depuis le rivage (plage, ponton, échelle, rochers) ou un bateau. La hauteur d’eau reste modérée, sans nécessairement que l’on ait pied. Ces spots peuvent connaître même par mer calme des courants modérés, mais pas à même de déstabiliser un bon nageur. La distance à parcourir en palmant jusqu’aux zones les plus intéressantes n’excède pas 200m.
Ce niveau s’entend lorsque le spot bénéficie de conditions optimales, par temps et mer calme. Il n'est pas applicable en cas de dégradation de ces conditions, par exemple en présence d’une mer agitée, de vent fort, d’un courant inhabituel, de grandes marées, de vagues et/ou de houle, ou encore de pluie. Vous trouverez plus de détails sur la définition de ces niveaux en consultant notre page sur la sécurité en snorkeling.
Vous devez être connecté pour commenter
Les spots de snorkeling sont situés dans des environnements naturels, et leur aspect peut varier significativement en raison de la météo, des saisons, des courants, des activités humaines ou d’évènements climatiques exceptionnels (tempêtes, cyclones, hausse de la température de l’eau…). Ces éléments peuvent entrainer une rapide altération des fonds marins (coraux blanchis ou brisés, invasions d’algues), une mauvaise visibilité sous l’eau, ou encore une diminution du nombre d’espèces présentes sur le spot. Nous faisons tout notre possible pour que les informations contenues sur cette page soient exactes et à jour, mais nous ne pouvons garantir que la visibilité ou l’aspect des fonds décrits sur cette page sera identique le jour de votre visite. Si vous avez récemment fait du snorkeling sur ce spot et que vous avez remarqué des changements, contactez-nous.
Le contenu de cette page est uniquement fourni à titre informatif. Il est destiné à apporter aux snorkeleurs des informations leur permettant de pratiquer leur activité de la meilleure façon possible, mais celles-ci ne se substituent en aucun cas à leur condition physique, à leur niveau de natation, à leur expérience du snorkeling ou à leur connaissance du terrain. Gardez à l’esprit que toutes les activités aquatiques, y-compris le snorkeling, sont potentiellement dangereuses, et que vous les pratiquez sous votre propre responsabilité. Réalisez toujours une évaluation individuelle de la météo, des conditions de mer et des dangers potentiels du spot avant d’entrer dans l’eau. En cas de doute, reportez votre session ou choisissez un autre spot. Prenez connaissance des lois et règlementations locales, y-compris celles relatives aux bouées de plongée, aux zones réglementées, aux espèces protégées et aux interactions avec la faune sauvage.