Niveau: Hôtel à proximité
Ce spot a été ajouté par
22 spots ajoutés - 483 photos partagées
Dernière mise à jour le 4 août 2023
Abritant probablement l’un des meilleurs snorkeling des îles de Semporna, Mataking offre de superbes expériences sous-marines. Le house reef du Mataking Reef Resort, en particulier, déborde d’un corail coloré et en bonne santé, attirant autour de lui une vie récifale éclatante.
L’île de Mataking est située dans la Mer de Célèbes, à environ 40 minutes en bateau de Semporna, ville de la côte est de Bornéo.
Il y a deux façons principales d’accéder à ce spot:
Si vous séjournez au Mataking Reef Resort, vous entrerez dans l’eau directement depuis la plage. Etant donné qu’un courant nord-sud est généralement présent le long du récif, mettez-vous plutôt à l’eau au nord de la plage, afin de ne pas avoir à palmer à contre-courant (faites-vous confirmer le sens du courant par le personnel de l’hôtel). Attention aux petites pastenagues ou aux poissons-pierres qui peuvent être présents près du bord.
Si vous participez à une excursion, l’entrée dans l’eau se fait depuis un bateau.
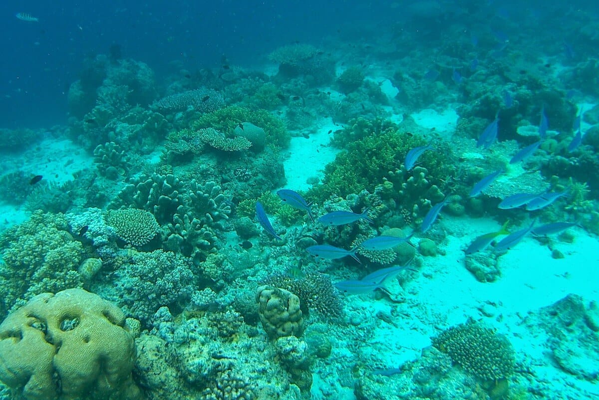
Les zones coralliennes les plus intéressantes se trouvent entre 7 et 15m du bord. Entre la plage et celles-ci, les fonds sont assez pauvres, avec très peu de coraux. Au-delà, le récif corallien s’interrompt et laisse place à une pente sableuse profonde. Sur le récif, la profondeur est faible, de 0,5 à 2m en moyenne, avec quelques zones plus creusées (↕3-4m).
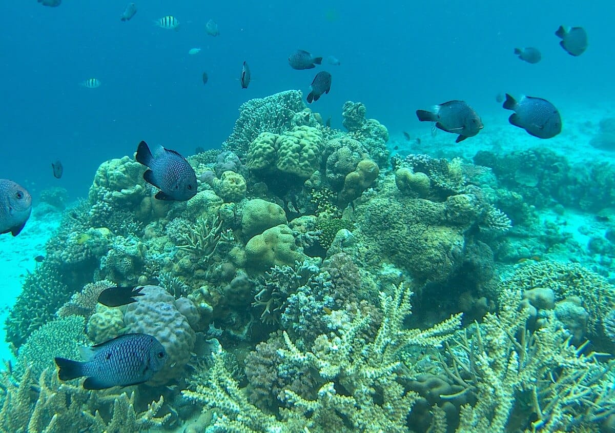
Les fonds alternent entre coraux durs et coraux mous, attirant autour d’eux de grands bacs de poissons. Si les tortues sont assez rares sur ce spot, vous serez comblé par la diversité de poissons, comprenant des poissons-anges, des poissons-papillons, des demoiselles, des bancs de fusiliers, ainsi que des centaines de sergents majors et de balistes noirs.
Près du poste de surveillance, il n’est pas rare de voir une murène javanaise caché dans les rochers. Le house reef abrite aussi une population importante de mérous, et des barracudas visitent de temps à autre le tombant.
Ce spot est le house reef du Mataking Reef Resort.
Ces spots conviennent aux personnes à l’aise dans l’eau et avec leur équipement de snorkeling. La mise à l’eau se fait depuis le rivage (plage, ponton, échelle, rochers) ou un bateau. La hauteur d’eau reste modérée, sans nécessairement que l’on ait pied. Ces spots peuvent connaître même par mer calme des courants modérés, mais pas à même de déstabiliser un bon nageur. La distance à parcourir en palmant jusqu’aux zones les plus intéressantes n’excède pas 200m.
Ce niveau s’entend lorsque le spot bénéficie de conditions optimales, par temps et mer calme. Il n'est pas applicable en cas de dégradation de ces conditions, par exemple en présence d’une mer agitée, de vent fort, d’un courant inhabituel, de grandes marées, de vagues et/ou de houle, ou encore de pluie. Vous trouverez plus de détails sur la définition de ces niveaux en consultant notre page sur la sécurité en snorkeling.
Vous devez être connecté pour commenter
Les spots de snorkeling sont situés dans des environnements naturels, et leur aspect peut varier significativement en raison de la météo, des saisons, des courants, des activités humaines ou d’évènements climatiques exceptionnels (tempêtes, cyclones, hausse de la température de l’eau…). Ces éléments peuvent entrainer une rapide altération des fonds marins (coraux blanchis ou brisés, invasions d’algues), une mauvaise visibilité sous l’eau, ou encore une diminution du nombre d’espèces présentes sur le spot. Nous faisons tout notre possible pour que les informations contenues sur cette page soient exactes et à jour, mais nous ne pouvons garantir que la visibilité ou l’aspect des fonds décrits sur cette page sera identique le jour de votre visite. Si vous avez récemment fait du snorkeling sur ce spot et que vous avez remarqué des changements, contactez-nous.
Le contenu de cette page est uniquement fourni à titre informatif. Il est destiné à apporter aux snorkeleurs des informations leur permettant de pratiquer leur activité de la meilleure façon possible, mais celles-ci ne se substituent en aucun cas à leur condition physique, à leur niveau de natation, à leur expérience du snorkeling ou à leur connaissance du terrain. Gardez à l’esprit que toutes les activités aquatiques, y-compris le snorkeling, sont potentiellement dangereuses, et que vous les pratiquez sous votre propre responsabilité. Réalisez toujours une évaluation individuelle de la météo, des conditions de mer et des dangers potentiels du spot avant d’entrer dans l’eau. En cas de doute, reportez votre session ou choisissez un autre spot. Prenez connaissance des lois et règlementations locales, y-compris celles relatives aux bouées de plongée, aux zones réglementées, aux espèces protégées et aux interactions avec la faune sauvage.