Niveau: Hôtel à proximité
Ce spot a été ajouté par
19 spots ajoutés - 866 photos partagées
Dernière mise à jour le 2 avril 2026
Avec son platier couvert d’herbiers marins et son fabuleux tombant corallien, le récif du Wakatobi Resort est un spot de snorkeling de classe mondiale. Ici, au cœur du Parc National Wakatobi, vous pourrez rencontrer juste sous la surface de l’eau des poissons-anges, des tortues, des Napoléons, des poissons-clowns, des serpents, et environ 200 espèces plus ou moins communes de poissons récifaux.
Le Wakatobi Resort est situé sur la petite île de Pulau Tolandona, qui jouxte l’île de Tomia, dans l’archipel de Wakatobi. L’accès au spot est réservé aux clients du resort. Les transferts sont organisés par le resort et comprennent un vol charter de 2h30 depuis Bali, un trajet de 10 minutes en voiture jusqu’à la jetée de l’île, puis une traversée de 15 minutes en bateau jusqu’au ponton du Wakatobi Resort.
Vous pouvez vous mettre à l’eau depuis la plage, ou depuis l’escalier qui se trouve au bout de la jetée, et qui permet d’accéder directement au tombant récifal. Attention aux bateaux de plongée qui circulent dans la zone à certaines heures de la journée. Le récif est surveillé toute la journée par une équipe présente au niveau du Jetty Bar.
Les plages du Wakatobi Resort sont bordées par un platier large d’environ 80 à 150m en fonction des endroits. Le platier se termine par un tombant récifal presque vertical, ouvert sur la pleine mer.
Sur le platier, la profondeur varie de 0,5 à 3m. Les fonds alternent entre sable, herbiers, et petites zones couvertes de corail (voir sur la carte ci-dessus). Chacun de ces milieux permet d’observer des espèces différentes.
Au bout du platier, le tombant forme un « mur » presque vertical, qui plonge vers les profondeurs. Le tombant est couvert d’une grande variété de coraux durs, de coraux mous, d’éponges, de crinoïdes, et de superbes gorgones.
C’est cette couverture corallienne exceptionnelle qui a fait la réputation du Wakatobi Resort. Vous ne vous lasserez pas d’explorer ces paysages sous-marins fascinants et colorés, parmi les plus beaux d’Indonésie.
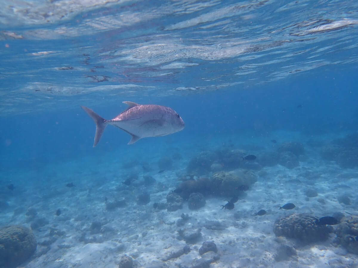
Dans ce paysage sous-marin spectaculaire, on rencontre une extraordinaire variété de poissons récifaux: une quinzaine d’espèces de poissons-papillons et cochers, des poissons-anges (poisson-ange amiral, poisson-ange empereur, poisson-ange duc), des chirurgiens (et notamment le magnifique chirurgien bleu), et de nombreux autres poissons tout aussi colorés. Au moins 5 espèces de poissons-clowns sont présentes autour de la jetée (voir liste complète en bas de page).
Les grottes et surplombs présents sur le haut du tombant hébergent de nombreux mérous. Plus bas, des vivaneaux et des gaterins stationnent près du mur récifal.
C’est aussi sur le tombant que vous aurez le plus de chances de voir un Napoléon, une tortue verte, un tricot rayé, ou des espèces plus pélagiques. Au total, plus de 200 espèces de poissons récifaux peuplent le récif du Wakatobi Resort.
En longeant le tombant, vous pourrez aussi explorer deux milieux un peu plus spécifiques: les abords du ponton (où de nombreux poissons se cachent sous et autour des piliers), et le « canyon » qui se trouve à environ 180m au sud du ponton, où se rassemblent des vivaneaux minuit et d’énormes carangues bleues.
Dans les débris au pied du ponton, il n’est pas rare de rencontrer des synganthes et des poissons-scorpions se confondant parfaitement avec les fonds.
Les balistes, poissons-limes et rougets apprécient quant à eux les herbiers, où il est aussi facile de voir l’une des raies pastenague à points bleus qui ont élu domicile sur le récif. Vous les verrez d’ailleurs souvent depuis la jetée, occupées à fouiller les fonds sableux.
Restez à distance des gros balistes titan, qui, probablement en train de surveiller leur nid, peuvent devenir agressifs avec les visiteurs qui s’en approcheraient un peu trop près.
Ce spot est le « house reef » du Wakatobi Resort. Tous les clients du resort bénéficient de la pension complète.
Ces spots sont accessibles aux débutants en palmes-masque-tuba et aux enfants. La mise à l’eau se fait progressivement depuis une plage, ou depuis une zone où vous aurez pied. La mer y est généralement calme, peu profonde, avec peu ou pas de courants. Ces spots sont souvent situés dans des zones de baignade balisées et/ou surveillées. Il n’est pas nécessaire de parcourir de grandes distances pour découvrir les fonds marins.
Ce niveau s’entend lorsque le spot bénéficie de conditions optimales, par temps et mer calme. Il n'est pas applicable en cas de dégradation de ces conditions, par exemple en présence d’une mer agitée, de vent fort, d’un courant inhabituel, de grandes marées, de vagues et/ou de houle, ou encore de pluie. Vous trouverez plus de détails sur la définition de ces niveaux en consultant notre page sur la sécurité en snorkeling.
Vous devez être connecté pour commenter
Les spots de snorkeling sont situés dans des environnements naturels, et leur aspect peut varier significativement en raison de la météo, des saisons, des courants, des activités humaines ou d’évènements climatiques exceptionnels (tempêtes, cyclones, hausse de la température de l’eau…). Ces éléments peuvent entrainer une rapide altération des fonds marins (coraux blanchis ou brisés, invasions d’algues), une mauvaise visibilité sous l’eau, ou encore une diminution du nombre d’espèces présentes sur le spot. Nous faisons tout notre possible pour que les informations contenues sur cette page soient exactes et à jour, mais nous ne pouvons garantir que la visibilité ou l’aspect des fonds décrits sur cette page sera identique le jour de votre visite. Si vous avez récemment fait du snorkeling sur ce spot et que vous avez remarqué des changements, contactez-nous.
Le contenu de cette page est uniquement fourni à titre informatif. Il est destiné à apporter aux snorkeleurs des informations leur permettant de pratiquer leur activité de la meilleure façon possible, mais celles-ci ne se substituent en aucun cas à leur condition physique, à leur niveau de natation, à leur expérience du snorkeling ou à leur connaissance du terrain. Gardez à l’esprit que toutes les activités aquatiques, y-compris le snorkeling, sont potentiellement dangereuses, et que vous les pratiquez sous votre propre responsabilité. Réalisez toujours une évaluation individuelle de la météo, des conditions de mer et des dangers potentiels du spot avant d’entrer dans l’eau. En cas de doute, reportez votre session ou choisissez un autre spot. Prenez connaissance des lois et règlementations locales, y-compris celles relatives aux bouées de plongée, aux zones réglementées, aux espèces protégées et aux interactions avec la faune sauvage.