Distribution circumtropicale (présent dans toutes les mers tropicales et subtropicales de la planète).
Ressemble notamment à Diodon liturosus et Diodon holocanthus.
à Sataya Resort (Egypte) © anne
à Shams Alam Beach Resort (Egypte) © bruno56
à Marsa El Nabaa (Egypte) © anne
à Ras Um Sid / El Fanar Beach (Egypte) © philippe-seve
à Tulip Resorts (Egypte) © paradis974
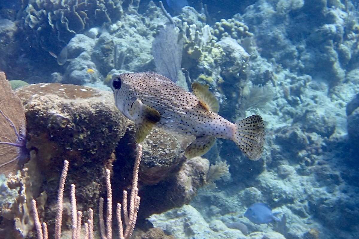
à Coraya Bay (Egypte) © cavouette
à Petani Beach (Malaisie) © anne
à Tobago Cays (Saint-Vincent-et-les-Grenadines) © fishaddict
à Tiwi Beach (Kenya)
à Playa Penca (Costa Rica) © brian
à Playa Ocotal (Costa Rica) © brian
à Masdoda (Egypte) © lesli
à Coraya Bay (Egypte) © lesli
à Îlot Amédée (Nouvelle-Calédonie) © fongi
à Teluk Pauh (Malaisie) © anne
à Caneel Bay (Îles Vierges Américaines) © nst56
à Embudu (Maldives) © manceau
à Galley Bay (Antigua-et-Barbuda) © nst56
à Apo Reef (Philippines) © manceau
à Palm Island (Saint-Vincent-et-les-Grenadines) © nst56
à West Bay (Roatán) © nst56
à Chatham Bay (Saint-Vincent-et-les-Grenadines) © cailly-bruno
à Playa Ocotal (Costa Rica)
à West Bay (Roatán)
à Guardalavaca (Cuba) © realivekill
à Chatham Bay (Saint-Vincent-et-les-Grenadines) © tinoumer
à Mahana Park (Tahiti et les Îles de la Société)
à Caleta Buena (Cuba) © anne
Vous voulez ajouter vos photos sur cette page? Partagez-les d'abord dans la galerie du spot sur lequel vous avez pris vos photos (retrouvez la liste de touts les spots actuellement inventoriés ici). Si elles ont été prises sur un autre site, vous pouvez ajouter un nouveau spot sur le site (plus d'infos sur cette page).
page d'accueil du guide d'identification