Niveau: Accès libre du bord Ce spot peut être exploré gratuitement depuis le bord de mer : vous pouvez y faire du palmes-masque-tuba librement, sans participer à une excursion ni payer de frais d'entrée.
Ce spot a été ajouté par
17 spots ajoutés - 696 photos partagées
Dernière mise à jour le 13 février 2022
Près de Himarë, entre les plages de Llamani et Porto Palermo, se cache une petite baie peu connue car non aménagée, la baie de Lambjano. Même au mois d’août, quand les plages principales d’Albanie sont bondées, celle-ci, invisible de la route, reste préservée. Bordée de rochers et baignée par une eau pure, la baie offre de belles sessions snorkeling, au cours desquelles on peut rencontrer des rascasses, des murènes, des poissons-perroquets, et de nombreuses autres espèces méditerranéennes.
La baie de Lambjano est située dans la région de Himarë, entre Llamani et Porto Palermo. Depuis le Palermiti Luxury Rooms, situé au bord de la route nationale, un chemin descend vers la plage.
On peut l’emprunter en voiture classique sur une première partie mais la fin ne peut se faire qu’en 4×4. A pied, comptez environ 25 minutes pour rejoindre la baie depuis le resort.
La baie de Lambjano se trouve non loin du tunnel (en zone militaire et fermé) qui abritait du temps de la dictature communiste les bateaux rapides albanais et, d’après la rumeur, trois vieux sous-marins russes qui s’y trouveraient peut-être encore…
On entre dans l’eau directement de la plage, constituée principalement de petits galets.
On peut faire du palmes-masque-tuba face à la plage, ainsi que dans les zones rocheuses situées de chaque côté de celle-ci. La plage étant petite (tout au plus 40m de long), vous pourrez explorer facilement toute la zone. La profondeur s’accentuant rapidement, il est recommandé de longer la côte sans trop s’en éloigner.
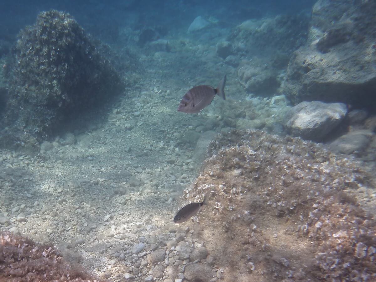
Les fonds marins de la baie de Lambjano sont minéraux mais très variés. On y explore notamment de gros rochers, des étendues de sable et des éboulis. Les herbiers sont rares, mais une grande diversité d’algues, comme la padine queue-de-paon et plusieurs algues rouges, couvre les rochers. Les éponges noires, les éponges rouges, les oursins et les vers spirobranches sont également communs sur les fonds.
Au fil de votre balade sous-marine, vous ne manquerez pas les girelles paon, virevoltant par dizaines autour des tombants. Les saupes, formant des bancs parfois importants, traversent les eaux bleues de la baie en passant de rocher en rocher.
Sur ce spot, essayez de trouver des poissons-perroquets, une espèce qui ne s’observe que dans le sud de la Méditerranée. Enfin, jetez un oeil aux éboulis rocheux, un milieu offrant de nombreuses cachettes et apprécié des murènes et des rascasses.
Il n’y a pas de courants particuliers, et la visibilité est très bonne.
La plage de Lambjano est isolée et complètement naturelle. Pensez à amener de l’eau, surtout si vous devez remonter vers la route principale à pied.
Ces spots sont accessibles aux débutants en palmes-masque-tuba et aux enfants. La mise à l’eau se fait progressivement depuis une plage, ou depuis une zone où vous aurez pied. La mer y est généralement calme, peu profonde, avec peu ou pas de courants. Ces spots sont souvent situés dans des zones de baignade balisées et/ou surveillées. Il n’est pas nécessaire de parcourir de grandes distances pour découvrir les fonds marins.
Ce niveau s’entend lorsque le spot bénéficie de conditions optimales, par temps et mer calme. Il n'est pas applicable en cas de dégradation de ces conditions, par exemple en présence d’une mer agitée, de vent fort, d’un courant inhabituel, de grandes marées, de vagues et/ou de houle, ou encore de pluie. Vous trouverez plus de détails sur la définition de ces niveaux en consultant notre page sur la sécurité en snorkeling.
Vous devez être connecté pour commenter
Les spots de snorkeling sont situés dans des environnements naturels, et leur aspect peut varier significativement en raison de la météo, des saisons, des courants, des activités humaines ou d’évènements climatiques exceptionnels (tempêtes, cyclones, hausse de la température de l’eau…). Ces éléments peuvent entrainer une rapide altération des fonds marins (coraux blanchis ou brisés, invasions d’algues), une mauvaise visibilité sous l’eau, ou encore une diminution du nombre d’espèces présentes sur le spot. Nous faisons tout notre possible pour que les informations contenues sur cette page soient exactes et à jour, mais nous ne pouvons garantir que la visibilité ou l’aspect des fonds décrits sur cette page sera identique le jour de votre visite. Si vous avez récemment fait du snorkeling sur ce spot et que vous avez remarqué des changements, contactez-nous.
Le contenu de cette page est uniquement fourni à titre informatif. Il est destiné à apporter aux snorkeleurs des informations leur permettant de pratiquer leur activité de la meilleure façon possible, mais celles-ci ne se substituent en aucun cas à leur condition physique, à leur niveau de natation, à leur expérience du snorkeling ou à leur connaissance du terrain. Gardez à l’esprit que toutes les activités aquatiques, y-compris le snorkeling, sont potentiellement dangereuses, et que vous les pratiquez sous votre propre responsabilité. Réalisez toujours une évaluation individuelle de la météo, des conditions de mer et des dangers potentiels du spot avant d’entrer dans l’eau. En cas de doute, reportez votre session ou choisissez un autre spot. Prenez connaissance des lois et règlementations locales, y-compris celles relatives aux bouées de plongée, aux zones réglementées, aux espèces protégées et aux interactions avec la faune sauvage.