Niveau: Accès libre du bord Ce spot peut être exploré gratuitement depuis le bord de mer : vous pouvez y faire du palmes-masque-tuba librement, sans participer à une excursion ni payer de frais d'entrée.
Ce spot a été ajouté par
1 spot ajouté - 8 photos partagées
Dernière mise à jour le 25 septembre 2023
Située au cœur de la Réserve naturelle du Zingaro, Cala Berretta est parfaite pour le snorkeling en pleine nature. Cette petite crique nichée dans le littoral rocheux offre de belles conditions, et un fond rocheux varié et plein de vie.
Cala Berretta est une petite crique comprise dans la Réserve naturelle du Zingaro (Riserva Naturale Orientata dello Zingaro), dans le nord-ouest de la Sicile. La réserve est ouverte tous les jours de 7h00 à 19h30, et l’entrée est gratuite.
On peut accéder à Cala Berretta soit par l’entrée nord de la réserve (côté San Vito Lo Capo), soit par l’entrée sud (où se trouve le centre des visiteurs, côté Castellammare del Golfo). La crique est à peu près à égale distance des deux entrées (environ 4 km de marche sur des sentiers aménagés).
L’entrée dans l’eau se fait depuis la petite plage (mélange de sable et de gravier) qui se trouve au fond de la crique.
Cala Berretta est une petite crique très encaissée d’une vingtaine de mètres de largeur.
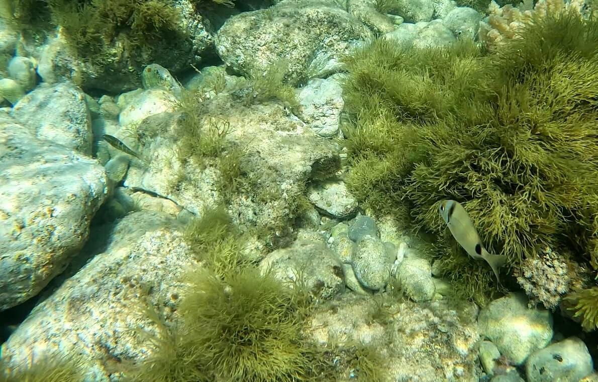
De part et d’autre de la plage, des barres rocheuses se prolongent sous l’eau en formant de petits tombants. Le fond de la crique est également constitué de rochers. Le paysage sous-marin de Cala Berratta est donc très minéral, tout juste recouvert de touffes d’algues, et offre un relief varié agréable à explorer.
Différentes espèces de poissons vivent à Cala Berretta: des sars à tête noire, des sars communs, des oblades (probablement l’espèce la plus commune sur ce spot), ou encore des girelles paon, très colorées.
La crique est bien abritée du vent et des vagues, offrant la plupart du temps des conditions optimales pour le snorkeling.
Cala Berretta étant en plein cœur d’une réserve naturelle, il n’y a pas de restaurants dans la zone.
Ces spots sont accessibles aux débutants en palmes-masque-tuba et aux enfants. La mise à l’eau se fait progressivement depuis une plage, ou depuis une zone où vous aurez pied. La mer y est généralement calme, peu profonde, avec peu ou pas de courants. Ces spots sont souvent situés dans des zones de baignade balisées et/ou surveillées. Il n’est pas nécessaire de parcourir de grandes distances pour découvrir les fonds marins.
Ce niveau s’entend lorsque le spot bénéficie de conditions optimales, par temps et mer calme. Il n'est pas applicable en cas de dégradation de ces conditions, par exemple en présence d’une mer agitée, de vent fort, d’un courant inhabituel, de grandes marées, de vagues et/ou de houle, ou encore de pluie. Vous trouverez plus de détails sur la définition de ces niveaux en consultant notre page sur la sécurité en snorkeling.
Vous devez être connecté pour commenter
Les spots de snorkeling sont situés dans des environnements naturels, et leur aspect peut varier significativement en raison de la météo, des saisons, des courants, des activités humaines ou d’évènements climatiques exceptionnels (tempêtes, cyclones, hausse de la température de l’eau…). Ces éléments peuvent entrainer une rapide altération des fonds marins (coraux blanchis ou brisés, invasions d’algues), une mauvaise visibilité sous l’eau, ou encore une diminution du nombre d’espèces présentes sur le spot. Nous faisons tout notre possible pour que les informations contenues sur cette page soient exactes et à jour, mais nous ne pouvons garantir que la visibilité ou l’aspect des fonds décrits sur cette page sera identique le jour de votre visite. Si vous avez récemment fait du snorkeling sur ce spot et que vous avez remarqué des changements, contactez-nous.
Le contenu de cette page est uniquement fourni à titre informatif. Il est destiné à apporter aux snorkeleurs des informations leur permettant de pratiquer leur activité de la meilleure façon possible, mais celles-ci ne se substituent en aucun cas à leur condition physique, à leur niveau de natation, à leur expérience du snorkeling ou à leur connaissance du terrain. Gardez à l’esprit que toutes les activités aquatiques, y-compris le snorkeling, sont potentiellement dangereuses, et que vous les pratiquez sous votre propre responsabilité. Réalisez toujours une évaluation individuelle de la météo, des conditions de mer et des dangers potentiels du spot avant d’entrer dans l’eau. En cas de doute, reportez votre session ou choisissez un autre spot. Prenez connaissance des lois et règlementations locales, y-compris celles relatives aux bouées de plongée, aux zones réglementées, aux espèces protégées et aux interactions avec la faune sauvage.