Ce spot a été ajouté par

snorkeling team
L'équipe Snorkeling Report
Autres contributeurs Vous pouvez vous-aussi contribuer à illustrer et maintenir cette page à jour en ajoutant des photos dans la galerie en bas de page, ou en nous envoyant vos commentaires via le formulaire de contact
Hébergements à proximité

Dernière mise à jour le

L’ancien port romain de Césarée est un spot de snorkeling unique en Israël. On peut y palmer au dessus de vestiges archéologiques datant de plus de 2000 ans, comprenant des colonnes, des quais et des ancres, dans un véritable voyage dans le temps. La vie sous marine présente sur le site, comprenant une diversité de poissons et d’invertébrés (dont de nombreuses espèces exotiques ayant migré depuis la Mer Rouge voisine), ajoute à l’intérêt du lieu.

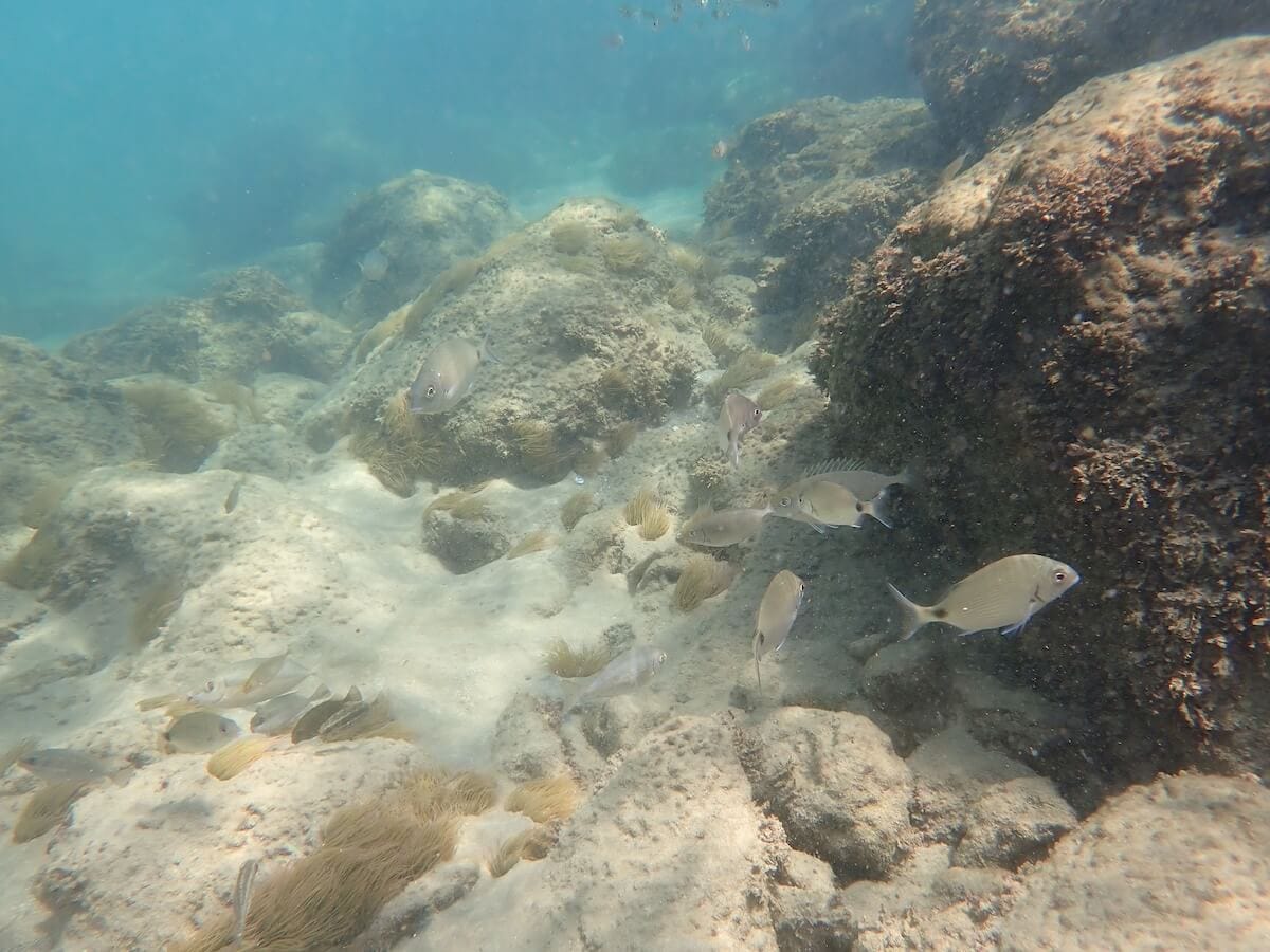
Caesarea Harbor - Snorkeling area
L’ancien port de Césarée est l’une des rares zones abritées de la côte méditerranéenne d’Israël. Il offre de bonnes conditions pour explorer les fonds marins.

Comment se rendre sur le spot de snorkeling de Césarée?

Césarée est un ancien port romain situé sur la côte méditerranéenne d’Israël. En plus des vestiges archéologiques, on trouve aujourd’hui sur le port plusieurs restaurants, ainsi qu’un club de plongée.

Ce spot est situé dans le Port de Césarée. Vous pouvez soit payer l’entrée pour une visite complète comprenant le port et les sites archéologiques (39 Shekels par personne en 2024), soit payer uniquement l’accès au port (14 Shekels, utilisez l’entrée nord). Bien que se trouvant dans un Parc National, Césarée n’est pas une réserve marine et l’on y voit souvent des pêcheurs.

Carte snorkeling dans le Parc National de Césarée
Carte snorkeling dans le Parc National de Césarée.

Où entrer dans l’eau pour faire du snorkeling à Césarée?

Deux points d’entrée dans l’eau sont possibles:

  1. Depuis les marches qui se trouvent au niveau du club de plongée, pratiquement au bout du quai (entrée dans l’eau 1 sur la carte). Le club de plongée met à disposition des plans du site plastifiés, que vous pouvez prendre avec vous dans l’eau.
  2. Depuis la petite plage au nord-est de la baie (entrée dans l’eau 2 sur la carte). La plage est protégée par des barres de rochers mais un passage permet de rejoindre la pleine mer.

L’exploration des fonds marins de Césarée en palmes-masque-tuba

On peut faire du palmes-masque-tuba dans toute la baie formée par des deux pointes rocheuses et la digue du port. Evitez tout de même l’entrée de la baie, où il peut y avoir des vagues et de rares passages de bateaux. Les fonds sont principalement rocheux, mais une grande zone de sable s’étend au centre de la baie.

Archaeological remains at Caesarea National Park
De nombreuses anciennes colonnes romaines sont dispersées sur les fonds.

Des vestiges archéologiques datant de l’époque romaine sont disséminés un peu partout dans l’ancien port. Les plus faciles à voir sont les restes de colonnes, présentes à plusieurs endroits, y compris à faible profondeur.

À environ 20 mètres à l’ouest de la plage de trouvent les fondations d’une ancienne tour ronde, alors qu’au niveau du point de mise à l’eau 1 (voir carte), on peut encore observer les fondations du quai historique.

School of yellowtail barracuda in Caesarea
Un banc de barracudas à bandes jaunes (Sphyraena pinguis) le long de la jetée. Cette espèce, comme de nombreuses autres que vous verrez à Césarée, est originaire de Mer Rouge et envahit peu à peu les fonds de Méditerranée.

En plus des ruines romaines, les fonds marins de Césarée abritent une vie sous marine intéressante.

La partie la plus poissonneuse se trouve le long de l’ancien quai, où des dizaines de sars communs, de poissons lapins et de rougets de Mer Rouge (les deux derniers étant des espèces exotiques invasives) nagent au dessus des rochers.

Cuttelfish in Caesarea
Une superbe seiche pharaon rencontrée près de la plage.

Plus occasionnellement, on voit à Césarée des girelles paon, des petites murènes, des bourses garnales (exotique) et même des seiches (dont la seiche pharaon, encore une espèce originaire de Mer Rouge) et des petits poulpes.

Des grands bancs d’anchois ou de barracudas à bandes jaunes sont souvent présents le long de la digue du port.

Restaurants et hébergements à proximité

On trouve plusieurs restaurants autour du port de Césarée, ainsi qu’au niveau de la petite plage.

 

  • Niveau requis Débutant
  • Zone protégéeParc National de Césarée
  • Profondeur max.2 mètres le long du rivage, 6 mètres au centre de la baie
  • Entrée dans l'eauDepuis des marches en pierre (entrée 1) ou depuis une plage de sable (entrée 2)
  • Dangers potentielsVagues près de l'entrée de la baie, petits bateaux/kayaks/paddles, pêcheurs
  • Plage surveilléeNo
  • FréquentationMedium
  • Coût d'accès14 Shekels/pers. (entrée pour le port uniquement) ou 39 Shekels/pers. (entrée pour l'ensemble du site archéologique)
  • Restaurants à proximitéOui, sur le port et près de la plage
  • Toilettes publiquesOui

CARTE Spot

Ces spots sont accessibles aux débutants en palmes-masque-tuba et aux enfants. La mise à l’eau se fait progressivement depuis une plage, ou depuis une zone où vous aurez pied. La mer y est généralement calme, peu profonde, avec peu ou pas de courants. Ces spots sont souvent situés dans des zones de baignade balisées et/ou surveillées. Il n’est pas nécessaire de parcourir de grandes distances pour découvrir les fonds marins.

Ce niveau s’entend lorsque le spot bénéficie de conditions optimales, par temps et mer calme. Il n'est pas applicable en cas de dégradation de ces conditions, par exemple en présence d’une mer agitée, de vent fort, d’un courant inhabituel, de grandes marées, de vagues et/ou de houle, ou encore de pluie. Vous trouverez plus de détails sur la définition de ces niveaux en consultant notre page sur la sécurité en snorkeling.