Niveau: Accès libre du bord Ce spot peut être exploré gratuitement depuis le bord de mer : vous pouvez y faire du palmes-masque-tuba librement, sans participer à une excursion ni payer de frais d'entrée.
Ce spot a été ajouté par
18 spots ajoutés - 512 photos partagées
Dernière mise à jour le 14 janvier 2024
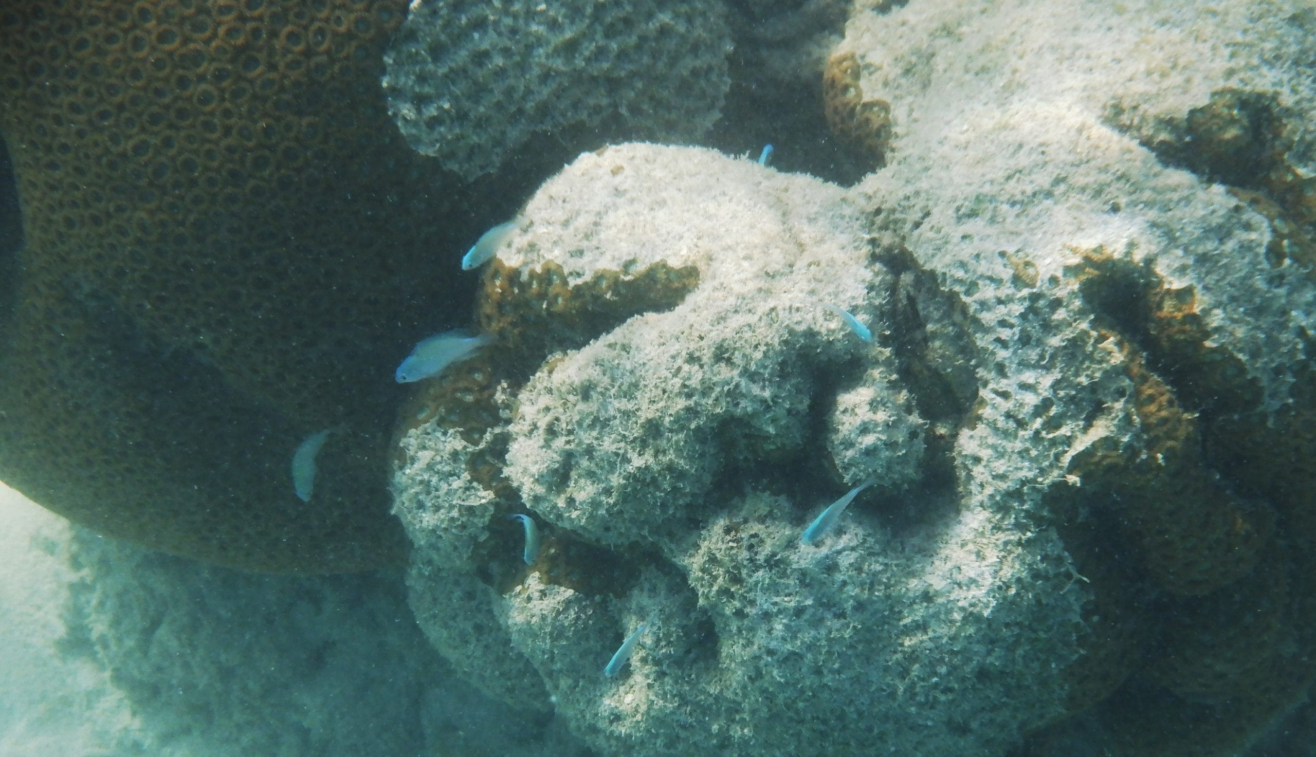
Dhiffushi est une petite île habitée située sur l’Atoll de Malé Nord. Si vous y séjournez, n’hésitez pas à partir à la découverte des petits récifs coralliens qui se trouve face à la plage. L’accès y est libre et gratuit, et c’est un bon spot pour retrouver ses sensations avant de partir explorer des récifs plus exigeants. Si les coraux y sont malheureusement très abimés, les fonds de Dhiffushi abritent des centaines de poissons tropicaux, à quelques mètres seulement du rivage.
Dhiffushi est une petite île habitée située à la pointe Est de l’atoll de Malé Nord, à une trentaine de kilomètres au nord de Malé. Attention à ne pas la confondre avec l’île du même nom qui se trouve au sud de l’Atoll Ari, près de Maamigili.
Pour rejoindre l’île de Dhiffushi depuis Malé et l’aéroport international, vous aurez le choix entre le ferry (3$/pers., 3h) et les vedettes rapides (35$/pers., 50 min.). L’île-hôtel de Meeru, où est installé le Meeru Island Resort & Spa, est située à quelques centaines de mètres au nord de Dhiffushi.
Pour explorer la zone 1 sur la carte ci-dessous, l’accès le plus pratique est au niveau du Dhiffushi Inn Bikini Beach Club. Marchez sur environ 150m dans les zones sableuses pour accéder au « lagon », et mettez-vous à l’eau depuis son bord.
Pour explorer la zone 2, pour être au plus près du récif, nous vous recommandons d’entrer dans l’eau depuis la plage, à proximité du Crown Beach ou du Café 420.
Deux zones principales sont recommandées pour le snorkeling à Dhiffushi:
1/ Les patates de corail qui sont situées dans une sorte de petit lagon au sud de la plage (zone 1 sur la carte).
Une fois à l’eau, rejoignez les petites zones coralliennes. Celles-ci sont assez préservées, et attirent de nombreux poissons récifaux. La profondeur varie de 1 à 4m selon les endroits.
2/ Le petit récif qui s’étend à proximité de la pointe nord de la plage (zone 2 sur la carte).
D’autres récifs proches peuvent également être explorés, mais l’eau à tendance à être moins claire au fur et à mesure que l’on palme vers le sud. Ne pénétrez pas dans le chenal qui dessert le port, dans lequel circulent de nombreux bateaux à moteur.
Dans la zone 2, en quittant la plage, on traverse tout d’abord des zones de sable et des herbiers, avant de rejoindre un platier peu profond (↕1-2m). Les coraux y sont très dégradés, avec tout juste quelques massifs de corail digité, de Porites et de Pocillopora. A une centaine de mètres de la plage, le platier ouvre sur un tombant récifal mieux préservé, où l’on trouve de beaux massifs coralliens et quelques cavités.
Le récif de Dhiffushi permet d’observer une grande diversité de poissons, dont les plus communs sont les balistes, les poissons-papillons et les demoiselles de différentes espèces. Sur le platier, essayez de repérer les petits syngnathes à pointillés qui sont faciles à observer sur ce spot.
Dans les zones plus profondes, on croise quelques bancs de vivaneaux pagaie et de vivaneaux à raies bleues. Les plus chanceux pourront y surprendre un poisson-ange, de petits mérous, ou encore des murènes, qui apprécient les anfractuosités du récif.
Ce spot est en général bien abrité des vagues et des courants. Un léger courant dominant nord-sud (parallèle à la côte) peut se former le long de l’île.
Dhiffushi est une île habitée, sur laquelle on trouve une quinzaine d’options d’hébergements. Le Rashu Hiyaa Hotel est situé à moins de 200m à pied du spot. Plusieurs cafés et restaurants sont également implantés autour du port et de la plage.
Ces spots sont accessibles aux débutants en palmes-masque-tuba et aux enfants. La mise à l’eau se fait progressivement depuis une plage, ou depuis une zone où vous aurez pied. La mer y est généralement calme, peu profonde, avec peu ou pas de courants. Ces spots sont souvent situés dans des zones de baignade balisées et/ou surveillées. Il n’est pas nécessaire de parcourir de grandes distances pour découvrir les fonds marins.
Ce niveau s’entend lorsque le spot bénéficie de conditions optimales, par temps et mer calme. Il n'est pas applicable en cas de dégradation de ces conditions, par exemple en présence d’une mer agitée, de vent fort, d’un courant inhabituel, de grandes marées, de vagues et/ou de houle, ou encore de pluie. Vous trouverez plus de détails sur la définition de ces niveaux en consultant notre page sur la sécurité en snorkeling.
Vous devez être connecté pour commenter
Les spots de snorkeling sont situés dans des environnements naturels, et leur aspect peut varier significativement en raison de la météo, des saisons, des courants, des activités humaines ou d’évènements climatiques exceptionnels (tempêtes, cyclones, hausse de la température de l’eau…). Ces éléments peuvent entrainer une rapide altération des fonds marins (coraux blanchis ou brisés, invasions d’algues), une mauvaise visibilité sous l’eau, ou encore une diminution du nombre d’espèces présentes sur le spot. Nous faisons tout notre possible pour que les informations contenues sur cette page soient exactes et à jour, mais nous ne pouvons garantir que la visibilité ou l’aspect des fonds décrits sur cette page sera identique le jour de votre visite. Si vous avez récemment fait du snorkeling sur ce spot et que vous avez remarqué des changements, contactez-nous.
Le contenu de cette page est uniquement fourni à titre informatif. Il est destiné à apporter aux snorkeleurs des informations leur permettant de pratiquer leur activité de la meilleure façon possible, mais celles-ci ne se substituent en aucun cas à leur condition physique, à leur niveau de natation, à leur expérience du snorkeling ou à leur connaissance du terrain. Gardez à l’esprit que toutes les activités aquatiques, y-compris le snorkeling, sont potentiellement dangereuses, et que vous les pratiquez sous votre propre responsabilité. Réalisez toujours une évaluation individuelle de la météo, des conditions de mer et des dangers potentiels du spot avant d’entrer dans l’eau. En cas de doute, reportez votre session ou choisissez un autre spot. Prenez connaissance des lois et règlementations locales, y-compris celles relatives aux bouées de plongée, aux zones réglementées, aux espèces protégées et aux interactions avec la faune sauvage.
DERNIERES PLACES DISPONIBLES