Niveau: Accès libre du bord Ce spot peut être exploré gratuitement depuis le bord de mer : vous pouvez y faire du palmes-masque-tuba librement, sans participer à une excursion ni payer de frais d'entrée.
Ce spot a été ajouté par
15 spots ajoutés - 262 photos partagées
Dernière mise à jour le 25 septembre 2024
Marsa Shouna, au sud de Port Ghalib, est l’une des seules baies de la région qui soit restée entièrement naturelle. Entre ses zones récifales à la vie sous-marine colorée et ses herbiers marins fréquentés par des tortues, des raies guitare et des dugongs, ce site vaut assurément le détour.
Marsa Shouna, ou Marsa Shoona, est une baie de la région de Marsa Alam. Elle est située à 10 kilomètres au sud de Port Ghalib, et à 15 kilomètres au sud de l’aéroport de Marsa Alam.
Marsa Shouna étant entièrement naturelle -ce qui est rare dans la région-, on peut y accéder librement depuis le bord. Vous pouvez rejoindre facilement la baie en taxi depuis les environs, notamment depuis Marsa Mubarak, une baie célèbre pour ses tortues et ses dugongs.
Une autre option pour se rendre à Marsa Shouna est de réserver une excursion en bateau. La plupart des hôtels et des clubs de plongée de la région proposent cette sortie, à partir de 40 euros par personne (2024).
Enfin, Marsa Shouna étant l’une des rares baies de Marsa Alam où les bateaux de croisière sont autorisés à s’amarrer, ce site est souvent inclus dans les itinéraires des liveaboard visitant le sud de la Mer Rouge.
Si vous arrivez par les terres, vous pouvez vous mettre à l’eau depuis le bord. Il n’y a pas vraiment de plage, et il faut trouver un passage suffisamment profond dans le platier pour pouvoir se mettre à l’eau facilement.
Si vous visitez ce spot au cours d’une excursion en bateau ou d’une croisière, vous vous mettrez à l’eau depuis votre bateau (ou l’un de ses zodiacs).
On distingue 3 zones principales de snorkeling à Marsa Shouna: le récif nord, le récif sud, et les herbiers au centre de la baie.
Le récif nord (itinéraire 1 sur la carte) est le plus fréquenté, car c’est le long de celui ci que les bateaux viennent s’amarrer. Bien abrité du vent de nord-est, il offre généralement de meilleures conditions que le récif sud.
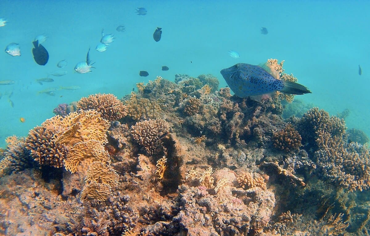
En raison du grand nombre de visiteurs, le récif nord est très dégradé. Ce sont les coraux de feu, à la croissance rapide, qui prédominent, formant par endroits des massifs impressionnants. La profondeur augmente à mesure qu’on s’éloigne du bord mais reste raisonnable (3 à 4 mètres) sur la partie centrale.
En suivant le récif, vous verrez une grande diversité de poissons et notamment des anthias, des cochers, et de grosses murènes. En fin de journée, poissons lions et poissons scorpions sortent de leur cachette et on les voit en grand nombre, y compris à faible profondeur.
Moins fréquenté que le récif nord, le récif sud (itinéraire 2 sur la carte) présente une couverture corallienne mieux préservée, sauf dans les zones les plus proches de la plage.
L’idéal est d’explorer le récif en snorkeling dérivant, en se faisant déposer à l’entrée de la baie en zodiac (option généralement choisie par les croisières).
Ici aussi, des dizaines voire des centaines d’espèces sont visibles sur le récif. On remarque aisément le poisson-ange empereur, les chirurgiens zébrés occupés à brouter sur le platier, et les bancs de poissons-flûtes. La zone est aussi visitée par de grosses tortues vertes, que l’on voit toutefois plus facilement dans les herbiers (voir ci après).
Le centre de la baie (zone 3 sur la carte) est composé de fonds sableux couverts de petites herbes marines (1-7 mètres). C’est ici que vous verrez le plus de tortues, souvent posées sur le fond ou en train de brouter les herbiers. Les herbiers sont aussi l’habitat privilégié par les raies guitares (assez fréquentes) et par les hippocampes (très difficiles à voir en snorkeling).
De rares visites de dugongs sont aussi rapportées, mais si vous souhaitez mettre toutes les chances de votre côté, allez plutôt à Marsa Mubarak, à Marsa El Nabaa ou à Abu Dabbab.
Marsa Shouna est une baie naturelle, sans aucune installation. La plupart des tours incluent le déjeuner, à vérifier lorsque vous réservez un tour.
Ces spots sont accessibles aux débutants en palmes-masque-tuba et aux enfants. La mise à l’eau se fait progressivement depuis une plage, ou depuis une zone où vous aurez pied. La mer y est généralement calme, peu profonde, avec peu ou pas de courants. Ces spots sont souvent situés dans des zones de baignade balisées et/ou surveillées. Il n’est pas nécessaire de parcourir de grandes distances pour découvrir les fonds marins.
Ce niveau s’entend lorsque le spot bénéficie de conditions optimales, par temps et mer calme. Il n'est pas applicable en cas de dégradation de ces conditions, par exemple en présence d’une mer agitée, de vent fort, d’un courant inhabituel, de grandes marées, de vagues et/ou de houle, ou encore de pluie. Vous trouverez plus de détails sur la définition de ces niveaux en consultant notre page sur la sécurité en snorkeling.
Vous devez être connecté pour commenter
Les spots de snorkeling sont situés dans des environnements naturels, et leur aspect peut varier significativement en raison de la météo, des saisons, des courants, des activités humaines ou d’évènements climatiques exceptionnels (tempêtes, cyclones, hausse de la température de l’eau…). Ces éléments peuvent entrainer une rapide altération des fonds marins (coraux blanchis ou brisés, invasions d’algues), une mauvaise visibilité sous l’eau, ou encore une diminution du nombre d’espèces présentes sur le spot. Nous faisons tout notre possible pour que les informations contenues sur cette page soient exactes et à jour, mais nous ne pouvons garantir que la visibilité ou l’aspect des fonds décrits sur cette page sera identique le jour de votre visite. Si vous avez récemment fait du snorkeling sur ce spot et que vous avez remarqué des changements, contactez-nous.
Le contenu de cette page est uniquement fourni à titre informatif. Il est destiné à apporter aux snorkeleurs des informations leur permettant de pratiquer leur activité de la meilleure façon possible, mais celles-ci ne se substituent en aucun cas à leur condition physique, à leur niveau de natation, à leur expérience du snorkeling ou à leur connaissance du terrain. Gardez à l’esprit que toutes les activités aquatiques, y-compris le snorkeling, sont potentiellement dangereuses, et que vous les pratiquez sous votre propre responsabilité. Réalisez toujours une évaluation individuelle de la météo, des conditions de mer et des dangers potentiels du spot avant d’entrer dans l’eau. En cas de doute, reportez votre session ou choisissez un autre spot. Prenez connaissance des lois et règlementations locales, y-compris celles relatives aux bouées de plongée, aux zones réglementées, aux espèces protégées et aux interactions avec la faune sauvage.