Niveau: Accès libre du bord Ce spot peut être exploré gratuitement depuis le bord de mer : vous pouvez y faire du palmes-masque-tuba librement, sans participer à une excursion ni payer de frais d'entrée. Hôtel à proximité
Ce spot a été ajouté par
22 spots ajoutés - 483 photos partagées
Dernière mise à jour le 4 septembre 2023
Le Blue Lagoon Beach Resort est situé sur la côte ouest de l’île de Nacula, dans l’archipel de Yasawa. Le récif, riche en coraux et en poissons colorés, offre de très belles sessions snorkeling. Du haut de la colline située derrière le resort, une vue imprenable sur le récifs vaut également le détour.
La meilleure façon de se rendre sur ce spot est de réserver un séjour au Blue Lagoon Beach Resort. Le petit bateau de l’hôtel viendra vous chercher sur le catamaran Yasawa Flyer, qui dessert l’île depuis la marina de Nadi plusieurs fois par jour. Le catamaran s’arrêtera d’abord aux îles Mamanuca, puis aux Yasawas jusqu’à ce que vous atteigniez Nacula.
Une deuxième option pour rejoindre l’île est de vous y rendre avec votre propre bateau.
Si vous souhaitez faire du spot et que vous séjournez dans un autre hôtel, vous pouvez cependant appeler la réception du Blue Lagoon BeachResort pour vous assurer que vous pourrez accéder a la plage.
Mettez-vous à l’eau depuis la zone de sable située entre les deux récifs (voir carte). Attention aux bateaux du centre de plongée du resort, qui utilisent cette même zone pour aller et venir entre l’île et les spots de plongée.
Deux zones distinctes du récif, situées de part et d’autres du point de mise à l’eau, peuvent être explorées:
De ce côté, il n’y a pas de véritable tombant récifal. Les fonds descendent progressivement sur des zones sableuses. Sur le platier, la profondeur est peu importante, pouvant même devenir insuffisante pour palmer à marée basse.
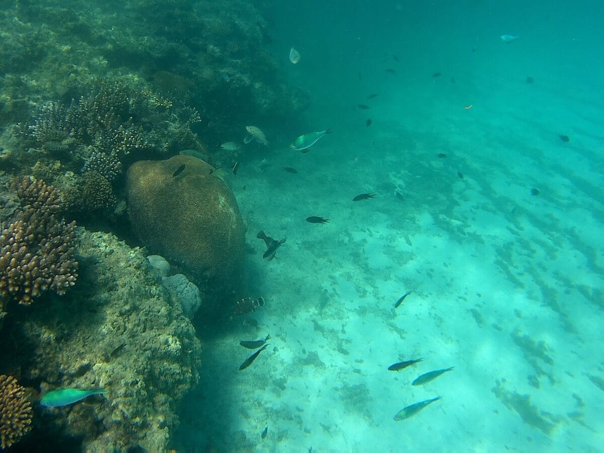
On rencontre sur ce spot des zones rocheuses pauvres en vie ainsi que d’autres zones très riches en coraux, notamment de superbes massifs de coraux branchus.
Si les paysages sous-marins ne sont pas spectaculaires, les coraux et les innombrables espèces de poissons sont les points forts de cette zone de snorkeling.
Parmi les espèces identifiées dans cette zone figurent les raies pastenagues, les poissons-papillons, les demoiselles, les poissons-chirurgiens, les poissons-perroquets, les mérous et les vivaneaux. De nombreuses étoiles de mer bleues vivent aussi sur le platier.
De ce côté, le platier est difficilement accessible, mais le tombant est absolument superbe. Le récif chute rapidement vers 3-4m de fond, dans un dédale de formations coralliennes spectaculaires. A plusieurs endroits, le récif forme de petites baies sous-marines très poissonneuses.
Les coraux sont plus variés que sur le récif nord, avec la présence de coraux branchus, de coraux massifs poreux, de coraux cerveau, de coraux laitue et de coraux digités.
C’est aussi dans cette zone que vous aurez le plus de chances de croiser des tortues marines ou des requins de récif, en particulier derrière la pointe du récif.
Ce spot est le « house reef » du Blue Lagoon Beach Resort, qui possède un bar et un restaurant.
Ces spots sont accessibles aux débutants en palmes-masque-tuba et aux enfants. La mise à l’eau se fait progressivement depuis une plage, ou depuis une zone où vous aurez pied. La mer y est généralement calme, peu profonde, avec peu ou pas de courants. Ces spots sont souvent situés dans des zones de baignade balisées et/ou surveillées. Il n’est pas nécessaire de parcourir de grandes distances pour découvrir les fonds marins.
Ce niveau s’entend lorsque le spot bénéficie de conditions optimales, par temps et mer calme. Il n'est pas applicable en cas de dégradation de ces conditions, par exemple en présence d’une mer agitée, de vent fort, d’un courant inhabituel, de grandes marées, de vagues et/ou de houle, ou encore de pluie. Vous trouverez plus de détails sur la définition de ces niveaux en consultant notre page sur la sécurité en snorkeling.
Vous devez être connecté pour commenter
Les spots de snorkeling sont situés dans des environnements naturels, et leur aspect peut varier significativement en raison de la météo, des saisons, des courants, des activités humaines ou d’évènements climatiques exceptionnels (tempêtes, cyclones, hausse de la température de l’eau…). Ces éléments peuvent entrainer une rapide altération des fonds marins (coraux blanchis ou brisés, invasions d’algues), une mauvaise visibilité sous l’eau, ou encore une diminution du nombre d’espèces présentes sur le spot. Nous faisons tout notre possible pour que les informations contenues sur cette page soient exactes et à jour, mais nous ne pouvons garantir que la visibilité ou l’aspect des fonds décrits sur cette page sera identique le jour de votre visite. Si vous avez récemment fait du snorkeling sur ce spot et que vous avez remarqué des changements, contactez-nous.
Le contenu de cette page est uniquement fourni à titre informatif. Il est destiné à apporter aux snorkeleurs des informations leur permettant de pratiquer leur activité de la meilleure façon possible, mais celles-ci ne se substituent en aucun cas à leur condition physique, à leur niveau de natation, à leur expérience du snorkeling ou à leur connaissance du terrain. Gardez à l’esprit que toutes les activités aquatiques, y-compris le snorkeling, sont potentiellement dangereuses, et que vous les pratiquez sous votre propre responsabilité. Réalisez toujours une évaluation individuelle de la météo, des conditions de mer et des dangers potentiels du spot avant d’entrer dans l’eau. En cas de doute, reportez votre session ou choisissez un autre spot. Prenez connaissance des lois et règlementations locales, y-compris celles relatives aux bouées de plongée, aux zones réglementées, aux espèces protégées et aux interactions avec la faune sauvage.
DERNIERES PLACES DISPONIBLES