Niveau:
Ce spot a été ajouté par
17 spots ajoutés - 696 photos partagées
Dernière mise à jour le 23 mai 2023
Situé sur la côte égyptienne de Mer Rouge, le Utopia Beach Club abrite un superbe « house reef ». Face à la plage de l’hôtel s’étend un récif corallien préservé, entrecoupé d’une passe, que l’on peut rejoindre depuis le bord. Sur ses tombants et platiers, on peut rencontrer des poissons-anges, des poissons-lions, des raies pastenague, des murènes, des poissons-crocodiles… parmi des centaines d’autres espèces.
L’Hôtel Utopia Beach Club est situé près d’El Quseir, ville côtière de l’Est de l’Egypte. Il est à moins d’une heure de route de l’aéroport de Marsa Alam et à environ 3h de bus/2h de voiture de l’aéroport d’Hurghada.
L’accès à ce spot est réservé aux clients du Utopia Beach Club et du Pensee Royal Garden, l’hôtel voisin, qui partagent la même plage.
Le platier (zone 1 sur la carte) est accessible directement depuis la plage de l’hôtel. Cette zone est à explorer à marée haute, lorsque la hauteur d’eau est suffisante pour évoluer sur le récif.
Pour explorer les tombants (zones 2 et 3 sur la carte) entrez dans l’eau par la passe située à gauche du ponton, où sont amarrées quelques embarcations. Longez ensuite le récif vers la droite ou la gauche.
Deux zones principales sont recommandées pour le snorkeling au Utopia Beach Club:
1/ Le platier qui s’étend face à la plage de l’hôtel.
Cette zone peu profonde (↕0,5-1m), couverte de corail, est entrecoupée de plusieurs bassins « creusés » dans le récif. C’est l’endroit idéal pour les débutants, car la mer y est en général très calme. De nombreux poissons peuvent être observés ici, notamment des poissons-papillons, des poissons-ballons et des demoiselles.
2/ Les tombants récifaux qui s’étendent au nord et au sud de la passe (zones 2 et 3 sur la carte)
Après vous être mis à l’eau depuis la passe proche du ponton, longez le récif vers la gauche ou vers la droite. Prenez en compte le courant, de dominante nord-sud. Les tombants, qui forment la partie externe du récif, abritent la vie sous-marine la plus spectaculaire. Ils sont couverts de coraux plutôt bien préservés, dans lesquels se cachent de jolis bénitiers aux couleurs flamboyantes.
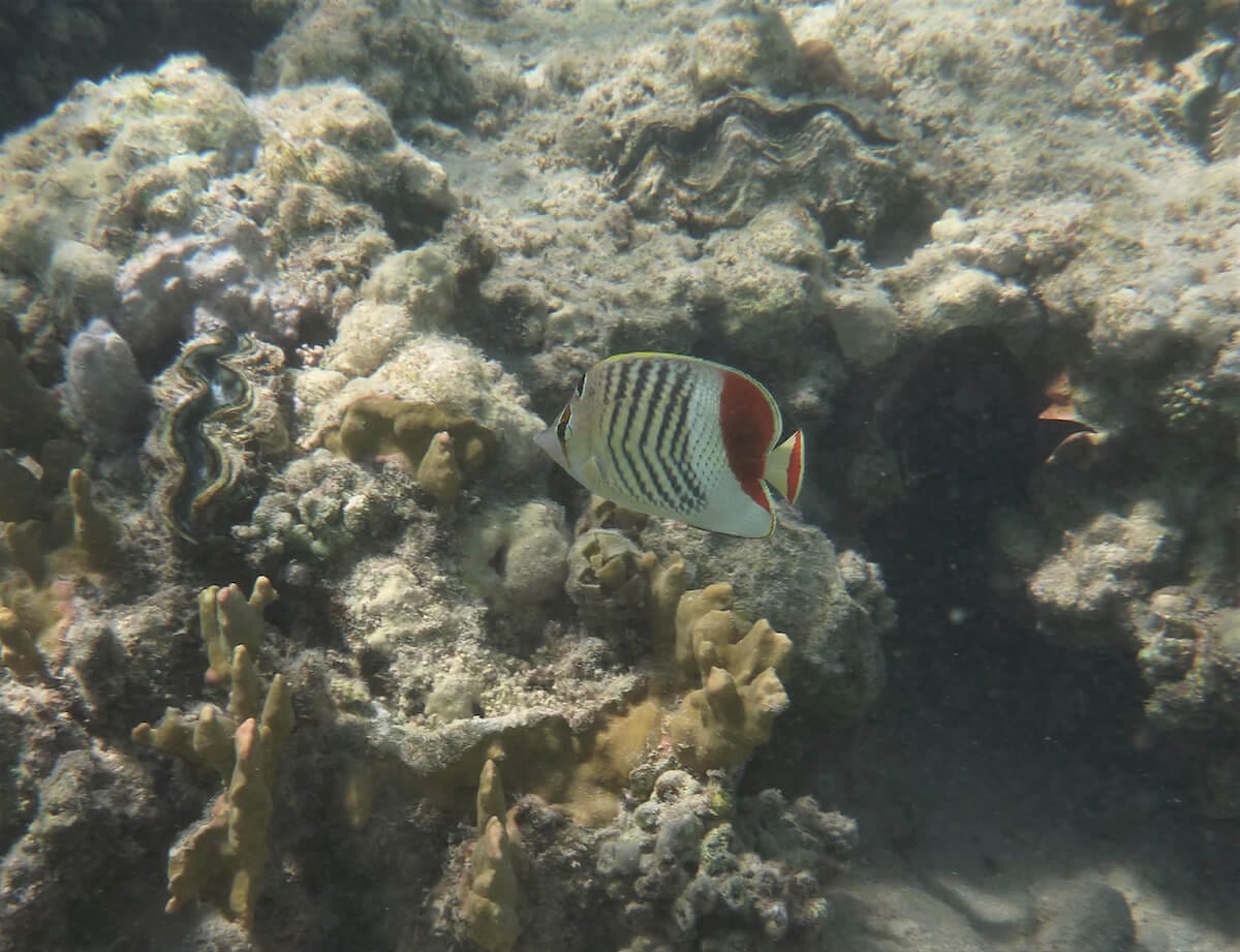
En longeant les tombants, vous rencontrerez de nombreux poissons colorés, tels que le poisson-cocher de Mer Rouge, plusieurs espèces de poissons-papillons, le poisson-ange empereur et le poisson-ange duc. Le labre à franges, le baliste Picasso arabe et le chirurgien zébré sont aussi communs ici, parmi des dizaines d’autres espèces.
Dans les zones sableuses, où les poissons-lions sont abondants, vous aurez peut-être aussi la chance de croiser le chemin d’une raie pastenague à points bleus ou d’un poisson-crocodile tapis.
Le Utopia Beach Club et le Pensee Royal Garden sont les deux seuls hôtels installés dans la baie, face au spot.
Ces spots sont accessibles aux débutants en palmes-masque-tuba et aux enfants. La mise à l’eau se fait progressivement depuis une plage, ou depuis une zone où vous aurez pied. La mer y est généralement calme, peu profonde, avec peu ou pas de courants. Ces spots sont souvent situés dans des zones de baignade balisées et/ou surveillées. Il n’est pas nécessaire de parcourir de grandes distances pour découvrir les fonds marins.
Ce niveau s’entend lorsque le spot bénéficie de conditions optimales, par temps et mer calme. Il n'est pas applicable en cas de dégradation de ces conditions, par exemple en présence d’une mer agitée, de vent fort, d’un courant inhabituel, de grandes marées, de vagues et/ou de houle, ou encore de pluie. Vous trouverez plus de détails sur la définition de ces niveaux en consultant notre page sur la sécurité en snorkeling.
Vous devez être connecté pour commenter
Les spots de snorkeling sont situés dans des environnements naturels, et leur aspect peut varier significativement en raison de la météo, des saisons, des courants, des activités humaines ou d’évènements climatiques exceptionnels (tempêtes, cyclones, hausse de la température de l’eau…). Ces éléments peuvent entrainer une rapide altération des fonds marins (coraux blanchis ou brisés, invasions d’algues), une mauvaise visibilité sous l’eau, ou encore une diminution du nombre d’espèces présentes sur le spot. Nous faisons tout notre possible pour que les informations contenues sur cette page soient exactes et à jour, mais nous ne pouvons garantir que la visibilité ou l’aspect des fonds décrits sur cette page sera identique le jour de votre visite. Si vous avez récemment fait du snorkeling sur ce spot et que vous avez remarqué des changements, contactez-nous.
Le contenu de cette page est uniquement fourni à titre informatif. Il est destiné à apporter aux snorkeleurs des informations leur permettant de pratiquer leur activité de la meilleure façon possible, mais celles-ci ne se substituent en aucun cas à leur condition physique, à leur niveau de natation, à leur expérience du snorkeling ou à leur connaissance du terrain. Gardez à l’esprit que toutes les activités aquatiques, y-compris le snorkeling, sont potentiellement dangereuses, et que vous les pratiquez sous votre propre responsabilité. Réalisez toujours une évaluation individuelle de la météo, des conditions de mer et des dangers potentiels du spot avant d’entrer dans l’eau. En cas de doute, reportez votre session ou choisissez un autre spot. Prenez connaissance des lois et règlementations locales, y-compris celles relatives aux bouées de plongée, aux zones réglementées, aux espèces protégées et aux interactions avec la faune sauvage.