Niveau:
Ce spot a été ajouté par
Dernière mise à jour le 27 septembre 2020
Bordée de falaises d’une jungle luxuriante, la plage de FaiFai a des airs d’une île du bout du monde. Le récif étroit qui s’étend le long de la plage offre un bon snorkeling, facile et très accessible. Poissons-anges, poissons-papillons, vivaneaux et balistes vivent notamment autour des coraux.
FaiFai Beach est située au nord de Tumon Bay, juste après Gun Beach (où l’on peut aussi faire du snorkeling). Rejoignez d’abord Gun Beach, à 5 minutes en voiture de Tumon Bay (grand parking sur place). Empruntez ensuite le petit sentier à flanc de falaise qui part du nord de la plage, qui permet de rejoindre FaiFai Beach en 10 minutes (voir carte ci-dessous).
Mettez-vous à l’eau depuis la plage, à peu près en face des huttes.
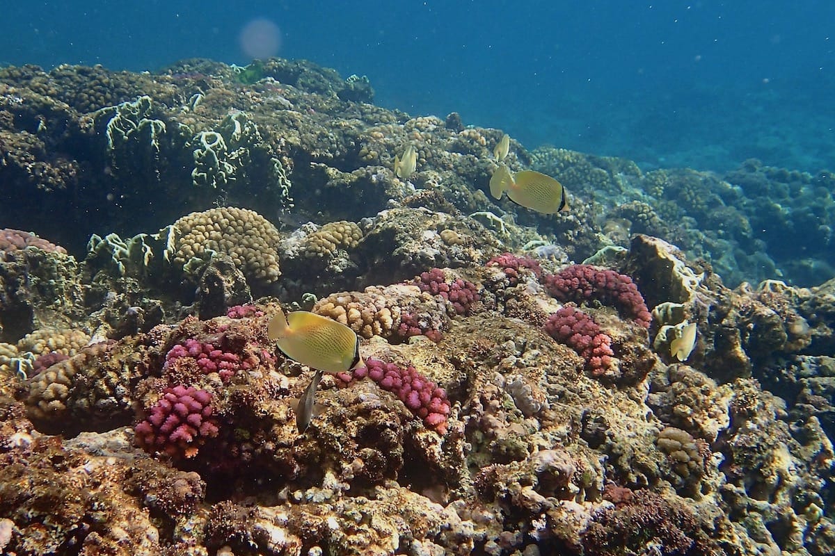
FaiFai Beach est bordée par un récif corallien d’environ 100m de large. A proximité de la plage, les fonds sont assez dégradés, avec peu de coraux (↕0,5-1,5m). Si la mer est calme et la marée haute, il est possible de rejoindre le front du récif (↕2-5m), où la vie sous-marine est plus abondante.
Le récif forme de longues crêtes séparées par des zones de sable. Il est composé de plusieurs variété de coraux durs, comme le corail de feu, le corail digité et le corail massif poreux. Le spot de FaiFai est réputé pour héberger une grande diversité d’espèces de poissons. Une dizaine d’espèces de poissons-papillons, plusieurs espèces de poissons-anges (le poisson-ange citron, le poisson-ange duc), ainsi que de nombreuses girelles et balistes vivent sur le récif. Par endroits, on peut aussi observer des groupes de scolopsis rayés stationner près des coraux. Au total, ce sont des centaines d’espèces que l’on peut potentiellement rencontrer en explorant le récif de FaiFai Beach.
The Beach Restaurant & Bar est installé à Gun Beach. Vous trouverez sinon à Tumon Bay, à moins de 2km de là, un très grand choix de restaurants, hôtels et supérettes, essentiellement concentrés autour de Pale San Vitores Road.
Ces spots conviennent aux personnes à l’aise dans l’eau et avec leur équipement de snorkeling. La mise à l’eau se fait depuis le rivage (plage, ponton, échelle, rochers) ou un bateau. La hauteur d’eau reste modérée, sans nécessairement que l’on ait pied. Ces spots peuvent connaître même par mer calme des courants modérés, mais pas à même de déstabiliser un bon nageur. La distance à parcourir en palmant jusqu’aux zones les plus intéressantes n’excède pas 200m.
Ce niveau s’entend lorsque le spot bénéficie de conditions optimales, par temps et mer calme. Il n'est pas applicable en cas de dégradation de ces conditions, par exemple en présence d’une mer agitée, de vent fort, d’un courant inhabituel, de grandes marées, de vagues et/ou de houle, ou encore de pluie. Vous trouverez plus de détails sur la définition de ces niveaux en consultant notre page sur la sécurité en snorkeling.
Vous devez être connecté pour commenter
Les spots de snorkeling sont situés dans des environnements naturels, et leur aspect peut varier significativement en raison de la météo, des saisons, des courants, des activités humaines ou d’évènements climatiques exceptionnels (tempêtes, cyclones, hausse de la température de l’eau…). Ces éléments peuvent entrainer une rapide altération des fonds marins (coraux blanchis ou brisés, invasions d’algues), une mauvaise visibilité sous l’eau, ou encore une diminution du nombre d’espèces présentes sur le spot. Nous faisons tout notre possible pour que les informations contenues sur cette page soient exactes et à jour, mais nous ne pouvons garantir que la visibilité ou l’aspect des fonds décrits sur cette page sera identique le jour de votre visite. Si vous avez récemment fait du snorkeling sur ce spot et que vous avez remarqué des changements, contactez-nous.
Le contenu de cette page est uniquement fourni à titre informatif. Il est destiné à apporter aux snorkeleurs des informations leur permettant de pratiquer leur activité de la meilleure façon possible, mais celles-ci ne se substituent en aucun cas à leur condition physique, à leur niveau de natation, à leur expérience du snorkeling ou à leur connaissance du terrain. Gardez à l’esprit que toutes les activités aquatiques, y-compris le snorkeling, sont potentiellement dangereuses, et que vous les pratiquez sous votre propre responsabilité. Réalisez toujours une évaluation individuelle de la météo, des conditions de mer et des dangers potentiels du spot avant d’entrer dans l’eau. En cas de doute, reportez votre session ou choisissez un autre spot. Prenez connaissance des lois et règlementations locales, y-compris celles relatives aux bouées de plongée, aux zones réglementées, aux espèces protégées et aux interactions avec la faune sauvage.
DERNIERES PLACES DISPONIBLES