Ce spot a été ajouté par

Anne
Anne

31 spots ajoutés - 1235 photos partagées

Autres contributeurs Vous pouvez vous-aussi contribuer à illustrer et maintenir cette page à jour en ajoutant des photos dans la galerie en bas de page, ou en nous envoyant vos commentaires via le formulaire de contact
Hébergements à proximité

Dernière mise à jour le

Situé sur l’île de Solarte, qui fait face à la ville de Bocas del Toro, le site de Hospital Point permet de belles sessions snorkeling. Autour de la pointe rocheuse, on peut explorer un platier et un tombant récifal riches en poissons colorés. En particulier, vous pourrez y voir des bancs de chirurgiens, des perroquets, des vivaneaux, des demoiselles et de nombreuses autres espèces.

Hospital Point, Bocas del Toro
Hospital Point, Bocas del Toro.

Comment se rendre sur le spot de snorkeling de Hospital Point?

Hospital Point, ou Punta Hospital, est le nom de la pointe rocheuse qui marque l’extrémité nord-ouest de l’île de Solarte, dans l’archipel de Bocas Del Toro. Elle est située à environ 2,25 km à vol d’oiseau de Bocas Town. Il existe plusieurs moyens pour s’y rendre:

  1. En excursion: certains tours en bateau vendus à Bocas proposent un arrêt snorkeling à Hospital Point, mais contrairement à d’autres spots plus connus comme Cayo Coral, il n’est pas souvent inclus dans les tours standard – bien vérifier ce point au préalable avec l’agence. Le prix d’une excursion est à partir de 35$/pers. en 2022.
  2. En bateau taxi: si vous séjournez dans les îles alentour, vous pouvez vous faire déposer sur le spot en bateau taxi, en convenant d’une heure de retour avec le capitaine.
  3. En kayak, depuis le nord ouest de Solarte ou depuis le sud ouest de Bastimentos. Faites attention aux nombreux bateaux qui circulent entre les îles. Une fois sur site, vous trouverez des corps-morts sur lesquels attacher votre kayak (plus prudent que de le laisser sur la plage).

Carte snorkeling à Hospital Point

Où entrer dans l’eau pour faire du snorkeling à Hospital Point?

Il est conseillé de se mettre à l’eau depuis la petite plage (à peu près devant la petite maison blanche) ou depuis votre embarcation.

L’exploration des fonds marins de Hospital Point en palmes-masque-tuba

Une fois dans l’eau, le meilleur moyen d’explorer ce spot est de faire le tour de la pointe. Vous longerez tout d’abord un tombant récifal d’une dizaine de mètres truffé de gorgones et d’éponges, avant d’atteindre un platier peu profond qui s’étend tout autour de la pointe (↕0,5-2m).

Reef life at Hospital Point
Des gorettes de différentes espèces observées dans une zone récifale.

Côté ouest, les fonds sont beaucoup moins profonds (attention aux coups de palmes) et les espèces un peu différentes. Peut-être un peu moins attrayant qu’autour du tombant côté est de la pointe, mais avec une meilleure visibilité puisque moins de profondeur.

Stoplight parrotfish at Hospital Point
Un poisson-perroquet feu.

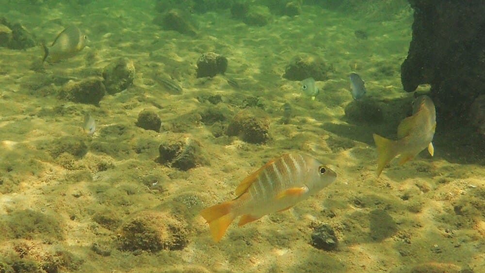
Les fonds sont globalement assez colorés (couverts de gorgones, d’éponges, d’anémones de mer, de sabelles et d’oursins) et on peut y apercevoir diverses espèces de poissons : plusieurs types de perroquets et de chirurgien en bancs, des papillons en couple, des vivaneaux dents de chien, des girelles à tête bleue, des hamlet à ligne, et de nombreuses demoiselles à queue jaune juvéniles qui jouent à cache-cache parmi les éponges.

Brittle star and coral
Une jolie ophiure violette rencontrée sur le récif.

Occasionnellement, on croise ici des poissons trompettes, des poissons ballons, des orphies crocodile, des balistes et des calamars. Ce spot ne connait pas spécialement de courant, mais l’eau peut être trouble par périodes, notamment en saison des pluies.

Restaurants et hébergements à proximité

Il y a plusieurs hébergements dans le petit village de Solarte, installés entre 300 et 800 mètres au sud du spot. Si vous y logez, vous pouvez envisager de vous mettre à l’eau depuis l’un des pontons et de palmer jusqu’à Punta Hospital.

 

  • Level of difficulty Intermédiaire
  • Maximum depth3m sur le récif, +10m sur le tombant
  • Water entranceDepuis une plage, un kayak ou un bateau
  • LifeguardNon
  • Visitor numbersFaible
  • Access costsGratuit (en kayak ou depuis les pontons environnants) ou prix d'une excursion snorkeling
  • Restaurants nearbyNon

MAP Spot

Ces spots conviennent aux personnes à l’aise dans l’eau et avec leur équipement de snorkeling. La mise à l’eau se fait depuis le rivage (plage, ponton, échelle, rochers) ou un bateau. La hauteur d’eau reste modérée, sans nécessairement que l’on ait pied. Ces spots peuvent connaître même par mer calme des courants modérés, mais pas à même de déstabiliser un bon nageur. La distance à parcourir en palmant jusqu’aux zones les plus intéressantes n’excède pas 200m.

Ce niveau s’entend lorsque le spot bénéficie de conditions optimales, par temps et mer calme. Il n'est pas applicable en cas de dégradation de ces conditions, par exemple en présence d’une mer agitée, de vent fort, d’un courant inhabituel, de grandes marées, de vagues et/ou de houle, ou encore de pluie. Vous trouverez plus de détails sur la définition de ces niveaux en consultant notre page sur la sécurité en snorkeling.