Niveau:
Ce spot a été ajouté par
31 spots ajoutés - 1235 photos partagées
Dernière mise à jour le 20 juin 2024
Très proche de Salang Beach, dans le nord de l’île de Tioman, Pulau Soyak se visite en général au cours d’excursions en bateau. Cet îlot rocheux attire tortues, raies et requins, qui apprécient ses eaux calmes et préservées. La diversité de poissons récifaux, comprenant poissons-papillons, poissons-anges et poissons-clowns, vaut aussi le déplacement.
Pulau Soyak est un petit îlot proche de la côte nord-ouest de Tioman. Même s’il se trouve à moins de 500 mètres de la plage de la plage de Salang, il est difficile (et dangereux) de rejoindre l’îlot en palmant depuis la plage.
La meilleure façon d’accéder à ce site est donc en bateau. De nombreuses agences à Tioman proposent des excursions snorkeling en bateau combinant un arrêt à Pulau Soyak, un arrêt à Coral Island, et un autre spot entre Monkey Bay, Marine Park ou Rengis (prix par personne 85 RM en 2023).
Vous entrerez dans l’eau depuis votre bateau.
Les bateaux se positionnent souvent au sud de l’île, où les fonds sont moins profonds et plus protégés. Cette zone est très agréable, mais il peut être aussi intéressant de faire le tour de l’îlot, lorsque le courant n’est pas trop fort et que la visibilité sous-marine est bonne.
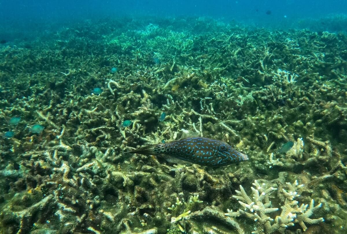
Du côté sud de Pulau Soyak, l’eau est relativement peu profonde (↕2-4 m), tandis qu’au nord et à l’ouest la hauteur d’eau augmente dès que l’on s’éloigne de l’île (↕2-8 m). Les rochers alternent avec les coraux, à peu près en bon état, notamment certains massifs de corail branchu et de corail tabulaire.
Les fonds de Pulau Soyak sont souvent visités par des tortues, que l’on surprend en train de manger au fond de l’eau ou de nager au-dessus du récif. Les rencontres avec des raies à points bleus (jetez un œil à l’ombre des surplombs) et des requins à pointes noires sont également fréquentes.
On trouve à Pulau Soyak une diversité intéressante de poissons de récif, comprenant plusieurs espèces de poissons perroquets, de picots, de balistes et de poissons-papillons.
Parmi les plus beaux poissons que l’on peut observer ici figurent aussi le poisson-ange vermiculé, le chelmon à long bec, et le poisson-clown à bande dorsale. Vous trouverez en bas de page la liste des espèces marines qui ont déjà été observées à Pulau Soyak.
On rencontre parfois du courant le long des côtes est et ouest de Pulau Soyak, mais très peu au sud. Demandez conseil à votre guide avant de faire le tour de l’îlot.
Les excursions à la journée comprennent souvent le déjeuner. Vérifiez ce point au moment de réserver.
Ces spots conviennent aux personnes à l’aise dans l’eau et avec leur équipement de snorkeling. La mise à l’eau se fait depuis le rivage (plage, ponton, échelle, rochers) ou un bateau. La hauteur d’eau reste modérée, sans nécessairement que l’on ait pied. Ces spots peuvent connaître même par mer calme des courants modérés, mais pas à même de déstabiliser un bon nageur. La distance à parcourir en palmant jusqu’aux zones les plus intéressantes n’excède pas 200m.
Ce niveau s’entend lorsque le spot bénéficie de conditions optimales, par temps et mer calme. Il n'est pas applicable en cas de dégradation de ces conditions, par exemple en présence d’une mer agitée, de vent fort, d’un courant inhabituel, de grandes marées, de vagues et/ou de houle, ou encore de pluie. Vous trouverez plus de détails sur la définition de ces niveaux en consultant notre page sur la sécurité en snorkeling.
Vous devez être connecté pour commenter
Les spots de snorkeling sont situés dans des environnements naturels, et leur aspect peut varier significativement en raison de la météo, des saisons, des courants, des activités humaines ou d’évènements climatiques exceptionnels (tempêtes, cyclones, hausse de la température de l’eau…). Ces éléments peuvent entrainer une rapide altération des fonds marins (coraux blanchis ou brisés, invasions d’algues), une mauvaise visibilité sous l’eau, ou encore une diminution du nombre d’espèces présentes sur le spot. Nous faisons tout notre possible pour que les informations contenues sur cette page soient exactes et à jour, mais nous ne pouvons garantir que la visibilité ou l’aspect des fonds décrits sur cette page sera identique le jour de votre visite. Si vous avez récemment fait du snorkeling sur ce spot et que vous avez remarqué des changements, contactez-nous.
Le contenu de cette page est uniquement fourni à titre informatif. Il est destiné à apporter aux snorkeleurs des informations leur permettant de pratiquer leur activité de la meilleure façon possible, mais celles-ci ne se substituent en aucun cas à leur condition physique, à leur niveau de natation, à leur expérience du snorkeling ou à leur connaissance du terrain. Gardez à l’esprit que toutes les activités aquatiques, y-compris le snorkeling, sont potentiellement dangereuses, et que vous les pratiquez sous votre propre responsabilité. Réalisez toujours une évaluation individuelle de la météo, des conditions de mer et des dangers potentiels du spot avant d’entrer dans l’eau. En cas de doute, reportez votre session ou choisissez un autre spot. Prenez connaissance des lois et règlementations locales, y-compris celles relatives aux bouées de plongée, aux zones réglementées, aux espèces protégées et aux interactions avec la faune sauvage.