Niveau: Accès libre du bord Ce spot peut être exploré gratuitement depuis le bord de mer : vous pouvez y faire du palmes-masque-tuba librement, sans participer à une excursion ni payer de frais d'entrée.
Ce spot a été ajouté par
3 spots ajoutés - 29 photos partagées
Dernière mise à jour le 8 janvier 2023
Nichée dans le littoral rocheux de Bayahibe, la petite plage de Magallanes est l’un des spots de snorkeling les plus accessibles de la région. On vient avant tout ici pour explorer les cavités et surplombs rocheux qui se succèdent le long de ce littoral déchiqueté par l’érosion. Vous y surprendrez tour à tour mérous, murènes, langoustes et rascasses, qui apprécient les abris offerts par les anfractuosités du récif.
Playa Magallanes est située à Bayahibe, sur la côte sud-est de la République Dominicaine. Depuis le village, empruntez le sentier pédestre qui longe le littoral en direction de Dominicus. Après environ 500m de marche, vous arriverez à la petite plage de Magallanes.
L’entrée dans l’eau se fait depuis la plage.
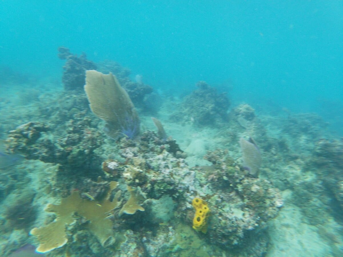
La plage de Magallanes mesure moins d’une centaine de mètres de long. Elle est bordée de part et d’autre par un littoral rocheux. Près du rivage, les fonds alternent entre anfractuosités et blocs rocheux. En s’éloignant un peu, les paysages sous-marins changent et laissent place à des zones de sable et de récifs couverts de gorgones et de coraux.
C’est dans les zones près des rochers, où les fonds sont poreux et creusés de nombreuses cavités, que le palmes-masque-tuba est le plus intéressant. En effet, ce milieu est habité par de nombreuses espèces, qui trouvent refuge dans les anfractuosités du récif.
En jetant un œil à l’ombre des aplombs rocheux, vous aurez peut-être la chance de surprendre des poissons-rubans rayés, des poissons-écureuils, un poisson-savon ou de petites langoustes. Les murènes sont aussi plutôt communes ici, souvent cachées dans les rochers, seule la tête dépassant de leur trou.
Dans les zones plus ouvertes, vous observerez facilement poissons-papillons à quatre yeux, poissons-coffres noirs et blancs, girelles à tête bleue, poissons-chirurgiens, et de nombreuses autres espèces typiques des récifs caribéens. Parfois, vous repèrerez sur le sable une raie pastenague jaune ou une rascasse tachetée, des espèces impressionnantes mais paisibles qui se prêtent volontiers à une séance photo.
Le spot de Playa Magallanes est bien abrité, et la mer y est généralement calme, parfaite pour une session snorkeling. Ne vous mettez pas à l’eau si les conditions se dégradent (vent fort, vagues).
Le restaurant « El Paraíso de Maritza » se trouve face à la plage, de l’autre côté du chemin. Vous trouverez sinon dans le village de Bayahibe (à 500m de là) un large choix de restaurants et d’hébergements.
Ces spots sont accessibles aux débutants en palmes-masque-tuba et aux enfants. La mise à l’eau se fait progressivement depuis une plage, ou depuis une zone où vous aurez pied. La mer y est généralement calme, peu profonde, avec peu ou pas de courants. Ces spots sont souvent situés dans des zones de baignade balisées et/ou surveillées. Il n’est pas nécessaire de parcourir de grandes distances pour découvrir les fonds marins.
Ce niveau s’entend lorsque le spot bénéficie de conditions optimales, par temps et mer calme. Il n'est pas applicable en cas de dégradation de ces conditions, par exemple en présence d’une mer agitée, de vent fort, d’un courant inhabituel, de grandes marées, de vagues et/ou de houle, ou encore de pluie. Vous trouverez plus de détails sur la définition de ces niveaux en consultant notre page sur la sécurité en snorkeling.
Vous devez être connecté pour commenter
Les spots de snorkeling sont situés dans des environnements naturels, et leur aspect peut varier significativement en raison de la météo, des saisons, des courants, des activités humaines ou d’évènements climatiques exceptionnels (tempêtes, cyclones, hausse de la température de l’eau…). Ces éléments peuvent entrainer une rapide altération des fonds marins (coraux blanchis ou brisés, invasions d’algues), une mauvaise visibilité sous l’eau, ou encore une diminution du nombre d’espèces présentes sur le spot. Nous faisons tout notre possible pour que les informations contenues sur cette page soient exactes et à jour, mais nous ne pouvons garantir que la visibilité ou l’aspect des fonds décrits sur cette page sera identique le jour de votre visite. Si vous avez récemment fait du snorkeling sur ce spot et que vous avez remarqué des changements, contactez-nous.
Le contenu de cette page est uniquement fourni à titre informatif. Il est destiné à apporter aux snorkeleurs des informations leur permettant de pratiquer leur activité de la meilleure façon possible, mais celles-ci ne se substituent en aucun cas à leur condition physique, à leur niveau de natation, à leur expérience du snorkeling ou à leur connaissance du terrain. Gardez à l’esprit que toutes les activités aquatiques, y-compris le snorkeling, sont potentiellement dangereuses, et que vous les pratiquez sous votre propre responsabilité. Réalisez toujours une évaluation individuelle de la météo, des conditions de mer et des dangers potentiels du spot avant d’entrer dans l’eau. En cas de doute, reportez votre session ou choisissez un autre spot. Prenez connaissance des lois et règlementations locales, y-compris celles relatives aux bouées de plongée, aux zones réglementées, aux espèces protégées et aux interactions avec la faune sauvage.