Niveau: Accès libre du bord Ce spot peut être exploré gratuitement depuis le bord de mer : vous pouvez y faire du palmes-masque-tuba librement, sans participer à une excursion ni payer de frais d'entrée.
Ce spot a été ajouté par
31 spots ajoutés - 1235 photos partagées
Dernière mise à jour le 13 septembre 2023
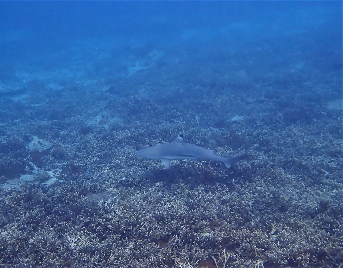
Situé tout au sud du petit paradis que sont les Iles Perhentian, le spot de Shark Point est l’un des plus visités de la région. Si son nom évoque avant tout les requins à pointes noires que l’on voit très souvent autour du tombant, ce spot recèle de bien d’autres merveilles: des tortues marines, des poissons-anges, des poissons-clowns dans leur anémone, et des centaines d’autres poissons récifaux. Si vous visitez les îles, n’hésitez pas à y faire un tour, d’autant que les bons nageurs pourront rejoindre le site en palmant depuis la plage.
Le spot de Shark Point est situé à la pointe sud de l’île de Perhentian Besar, juste à l’ouest de Flora Bay.
Pour s’y rendre, le moyen le plus classique est de participer à l’un des nombreux tours en bateau proposés par les excursionnistes locaux. Ce spot est notamment inclus dans le tour snorkeling « 5 spots » qui en une journée s’arrête à Shark Point, Fish Point, Coral Garden, Turtle Point et Fisherman Village (à partir de 25 euros/pers.).
Néanmoins, pour les bons nageurs, il est possible de se mettre à l’eau à l’est de la plage de Flora Bay, et de palmer le long des rochers jusqu’au spot, que l’on repère facilement à la présence de bateaux. Ce parcours ne présente pas de difficultés particulières, mais il faut tenir la distance (400 à 500 m entre la plage et Shark Point, palmes indispensables). Le long des rochers et sur le platier, vous pourrez au passage observer de nombreux poissons.
Pour accéder à la plage de Flora Bay, point de départ si vous souhaitez explorer le spot par vous-même, il y a 3 possibilités :
Il est déconseillé de nager jusqu’à Shark Point depuis la plage située à l’ouest de la pointe (au sud de Teluk Keke), car les courants sont assez forts à cet endroit là.
Si vous participez à une excursion, vous entrerez dans l’eau depuis le bateau.
Si vous explorez ce spot depuis le bord, vous entrerez dans l’eau depuis l’est de la plage de Flora Bay.
Si vous avez choisi de partir du bord, vous traverserez tout d’abord environ 200 mètres de platier peu profond, dans le sable et au dessus de coraux un peu abîmés.
Cette zone peut réserver quelques surprises, comme de petites tortues, quelques sergents majors, des demoiselles, des perroquets en immenses bancs, des picots et des carangues. Quelques beaux spécimens de bénitiers sont visibles ça et là, et parfois des murènes dans les anfractuosités.
En vous dirigeant vers le tombant, l’eau devient plus profonde, les fonds commencent à se colorer de coraux, et les poissons sont plus nombreux et plus gros. Palmez ensuite le long du tombant, au bord duquel la profondeur varie de 5 à 10 mètres.
Tamarins, balistes titan, vivaneaux, poissons-anges annelés, labres et poisson-clowns sont communs sur le récif. C’est aussi dans cette zone que vous pourrez rencontrer des tortues, ainsi que les requins à pointes noires qui ont donné leur nom au spot.
A noter que si ce spot est connu pour ses requins, ceux-ci sont visibles sur d’autres sites de l’île, mais surtout, leur observation n’est pas assurée. Il faut alors se diriger vers les fonds plus profonds, où ils évoluent en larges cercles.
A Shark Point, faites attention aux bateaux qui vont et viennent sur le spot, ainsi qu’aux nombreux autres snorkeleurs présents dans l’eau.
Il arrive que certains guides attirent les requins en leur jetant de la nourriture.
Une petite dizaine d’hôtels et de restaurants bordent la plage de Flora Bay. Si vous participez à un tour en bateau, le repas du midi est souvent inclus. A vérifier lors de la réservation.
Ces spots conviennent aux personnes à l’aise dans l’eau et avec leur équipement de snorkeling. La mise à l’eau se fait depuis le rivage (plage, ponton, échelle, rochers) ou un bateau. La hauteur d’eau reste modérée, sans nécessairement que l’on ait pied. Ces spots peuvent connaître même par mer calme des courants modérés, mais pas à même de déstabiliser un bon nageur. La distance à parcourir en palmant jusqu’aux zones les plus intéressantes n’excède pas 200m.
Ce niveau s’entend lorsque le spot bénéficie de conditions optimales, par temps et mer calme. Il n'est pas applicable en cas de dégradation de ces conditions, par exemple en présence d’une mer agitée, de vent fort, d’un courant inhabituel, de grandes marées, de vagues et/ou de houle, ou encore de pluie. Vous trouverez plus de détails sur la définition de ces niveaux en consultant notre page sur la sécurité en snorkeling.
Vous devez être connecté pour commenter
Les spots de snorkeling sont situés dans des environnements naturels, et leur aspect peut varier significativement en raison de la météo, des saisons, des courants, des activités humaines ou d’évènements climatiques exceptionnels (tempêtes, cyclones, hausse de la température de l’eau…). Ces éléments peuvent entrainer une rapide altération des fonds marins (coraux blanchis ou brisés, invasions d’algues), une mauvaise visibilité sous l’eau, ou encore une diminution du nombre d’espèces présentes sur le spot. Nous faisons tout notre possible pour que les informations contenues sur cette page soient exactes et à jour, mais nous ne pouvons garantir que la visibilité ou l’aspect des fonds décrits sur cette page sera identique le jour de votre visite. Si vous avez récemment fait du snorkeling sur ce spot et que vous avez remarqué des changements, contactez-nous.
Le contenu de cette page est uniquement fourni à titre informatif. Il est destiné à apporter aux snorkeleurs des informations leur permettant de pratiquer leur activité de la meilleure façon possible, mais celles-ci ne se substituent en aucun cas à leur condition physique, à leur niveau de natation, à leur expérience du snorkeling ou à leur connaissance du terrain. Gardez à l’esprit que toutes les activités aquatiques, y-compris le snorkeling, sont potentiellement dangereuses, et que vous les pratiquez sous votre propre responsabilité. Réalisez toujours une évaluation individuelle de la météo, des conditions de mer et des dangers potentiels du spot avant d’entrer dans l’eau. En cas de doute, reportez votre session ou choisissez un autre spot. Prenez connaissance des lois et règlementations locales, y-compris celles relatives aux bouées de plongée, aux zones réglementées, aux espèces protégées et aux interactions avec la faune sauvage.