Niveau: Accès libre du bord Ce spot peut être exploré gratuitement depuis le bord de mer : vous pouvez y faire du palmes-masque-tuba librement, sans participer à une excursion ni payer de frais d'entrée.
Ce spot a été ajouté par
31 spots ajoutés - 1235 photos partagées
Dernière mise à jour le 4 octobre 2022
Le Melina Bech Resort est situé au sud de Playa Beach, sur la côte ouest de l’île de Tioman. Relativement isolé, il permet d’accéder au joli récif corallien qui borde la plage. Si les coraux sont dans un état variable en fonction des zones, la diversité des espèces présentes sur sur le récif en fait un spot de snorkeling apprécié. Parmi les poissons les plus emblématiques observés ici figurent notamment la raie pastenague à points bleus, le poisson-clown à trois bandes, le diagramme noir et le platax.
Ce spot est le “house reef” du Melina Beach Resort, situé sur la côte ouest de l’île de Tioman. Il se trouve entre le village de Genting et Paya Beach.
Pour explorer ce spot, vous pouvez soit choisir de séjourner au Melina Beach Resort, soit y accéder par une petite randonnée à travers la jungle depuis le village du Genting, situé au sud, ou depuis Paya Beach, situé au nord.
Pour accéder à la plage, il faut traverser le resort. Au niveau du panneau indiquant le chemin pour Paya ou Genting, empruntez les escaliers qui descendent vers la plage.
L’entrée dans l’eau s’effectue directement depuis la plage de sable, de préférence devant le restaurant du Melina Beach Resort.
Le récif s’étend au nord et au sud de l’hôtel. Sur la plage, vous pourrez trouver une carte du récif permettant de vous repérer et de localiser les différentes zones.
Au départ de la plage, les fonds sont sableux et il faut palmer en direction du large, jusqu’aux premiers coraux. Sur le récif, la profondeur est de 3 à 5 mètres environ. Les coraux sont globalement en bon état, même si dans certaines zones, les fonds sont tapissés de coraux brisés ou ont élu domicile de nombreux oursins-diadèmes.
Les zones les plus vivantes du récif arborent de jolis coraux branchus, du corail table, du corail digité, et de nombreuses espèces moins spectaculaires. Des anémones magnifiques (Heteractis magnifica), habitées par des poissons-clowns à trois bandes, peuvent être observées à certains endroits.
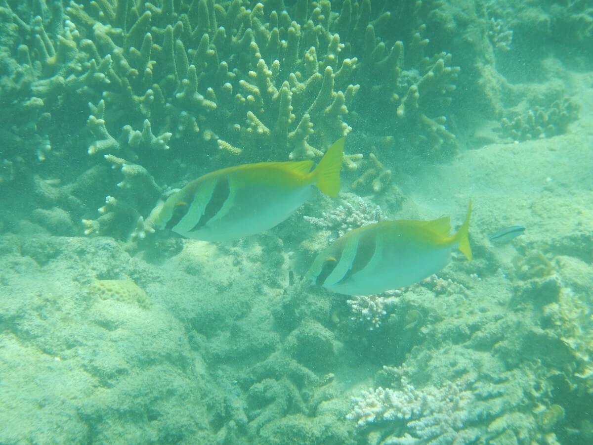
Les poissons-papillons, notamment le papillon baron et le papillon à huit bandes, sont très communs sur le récif de Melina Beach. On les voit souvent nager juste au-dessus du corail. Les labres, girelles et poissons-lapins et vivaneaux apprécient aussi ces zones peu profondes et bien éclairées.
En contrebas, de gros diagrammes noirs stationnement au pied des massifs de corail. Sur ce spot, vous aurez aussi de bonnes chances de voir des raies à points bleus. Elles sont souvent cachées à l’ombre des coraux tabulaires, parfois à moitié ensevelies dans le sable.
Sur ce spot, la visibilité sous-marine généralement bonne, rarement excellente. Elle peut varier au cours d’une même journée en fonction des courants et des marées.
Ce spot est le house reef du Melina Beach Resort. Si vous y séjournez, vous pourrez profiter du récif à quelques pas de votre chambre.
Ces spots sont accessibles aux débutants en palmes-masque-tuba et aux enfants. La mise à l’eau se fait progressivement depuis une plage, ou depuis une zone où vous aurez pied. La mer y est généralement calme, peu profonde, avec peu ou pas de courants. Ces spots sont souvent situés dans des zones de baignade balisées et/ou surveillées. Il n’est pas nécessaire de parcourir de grandes distances pour découvrir les fonds marins.
Ce niveau s’entend lorsque le spot bénéficie de conditions optimales, par temps et mer calme. Il n'est pas applicable en cas de dégradation de ces conditions, par exemple en présence d’une mer agitée, de vent fort, d’un courant inhabituel, de grandes marées, de vagues et/ou de houle, ou encore de pluie. Vous trouverez plus de détails sur la définition de ces niveaux en consultant notre page sur la sécurité en snorkeling.
Vous devez être connecté pour commenter
Les spots de snorkeling sont situés dans des environnements naturels, et leur aspect peut varier significativement en raison de la météo, des saisons, des courants, des activités humaines ou d’évènements climatiques exceptionnels (tempêtes, cyclones, hausse de la température de l’eau…). Ces éléments peuvent entrainer une rapide altération des fonds marins (coraux blanchis ou brisés, invasions d’algues), une mauvaise visibilité sous l’eau, ou encore une diminution du nombre d’espèces présentes sur le spot. Nous faisons tout notre possible pour que les informations contenues sur cette page soient exactes et à jour, mais nous ne pouvons garantir que la visibilité ou l’aspect des fonds décrits sur cette page sera identique le jour de votre visite. Si vous avez récemment fait du snorkeling sur ce spot et que vous avez remarqué des changements, contactez-nous.
Le contenu de cette page est uniquement fourni à titre informatif. Il est destiné à apporter aux snorkeleurs des informations leur permettant de pratiquer leur activité de la meilleure façon possible, mais celles-ci ne se substituent en aucun cas à leur condition physique, à leur niveau de natation, à leur expérience du snorkeling ou à leur connaissance du terrain. Gardez à l’esprit que toutes les activités aquatiques, y-compris le snorkeling, sont potentiellement dangereuses, et que vous les pratiquez sous votre propre responsabilité. Réalisez toujours une évaluation individuelle de la météo, des conditions de mer et des dangers potentiels du spot avant d’entrer dans l’eau. En cas de doute, reportez votre session ou choisissez un autre spot. Prenez connaissance des lois et règlementations locales, y-compris celles relatives aux bouées de plongée, aux zones réglementées, aux espèces protégées et aux interactions avec la faune sauvage.