Niveau: Accès libre du bord Ce spot peut être exploré gratuitement depuis le bord de mer : vous pouvez y faire du palmes-masque-tuba librement, sans participer à une excursion ni payer de frais d'entrée. Hôtel à proximité
Ce spot a été ajouté par
22 spots ajoutés - 483 photos partagées
Dernière mise à jour le 4 septembre 2023
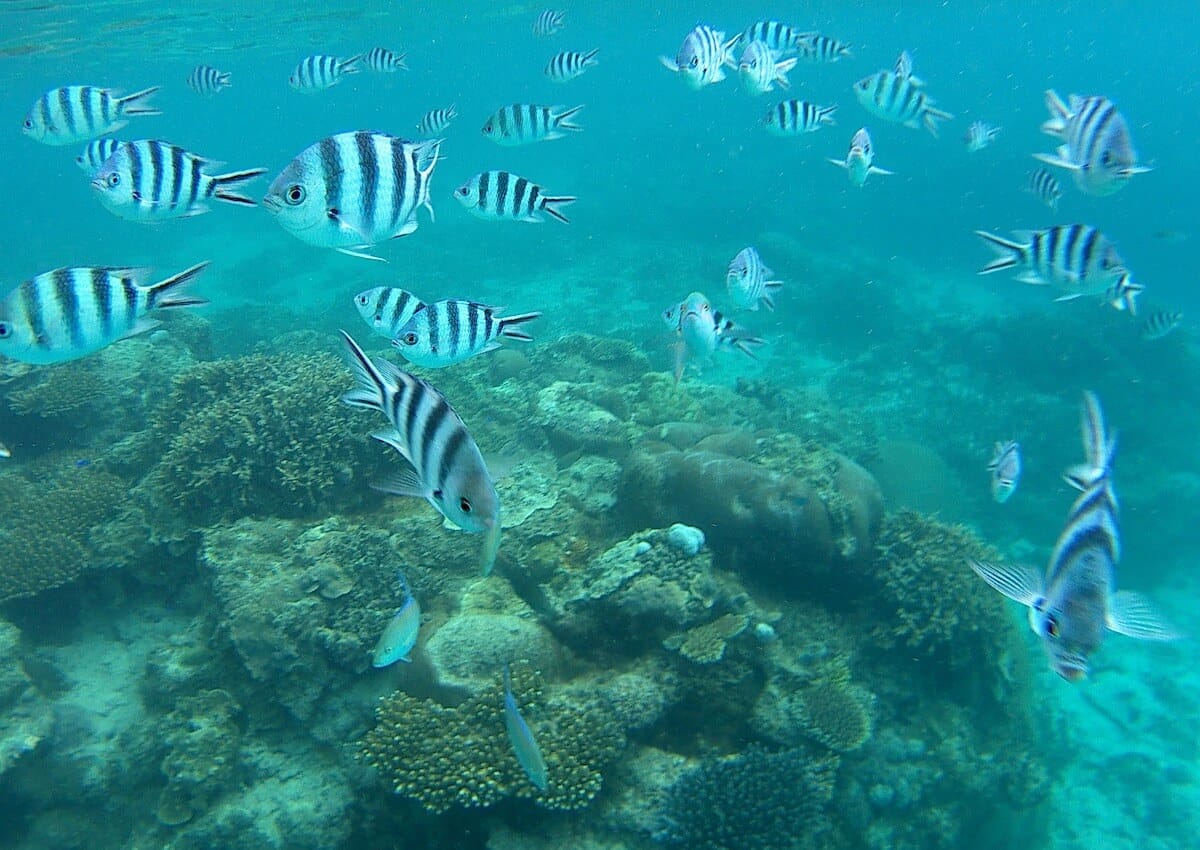
Le Octopus Resort est le seul hôtel situé sur l’île de Waya, dans l’archipel de Yasawa. Le snorkeling sur son house reef, couvert de coraux et peuplé d’une grande variété de poissons, est l’un des meilleurs de l’archipel. Les eaux de la baie, calmes et offrant une excellente visibilité sous-marine, ajoutent à la qualité des explorations sous-marines.
Le moyen le plus facile et le plus économique de se rendre sur l’île de Waya est d’utiliser le Yasawa Flyer. Ce ferry dessert les îles plusieurs fois par jour depuis la marina de Nadi. Comme il n’y a pas de débarcadère sur l’île, vous devrez séjourner au Octopus Resort pour être récupéré sur le ferry avec leur petit bateau.
Une autre option est de visiter Waya avec son propre bateau ou un charter.
Entrez dans l’eau depuis la plage, face au petit passage dans le platier, qui est le seul moyen d’accéder au récif externe. Une corde est fixée le long du chenal et vous sera très utile pour sortir de l’eau car il y a souvent un courant sortant. N’essayez pas de trouver un autre passage vers le récif, car la hauteur d’eau sur le platier est soit nulle, soit trop faible.
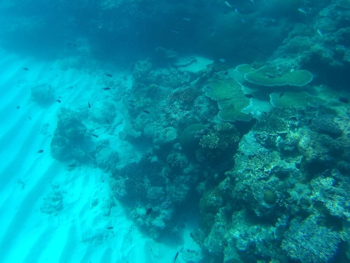
Dès la sortie du chenal, l’eau est déjà relativement profonde (↕3m). De là, vous pouvez faire du snorkeling le long du tombant sur votre droite et sur votre gauche (↕3-5m). Les deux côtés offrent de magnifiques fonds marins.
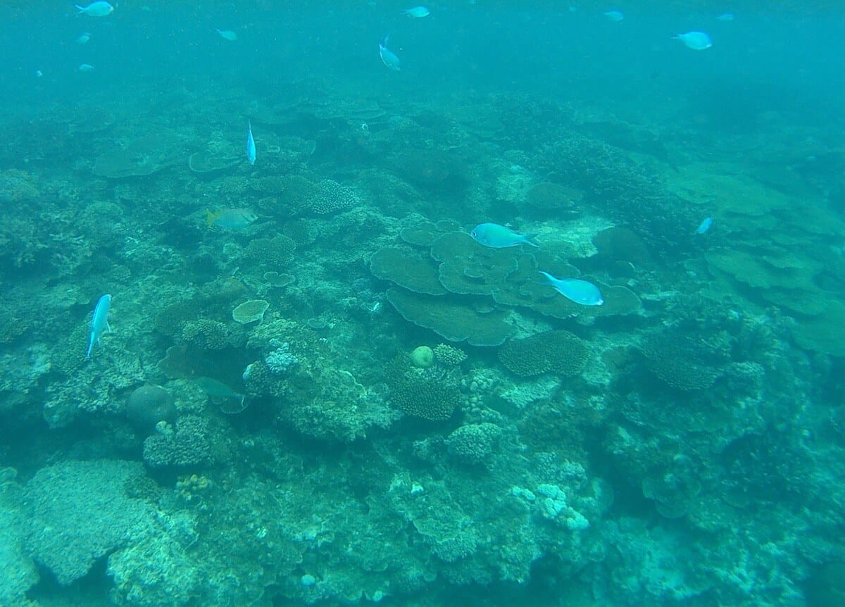
Depuis le tombant, vous pourrez aussi pénétrer sur certaines zones du platier (↕1-2m), particulièrement sur la droite (zone 1 sur la carte).
Un point commun aux deux zones sont les reliefs du récif, qui forme des paysages sous-marins variés. tombant sur des fonds sableux. La vie sous-marine est remarquable. Des jardins de coraux très préservés créent des terrasses très riches en poissons et en couleurs.
De grands bancs de poissons nagent autour des coraux, qui semblent avoir été épargné par le blanchiment qui se produit en de nombreux autres endroits.
Parmi les espèces identifiées sur ce spot, on trouve des raies pastenague, des poissons-papillons, des demoiselles, des poissons-chirurgiens, des poissons-perroquets, des mérous et des vivaneaux. On a parfois la chance d’apercevoir un poulpe (difficile à repérer), tandis que les tortues marines et les requins de récifs visitent occasionnellement le récif.
Les coraux comprennent aussi de nombreuses variétés, comme le corail digité, le corail feuillu, le corail branchu, le corail cerveau et le corail tabulaire.
Lors de votre balade sous-marine, gardez en tête qu’il vous faudra palmer jusqu’au petit chenal pour pouvoir ressortir de l’eau.
Le Octopus Resort dispose d’un restaurant.
Ces spots sont accessibles aux débutants en palmes-masque-tuba et aux enfants. La mise à l’eau se fait progressivement depuis une plage, ou depuis une zone où vous aurez pied. La mer y est généralement calme, peu profonde, avec peu ou pas de courants. Ces spots sont souvent situés dans des zones de baignade balisées et/ou surveillées. Il n’est pas nécessaire de parcourir de grandes distances pour découvrir les fonds marins.
Ce niveau s’entend lorsque le spot bénéficie de conditions optimales, par temps et mer calme. Il n'est pas applicable en cas de dégradation de ces conditions, par exemple en présence d’une mer agitée, de vent fort, d’un courant inhabituel, de grandes marées, de vagues et/ou de houle, ou encore de pluie. Vous trouverez plus de détails sur la définition de ces niveaux en consultant notre page sur la sécurité en snorkeling.
Vous devez être connecté pour commenter
Les spots de snorkeling sont situés dans des environnements naturels, et leur aspect peut varier significativement en raison de la météo, des saisons, des courants, des activités humaines ou d’évènements climatiques exceptionnels (tempêtes, cyclones, hausse de la température de l’eau…). Ces éléments peuvent entrainer une rapide altération des fonds marins (coraux blanchis ou brisés, invasions d’algues), une mauvaise visibilité sous l’eau, ou encore une diminution du nombre d’espèces présentes sur le spot. Nous faisons tout notre possible pour que les informations contenues sur cette page soient exactes et à jour, mais nous ne pouvons garantir que la visibilité ou l’aspect des fonds décrits sur cette page sera identique le jour de votre visite. Si vous avez récemment fait du snorkeling sur ce spot et que vous avez remarqué des changements, contactez-nous.
Le contenu de cette page est uniquement fourni à titre informatif. Il est destiné à apporter aux snorkeleurs des informations leur permettant de pratiquer leur activité de la meilleure façon possible, mais celles-ci ne se substituent en aucun cas à leur condition physique, à leur niveau de natation, à leur expérience du snorkeling ou à leur connaissance du terrain. Gardez à l’esprit que toutes les activités aquatiques, y-compris le snorkeling, sont potentiellement dangereuses, et que vous les pratiquez sous votre propre responsabilité. Réalisez toujours une évaluation individuelle de la météo, des conditions de mer et des dangers potentiels du spot avant d’entrer dans l’eau. En cas de doute, reportez votre session ou choisissez un autre spot. Prenez connaissance des lois et règlementations locales, y-compris celles relatives aux bouées de plongée, aux zones réglementées, aux espèces protégées et aux interactions avec la faune sauvage.
DERNIERES PLACES DISPONIBLES