Niveau: Hôtel à proximité
Ce spot a été ajouté par
4 spots ajoutés - 195 photos partagées
Dernière mise à jour le 18 avril 2023
Si vous séjournez au Récif Attitude, situé à Pointe aux Piments, la plage privée de l’hôtel donne accès à un petit spot de snorkeling convenable. Autour du bassin creusé dans le platier, on peut observer une belle variété de poissons, même si les fonds sont très dégradés. Ce spot ne vaut pas le déplacement, mais constitue une sympathique sortie si vous séjournez à l’hôtel.
Le Récif Attitude Hotel est situé à Pointe aux Piments, un petit village du nord-ouest de l’île Maurice, voisin de Trou aux Biches. Il se trouve à 4km au sud de Trou aux Biches, 10km au sud de Grand Baie, et à une quinzaine de kilomètres au nord de Port Louis.
Sur cette page est décrit le récif qui fait face au Récif Attitude. La plage étant privée, seuls les résidents de l’hôtel peuvent accéder au spot.
Depuis la plage, repérez le petit « bassin » creusé dans le récif. C’est l’endroit idéal pour se mettre à l’eau, en faisant tout de même attention aux bateaux de l’hôtel qui viennent y mouiller.
La zone de palmes-masque-tuba couvre le bassin qui se trouve face à la piscine de l’hôtel, ainsi que les platiers récifaux se trouvant de part et d’autre. Si la profondeur est toujours suffisante pour palmer dans le bassin (↕1,5-2,5m), la hauteur d’eau est parfois très réduite sur les platiers, particulièrement à marée basse. Ne vous y aventurez pas s’il n’y a pas assez de fond.
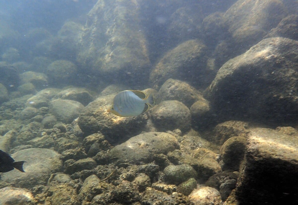
Sur ce spot, le fonds marins ne sont pas extraordinaires : le platier est en grande partie mort, surtout couverts de roches et de débris de coraux. Par endroits, on trouve tout de même de jolies colonies de Galaxea, quelques massifs de Pocillopora (ou corail chou-fleur), et une poignée d’autres variétés de coraux.
Malgré cet environnement dégradé, on peut observer une belle variété de poissons sur ce spot. Les fonds rocheux sont appréciés des espèces adeptes du camouflage, comme le turbot tropical, le poisson-lézard, le mérou gâteau de cire ou encore le redoutable poisson-scorpion diable.
Si vous préférez les espèces colorées, la girelle hublot, le poisson-papillon larme, le poisson-coffre pintade ou l’Idole des Maures sont aussi abondants ici. Au total, plus d’une centaine d’espèces de poisson peut être observée sur ce petit spot.
Le Récif Attitude Hotel a son propre restaurant. On trouve sinon de nombreuses autres options dans les alentours.
Ces spots sont accessibles aux débutants en palmes-masque-tuba et aux enfants. La mise à l’eau se fait progressivement depuis une plage, ou depuis une zone où vous aurez pied. La mer y est généralement calme, peu profonde, avec peu ou pas de courants. Ces spots sont souvent situés dans des zones de baignade balisées et/ou surveillées. Il n’est pas nécessaire de parcourir de grandes distances pour découvrir les fonds marins.
Ce niveau s’entend lorsque le spot bénéficie de conditions optimales, par temps et mer calme. Il n'est pas applicable en cas de dégradation de ces conditions, par exemple en présence d’une mer agitée, de vent fort, d’un courant inhabituel, de grandes marées, de vagues et/ou de houle, ou encore de pluie. Vous trouverez plus de détails sur la définition de ces niveaux en consultant notre page sur la sécurité en snorkeling.
Vous devez être connecté pour commenter
Les spots de snorkeling sont situés dans des environnements naturels, et leur aspect peut varier significativement en raison de la météo, des saisons, des courants, des activités humaines ou d’évènements climatiques exceptionnels (tempêtes, cyclones, hausse de la température de l’eau…). Ces éléments peuvent entrainer une rapide altération des fonds marins (coraux blanchis ou brisés, invasions d’algues), une mauvaise visibilité sous l’eau, ou encore une diminution du nombre d’espèces présentes sur le spot. Nous faisons tout notre possible pour que les informations contenues sur cette page soient exactes et à jour, mais nous ne pouvons garantir que la visibilité ou l’aspect des fonds décrits sur cette page sera identique le jour de votre visite. Si vous avez récemment fait du snorkeling sur ce spot et que vous avez remarqué des changements, contactez-nous.
Le contenu de cette page est uniquement fourni à titre informatif. Il est destiné à apporter aux snorkeleurs des informations leur permettant de pratiquer leur activité de la meilleure façon possible, mais celles-ci ne se substituent en aucun cas à leur condition physique, à leur niveau de natation, à leur expérience du snorkeling ou à leur connaissance du terrain. Gardez à l’esprit que toutes les activités aquatiques, y-compris le snorkeling, sont potentiellement dangereuses, et que vous les pratiquez sous votre propre responsabilité. Réalisez toujours une évaluation individuelle de la météo, des conditions de mer et des dangers potentiels du spot avant d’entrer dans l’eau. En cas de doute, reportez votre session ou choisissez un autre spot. Prenez connaissance des lois et règlementations locales, y-compris celles relatives aux bouées de plongée, aux zones réglementées, aux espèces protégées et aux interactions avec la faune sauvage.