Niveau: Accès libre du bord Ce spot peut être exploré gratuitement depuis le bord de mer : vous pouvez y faire du palmes-masque-tuba librement, sans participer à une excursion ni payer de frais d'entrée.
Ce spot a été ajouté par
Dernière mise à jour le 26 septembre 2020
Cala Calella est l’un des spots de snorkeling le plus proche de l’Estartit. Dans cette jolie crique rocheuse, que l’on rejoint à pied depuis le port, on peut observer des sars, des tripterygions, des nudibranches, et parfois de petites murènes.
Cala Calella est une petite crique rocheuse située dans le Parc naturel du Montgrí, juste au nord de l’Estartit. Elle est à environ 30 minutes de marche du port de l’Estartit. Le sentier (point de départ ici), qui monte derrière la ville puis redescend dans un vallon boisé, offre de superbes vues sur les Îles Medes voisines.
Mettez-vous à l’eau depuis les rochers qui bordent la petite crique.
La crique, au départ très étroite et encaissée (environ 10m de large), commence à s’élargir à 60-70m de la plage. Les fonds rocheux de Cala Calella sont couvert par plusieurs espèces d’algues, et abritent de nombreux oursins, des anémones communes et des actinies rouges. Sur les parois, on peut aussi trouver de petits nudibranches, comme l’hervia pèlerine (↕2-4m).
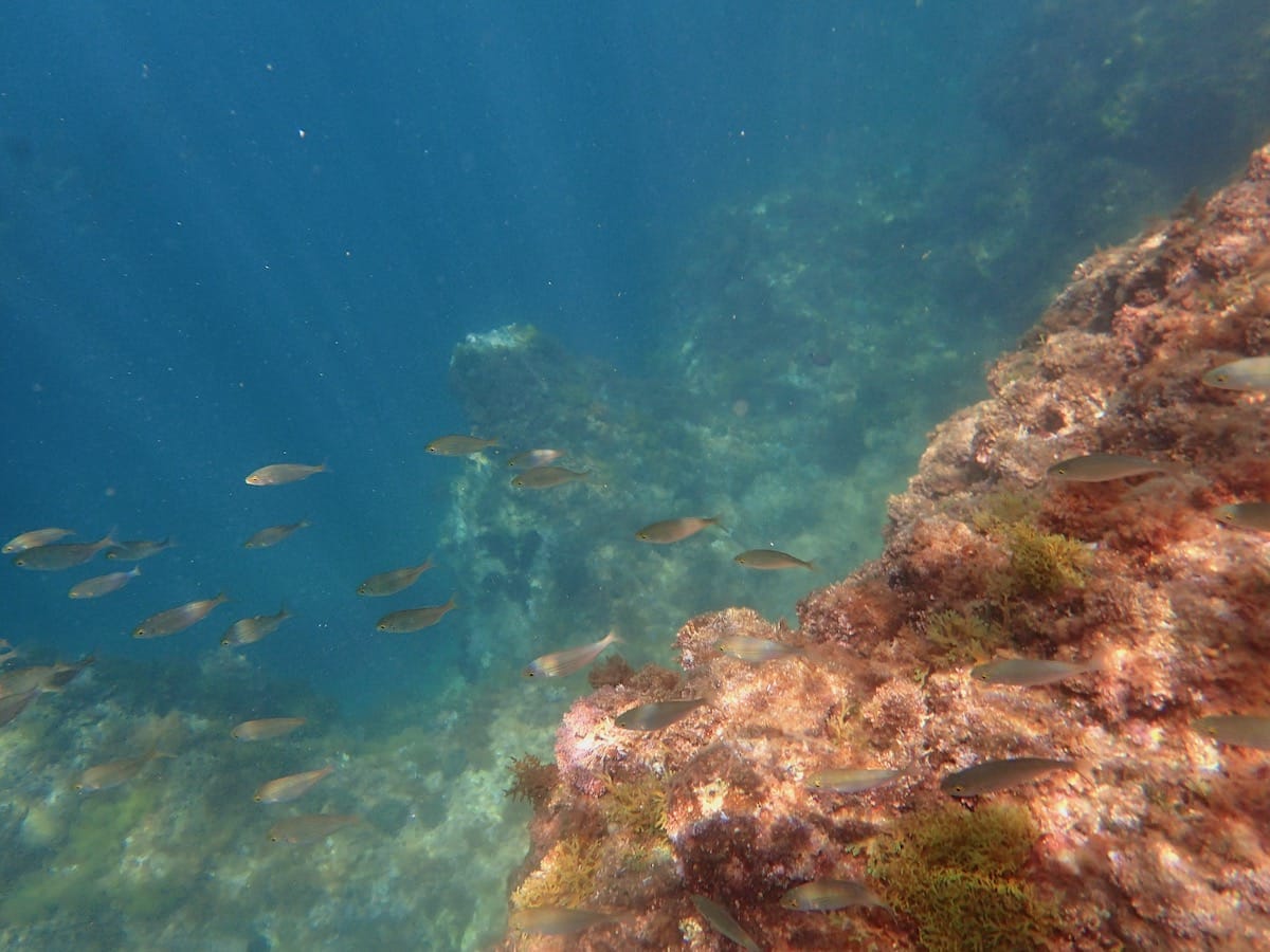
On peut observer une belle diversité de poissons sur ce spot, notamment des saupes, des oblades et des sars à tête noire. Des groupes de dizaines de castagnoles noires stationnent près des tombants rocheux. Sur les parois, on trouve aussi de nombreux tripterygions à bec rouge. Dans les petites cavités rocheuses, on peut parfois voir de petites murènes de Méditerranée.
Ce site est entièrement naturel et l’on n’y trouve ni eau, ni nourriture.
Ces spots conviennent aux personnes à l’aise dans l’eau et avec leur équipement de snorkeling. La mise à l’eau se fait depuis le rivage (plage, ponton, échelle, rochers) ou un bateau. La hauteur d’eau reste modérée, sans nécessairement que l’on ait pied. Ces spots peuvent connaître même par mer calme des courants modérés, mais pas à même de déstabiliser un bon nageur. La distance à parcourir en palmant jusqu’aux zones les plus intéressantes n’excède pas 200m.
Ce niveau s’entend lorsque le spot bénéficie de conditions optimales, par temps et mer calme. Il n'est pas applicable en cas de dégradation de ces conditions, par exemple en présence d’une mer agitée, de vent fort, d’un courant inhabituel, de grandes marées, de vagues et/ou de houle, ou encore de pluie. Vous trouverez plus de détails sur la définition de ces niveaux en consultant notre page sur la sécurité en snorkeling.
Vous devez être connecté pour commenter
Les spots de snorkeling sont situés dans des environnements naturels, et leur aspect peut varier significativement en raison de la météo, des saisons, des courants, des activités humaines ou d’évènements climatiques exceptionnels (tempêtes, cyclones, hausse de la température de l’eau…). Ces éléments peuvent entrainer une rapide altération des fonds marins (coraux blanchis ou brisés, invasions d’algues), une mauvaise visibilité sous l’eau, ou encore une diminution du nombre d’espèces présentes sur le spot. Nous faisons tout notre possible pour que les informations contenues sur cette page soient exactes et à jour, mais nous ne pouvons garantir que la visibilité ou l’aspect des fonds décrits sur cette page sera identique le jour de votre visite. Si vous avez récemment fait du snorkeling sur ce spot et que vous avez remarqué des changements, contactez-nous.
Le contenu de cette page est uniquement fourni à titre informatif. Il est destiné à apporter aux snorkeleurs des informations leur permettant de pratiquer leur activité de la meilleure façon possible, mais celles-ci ne se substituent en aucun cas à leur condition physique, à leur niveau de natation, à leur expérience du snorkeling ou à leur connaissance du terrain. Gardez à l’esprit que toutes les activités aquatiques, y-compris le snorkeling, sont potentiellement dangereuses, et que vous les pratiquez sous votre propre responsabilité. Réalisez toujours une évaluation individuelle de la météo, des conditions de mer et des dangers potentiels du spot avant d’entrer dans l’eau. En cas de doute, reportez votre session ou choisissez un autre spot. Prenez connaissance des lois et règlementations locales, y-compris celles relatives aux bouées de plongée, aux zones réglementées, aux espèces protégées et aux interactions avec la faune sauvage.
DERNIERES PLACES DISPONIBLES