Distribution: de la Mer Rouge et de l’Afrique de l’Est jusqu’au sud du Japon, Hawaii, les Marquises, les Tuamotu et Lord Howe.
à Lagon de Trou d’Eau (Nason unicorne) © pascale
à Sataya Resort (Nason unicorne) © anne
à N’Gouja (Nason unicorne) © paradis974
à Shams Alam Beach Resort (Nason unicorne) © bruno56
à Marsa El Nabaa (Nason unicorne) © bruno56
à Fayrouz Reef (Nason unicorne) © bruno56
à Lagon de l’Hermitage (Nason unicorne) © phildd
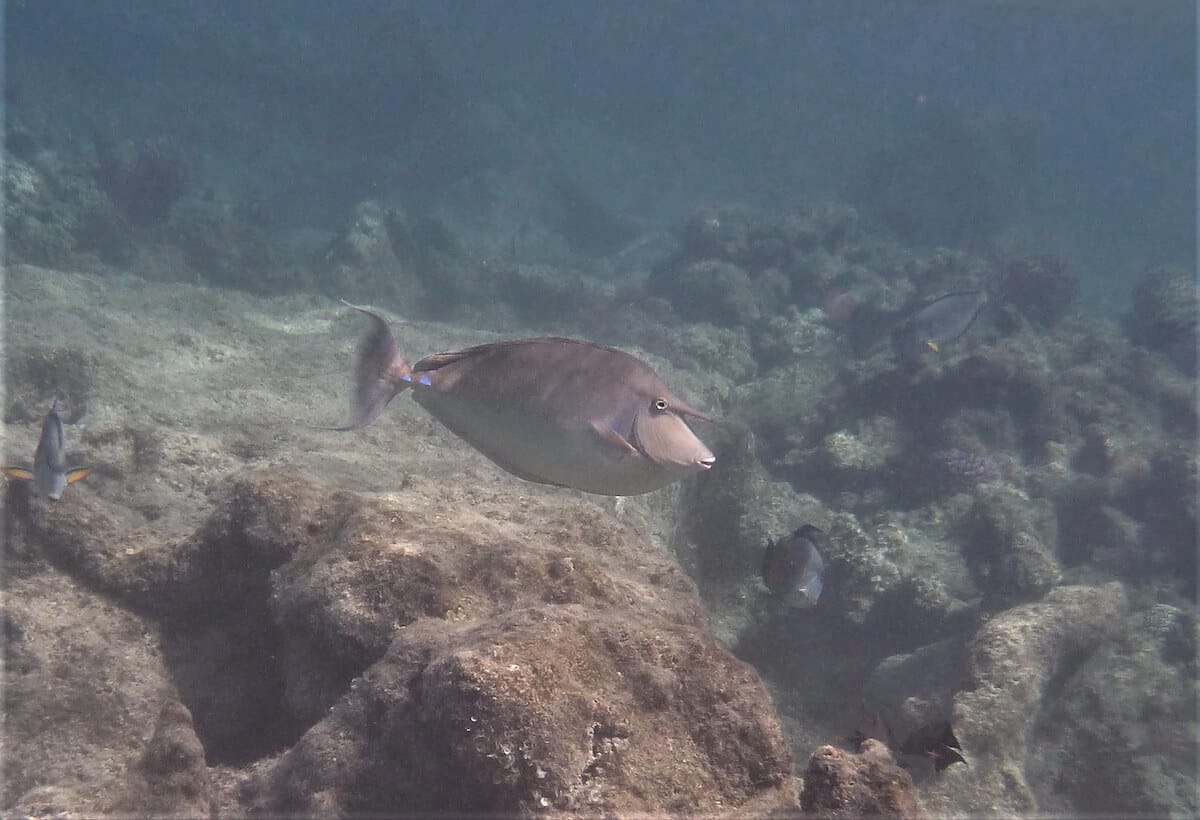
à Hanauma Bay (Nason unicorne) © ajvessen
à Île Plate & Îlot Gabriel (Nason unicorne) © mcpeff
à Blue Bay (Nason unicorne) © mcpeff
à Lagon de Saint-Leu (Nason unicorne) © phildd
à Wakatobi Resort (Nason unicorne) © nst56
à Gorgonia Beach (Nason unicorne) © jc_mara
Vous voulez ajouter vos photos sur cette page? Partagez-les d'abord dans la galerie du spot sur lequel vous avez pris vos photos (retrouvez la liste de touts les spots actuellement inventoriés ici). Si elles ont été prises sur un autre site, vous pouvez ajouter un nouveau spot sur le site (plus d'infos sur cette page).
page d'accueil du guide d'identification