Guide d’identification > Carangue grasse
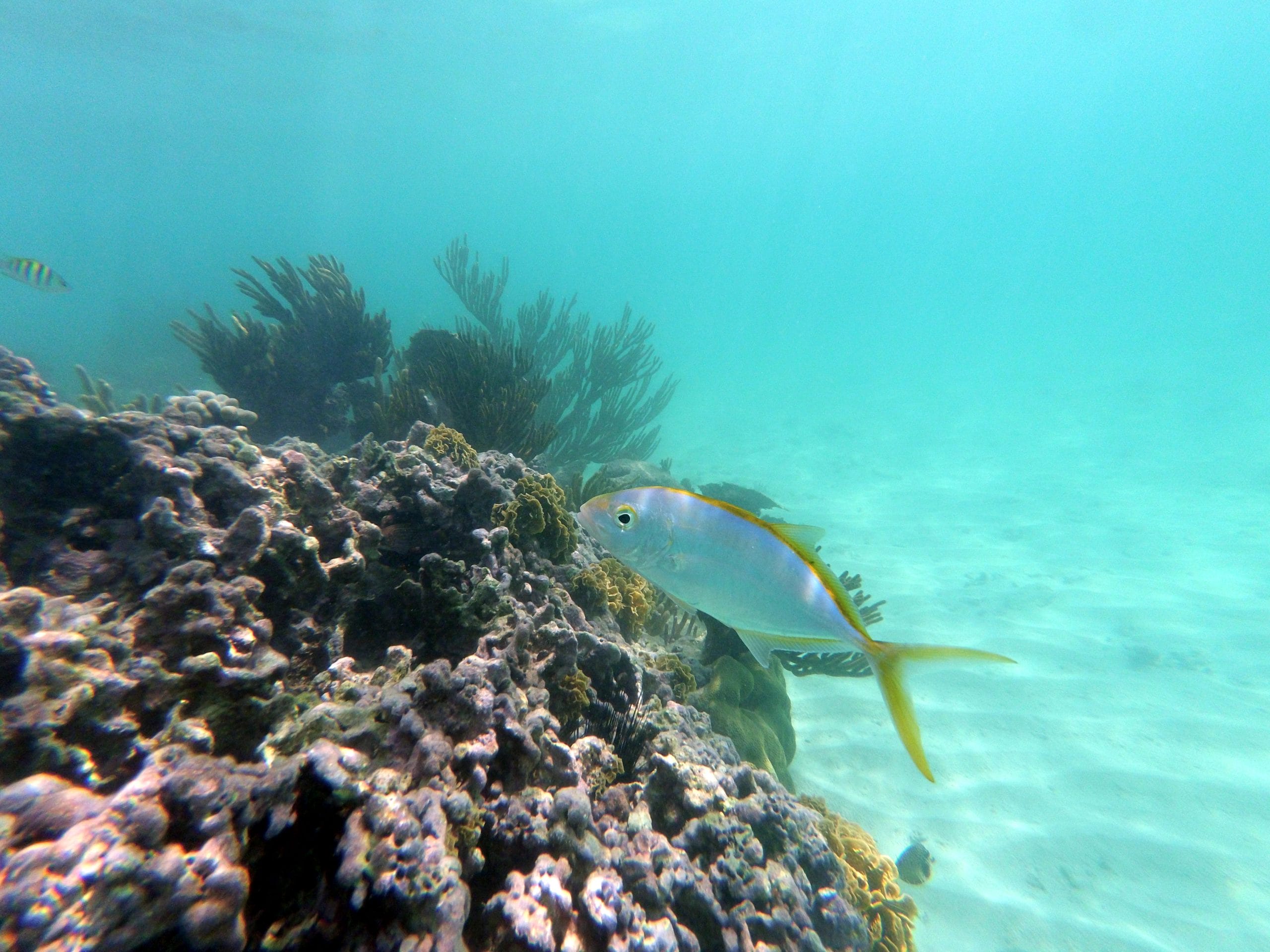
Caranx bartholomaei

Caranx bartholomaei

Carangue grasse

Carte des spots où Caranx bartholomaei a été observé en snorkeling

Photos de Caranx bartholomaei observé en Snorkeling

Vous voulez ajouter vos photos sur cette page? Partagez-les d'abord dans la galerie du spot sur lequel vous avez pris vos photos (retrouvez la liste de touts les spots actuellement inventoriés ici). Si elles ont été prises sur un autre site, vous pouvez ajouter un nouveau spot sur le site (plus d'infos sur cette page).